|
|
|
用鏡頭寫日記(生態記錄)
(這篇文章已經被閱讀了 17674 次) 時間:2008/06/16 06:38am 來源:swing57
[這篇文章最後由swing57在 2008/06/16 06:42am 第 3 次編輯]
加入塔內整整快一年了,相對的相機也是從那時候開始玩起,以前還沒接觸相機時喜歡往有水的溪邊海邊池塘邊跑,自從來到這裡習慣變了往山裡跑,沒跑很遠但鄰近的兩縣幾乎給我跑遍了,越沒人走的地方越看得到我的足跡,不過也因為這樣所以季節到了它們都會依約來報到,記錄它們的種種過程,也豐富了我的人生滿足我的求知慾望,走在山林我會注意其中的一草一木飛禽走獸及有趣的昆蟲世界,可以暫時忘掉煩惱盡情的享受按快門的快感,今後將陸續把我所捕捉到的鏡頭完整的呈現,雖說是日記可能不是每天都記錄,但有精彩畫面相機是不會閒在那裡的,請拭目以待,許多知識在塔內先進的幫忙與協助下讓我獲益良多在此先謝謝他(她)們,給我有機會認識它們了解它們,什麼都別想放輕鬆來一場和大自然的約會吧.
| swing57 |
發表於: 2008/06/16 07:28am
|
[這篇文章最後由swing57在 2008/06/16 09:21am 第 2 次編輯]
就從這裡開始吧,居高臨下,可以欣賞湖光山色,遠眺台北城,我常到這裡捕捉精彩鏡頭一年四季有不同的景致.
此主題相關圖片如下:


按此查看圖片詳細資料
植物有仙仙,昆蟲也有是獨角仙一公一母尺寸不大,是端午節過後的指標甲蟲.
此主題相關圖片如下:


按此查看圖片詳細資料
此主題相關圖片如下:


按此查看圖片詳細資料
紅星斑蛺蝶吸樹汁陶醉中.
此主題相關圖片如下:


按此查看圖片詳細資料
蓬萊茶斑蛾及身上的水珠.
此主題相關圖片如下:


按此查看圖片詳細資料
看似美麗卻歹毒的刺蛾.
此主題相關圖片如下:


按此查看圖片詳細資料
|
頂部 |
| swing57 |
發表於: 2008/06/16 11:43am
|
原本上山想拍百合奈何它不開,卻看見整遍的杜若盛開.
此主題相關圖片如下:


按此查看圖片詳細資料
此主題相關圖片如下:


按此查看圖片詳細資料
此主題相關圖片如下:


按此查看圖片詳細資料
此主題相關圖片如下:


按此查看圖片詳細資料
此主題相關圖片如下:


按此查看圖片詳細資料
此主題相關圖片如下:


按此查看圖片詳細資料
|
頂部 |
| swing57 |
發表於: 2008/06/16 02:19pm
|
[這篇文章最後由swing57在 2008/09/05 03:38pm 第 2 次編輯]
佇立在大頭茶上的突眼蝗(雄)
此主題相關圖片如下:


按此查看圖片詳細資料
具有領域性會驅逐其它蝶類入侵的琉璃蛺蝶
此主題相關圖片如下:


按此查看圖片詳細資料
展翅炫耀自己翅膀的黑端豹斑蝶(雄)
此主題相關圖片如下:


按此查看圖片詳細資料
穿著花衣裳的蛾
此主題相關圖片如下:


按此查看圖片詳細資料
攀爬兩葉之間的草蟬
此主題相關圖片如下:


按此查看圖片詳細資料
山棕上的圓翅擬燈蛾幼蟲
此主題相關圖片如下:


按此查看圖片詳細資料
|
頂部 |
| 白如蓮 |
發表於: 2008/06/16 06:45pm
|
這是我常去的點,好像很眼熟,拍的那天天氣不好,好天氣可以望得好遠!
此主題相關圖片如下:


按此查看圖片詳細資料
|
頂部 |
| 白如蓮 |
發表於: 2008/06/16 06:53pm
|
再一張~
此主題相關圖片如下:


按此查看圖片詳細資料
|
頂部 |
| swing57 |
發表於: 2008/06/16 06:54pm
|
[這篇文章最後由swing57在 2008/06/17 12:28pm 第 7 次編輯]
妳應該站在馬路上拍,而我是在至高點拍的是一大早雲霧未散時的影像.
|
頂部 |
| swing57 |
發表於: 2008/06/17 12:31pm
|
這裡生態算不錯,可以輕易的發現到面天樹蛙在枝頭在葉面上.
此主題相關圖片如下:


按此查看圖片詳細資料
此主題相關圖片如下:


按此查看圖片詳細資料
此主題相關圖片如下:


按此查看圖片詳細資料
此主題相關圖片如下:


按此查看圖片詳細資料
此主題相關圖片如下:


按此查看圖片詳細資料
此主題相關圖片如下:


按此查看圖片詳細資料
|
頂部 |
| swing57 |
發表於: 2008/06/17 12:31pm
|
[這篇文章最後由swing57在 2008/06/17 03:06pm 第 1 次編輯]
姿態悠閒的小蝸牛往樹梢爬去.
此主題相關圖片如下:


按此查看圖片詳細資料
享受天然吊床的竹節蟲.
此主題相關圖片如下:


按此查看圖片詳細資料
白天的蛾總喜歡躲在葉背避免被發現.
此主題相關圖片如下:


按此查看圖片詳細資料
樹汁超迷人連胡蜂也來軋上一腳.
此主題相關圖片如下:


按此查看圖片詳細資料
常出現在林子裡的永澤黃斑蔭蝶.
此主題相關圖片如下:


按此查看圖片詳細資料
昆蟲界跟人類社會不同,雄性長的比較耀眼,雌性就相對失色了~突眼蝗(雌).
此主題相關圖片如下:


按此查看圖片詳細資料
|
頂部 |
| 白如蓮 |
發表於: 2008/06/17 12:56pm
|
好喜歡那個面天樹蛙,吹冷氣看可愛的蛙蛙真不錯,真要出去拍,七點就熱
死了,還要背器材~喔~Swing大大您辛苦了,拍好圖給大家看. |
頂部 |
| maymay |
發表於: 2008/06/17 01:36pm
|
下面引用由swing57在 2008/06/17 12:31pm 發表的內容: 這裡生態算不錯,可以輕易的發現到面天樹蛙在枝頭在葉面上.
|
|
照得好清 晰歐~ 怎麼我從未發現樹蛙在枝頭上? 您真細心,謝謝您的分享! 請繼續,期待....
|
頂部 |
| 悠悠 |
發表於: 2008/06/17 02:08pm
|
| 等著看~美美的照片ㄋㄟ |
頂部 |
| 塔內內 |
發表於: 2008/06/17 06:54pm
|
下面引用由悠悠在 2008/06/17 02:08pm 發表的內容: 等著看~美美的照片ㄋㄟ
|
|
要看美美的照片.要泡杯茶.搬椅子來坐.聽 swing57 葛格 來講故事.
此主題相關圖片如下:


按此查看圖片詳細資料
此主題相關圖片如下:


按此查看圖片詳細資料
此主題相關圖片如下:


按此查看圖片詳細資料
|
頂部 |
| 塔內內 |
發表於: 2008/06/17 06:58pm
|
下面引用由塔內內在 2008/06/17 06:54pm 發表的內容: 要看美美的照片.要泡杯茶.搬椅子來坐.聽 swing57 葛格 來講故事.
|
|
我知道 第2 .5. 6. 樓 在石門水庫 . 白 姐姐.我送您 .白雲 .青天 .
此主題相關圖片如下:


按此查看圖片詳細資料
|
頂部 |
| swing57 |
發表於: 2008/06/17 10:49pm
|
[這篇文章最後由swing57在 2008/06/17 10:54pm 第 1 次編輯]
那麼多人等著看美美的圖,流點汗算什麼,在這裡獻醜了,懂的不多只是現學現賣而已,塔內內真捧場,端張椅子泡起茶來聽哥哥說蟲的故事,這是我的秘密景點之一曝光了,新相機試機囉,改天也拍些美美的照片給哥哥欣賞,我有看到你一個人偷偷的來這裡發帖子喔. |
頂部 |
| swing57 |
發表於: 2008/06/18 09:14am
|
[這篇文章最後由swing57在 2008/06/18 09:17am 第 1 次編輯]
放眼望去有好多座發射站,這裡是離家最近的蟲點可在山上觀察也可在山腳下沿山路一路往上走順便散步一下,它還有其它功能玩模型飛機,看燈海夜景,在天空一片無雲的天氣裡頭有機會看到台北101大樓.
此主題相關圖片如下:


按此查看圖片詳細資料
|
頂部 |
| swing57 |
發表於: 2008/06/18 10:23am
|
[這篇文章最後由swing57在 2008/06/23 06:53am 第 2 次編輯]
茶園是這裡典型的景象,夏日的早上來趟茶園之旅.
跟茶有關的蛾,臺灣茶蠶(黃斑暗蠶蛾)喜歡大夥窩在一起共同生活.
此主題相關圖片如下:


按此查看圖片詳細資料
一早就享受恩愛的一對黑線黃尺蛾.
此主題相關圖片如下:


按此查看圖片詳細資料
也是跟茶有關的蛾,蓬萊茶斑蛾正在享用米碎柃木.
此主題相關圖片如下:


按此查看圖片詳細資料
一群不甘寂寞的金龜子集結在番石榴花上.
此主題相關圖片如下:


按此查看圖片詳細資料
千里迢迢來到這裡的關仔嶺(頂斑)黃毒蛾,食草是野桐.(純屬虛構!)
此主題相關圖片如下:


按此查看圖片詳細資料
停在高處的某種斑蛾(Zygaenidae 斑蛾科 Chalcosia formosana contradicta 蓬萊螢斑蛾 female).
此主題相關圖片如下:


按此查看圖片詳細資料
|
頂部 |
| 塔內內 |
發表於: 2008/06/18 08:01pm
|
[這篇文章最後由塔內內在 2008/06/18 08:04pm 第 1 次編輯]
此主題相關圖片如下:


按此查看圖片詳細資料
我也不知道 什麼 咚咚 ! 來湊熱鬧 !
此主題相關圖片如下:


按此查看圖片詳細資料
|
頂部 |
| swing57 |
發表於: 2008/06/18 09:33pm
|
[這篇文章最後由swing57在 2008/06/20 10:12am 第 2 次編輯]
塔內內拍的不是昆蟲,是吃蟲蟲的蜘蛛,另一隻是大鳳蝶(雄).
平時容易看到的植物水冬瓜,不曉得花開的那麼有特色.
此主題相關圖片如下:


按此查看圖片詳細資料
此主題相關圖片如下:


按此查看圖片詳細資料
此主題相關圖片如下:


按此查看圖片詳細資料
此主題相關圖片如下:


按此查看圖片詳細資料
九芎又叫猴不爬,可能是太滑了連猴子都爬不動,正逄開花搭配藍藍的天空.
此主題相關圖片如下:


按此查看圖片詳細資料
此主題相關圖片如下:


按此查看圖片詳細資料
|
頂部 |
| 悠悠 |
發表於: 2008/06/19 05:15pm
|
原來有這名稱喔~"猴不爬 "~第一次聽到~ 有幾種顏色ㄋㄟ
此主題相關圖片如下:


按此查看圖片詳細資料
此主題相關圖片如下:


按此查看圖片詳細資料
此主題相關圖片如下:


按此查看圖片詳細資料
此主題相關圖片如下:


按此查看圖片詳細資料
|
頂部 |
| 塔內內 |
發表於: 2008/06/19 06:22pm
|
我來貼 蟲了! ...不知道 是不是蟲...?
此主題相關圖片如下:


按此查看圖片詳細資料
此主題相關圖片如下:


按此查看圖片詳細資料
地上的 ...小黃蝶... |
頂部 |
| swing57 |
發表於: 2008/06/19 06:44pm
|
[這篇文章最後由swing57在 2008/06/19 07:18pm 第 2 次編輯]
悠悠 您貼的是紫薇好漂亮,跟那個被嚇跑的小女生同名,它是千屈菜科植物,九芎也是同一科的喔,不過它可是道道地地的原住民.
塔內內又發現蟲蟲了,教你那幾招有學起來嗎?第一種是小斑紅沫蟬,它會吐泡沫,不知道的人還以為那個沒有公德心到處吐口水勒,一群正在吸水的黃蝶,你可以再親近它一點讓你拍個清楚. |
頂部 |
| swing57 |
發表於: 2008/06/19 07:37pm
|
紅色的美人蕉種在茶園邊別有一番風味.
此主題相關圖片如下:


按此查看圖片詳細資料
此主題相關圖片如下:


按此查看圖片詳細資料
此主題相關圖片如下:


按此查看圖片詳細資料
此主題相關圖片如下:


按此查看圖片詳細資料
此主題相關圖片如下:


按此查看圖片詳細資料
此主題相關圖片如下:


按此查看圖片詳細資料
|
頂部 |
| 福勞爾 |
發表於: 2008/06/19 08:47pm
|
19樓的粉紅小花是水冬瓜 , 是黃豹天蠶蛾及五斑虎夜蛾的寄主植物 . 為什麽叫做水冬瓜 ? 猜是葉面上毛茸茸的像冬瓜皮吧~ |
頂部 |
| swing57 |
發表於: 2008/06/20 10:09am
|
謝謝! 福勞爾 幫忙辨識,大大加入塔內很久了算是長輩級人物,以前一直以為福勞爾是位男生,後來看了幾個妳的帖子之後,才知道是位不折不扣的女生,養蟲經驗相當豐富.
膨風茶雅稱【東方美人茶】可別以為都產在北埔,北埔山多產不了那麼多的茶葉,必需要到處收購回去加工,這裡的高原也是產地其中之一. 破例拍個人物,一早六點多採茶的媽媽阿姨們便賣力的辛勤工作著,透過相機記錄下來這一幕.
此主題相關圖片如下:


按此查看圖片詳細資料
此主題相關圖片如下:


按此查看圖片詳細資料
|
頂部 |
| swing57 |
發表於: 2008/06/20 03:26pm
|
[這篇文章最後由swing57在 2008/06/20 07:16pm 第 1 次編輯]
停在葉面上綠脈白斑蛾的成蟲屬小型斑蛾,幼蟲的食草是灰木.
此主題相關圖片如下:


按此查看圖片詳細資料
此主題相關圖片如下:


按此查看圖片詳細資料
此主題相關圖片如下:


按此查看圖片詳細資料
燈蛾幼蟲小心翼翼過馬路.
此主題相關圖片如下:


按此查看圖片詳細資料
蠶蛾科的黑點白蠶蛾月桃葉上發現的.
此主題相關圖片如下:


按此查看圖片詳細資料
宛如蝗蟲過境的白帶黑斑蛾幼蟲,目前正大發生把米碎柃木都啃光了.
此主題相關圖片如下:


按此查看圖片詳細資料
|
頂部 |
| swing57 |
發表於: 2008/06/20 07:54pm
|
七里香的魅力~ 月橘別名:七里香,芸香科常綠小灌木,它到底香不香看看蟲蟲的表現就知道.
外型酷似蝴蝶的橙帶藍尺蛾,幼蟲食草竹柏及羅漢松.
此主題相關圖片如下:


按此查看圖片詳細資料
不認識的蛾來報到.
此主題相關圖片如下:


按此查看圖片詳細資料
這隻也不認識.
此主題相關圖片如下:


按此查看圖片詳細資料
為數不少的不知名枝尺蛾.
此主題相關圖片如下:


按此查看圖片詳細資料
花紋美美的巨豹紋尺蛾.
此主題相關圖片如下:


按此查看圖片詳細資料
此主題相關圖片如下:


按此查看圖片詳細資料
|
頂部 |
| swing57 |
發表於: 2008/06/20 10:01pm
|
[這篇文章最後由swing57在 2008/06/20 10:13pm 第 1 次編輯]
米碎柃木上的另一種蟲蟲,尖迴舟蛾(睨迴舟蛾).
此主題相關圖片如下:


按此查看圖片詳細資料
此主題相關圖片如下:


按此查看圖片詳細資料
此主題相關圖片如下:


按此查看圖片詳細資料
此主題相關圖片如下:


按此查看圖片詳細資料
此主題相關圖片如下:


按此查看圖片詳細資料
此主題相關圖片如下:


按此查看圖片詳細資料
|
頂部 |
| loop |
發表於: 2008/06/20 10:05pm
|
下面引用由swing57在 2008/06/18 10:23am 發表的內容: ... 千里挑挑來到這裡的關仔嶺(頂斑)黃毒蛾,食草是野桐.(純屬虛構!) ...
|
|
嗯!雖然千里『迢迢』的從隨意版跑到專題版,錯字還是要抓啦!扣兩分。 |
頂部 |
| swing57 |
發表於: 2008/06/20 10:18pm
|
下面引用由loop在 2008/06/20 10:05pm 發表的內容: 嗯!雖然千里『迢迢』的從隨意版跑到專題版,錯字還是要抓啦!扣兩分。
|
|
魯皮大哥真是好眼力,錯字還是被抓出來,看樣子我的國文能力有待加強才行. |
頂部 |
| swing57 |
發表於: 2008/06/20 10:55pm
|
菇類的常識就不足了,只能純欣賞了.
此主題相關圖片如下:


按此查看圖片詳細資料
此主題相關圖片如下:


按此查看圖片詳細資料
此主題相關圖片如下:


按此查看圖片詳細資料
此主題相關圖片如下:


按此查看圖片詳細資料
此主題相關圖片如下:


按此查看圖片詳細資料
此主題相關圖片如下:


按此查看圖片詳細資料
|
頂部 |
| swing57 |
發表於: 2008/06/21 03:39pm
|
全盛時期有兩家在開採石灰石,目前剩一家在經營,以前是日以繼夜全天候運轉,現在機器也配合週休二日在運作,繁華不在聽說合約到期將畫下休止符,讓礦山得以寧靜下來. 這裡算郊區了,位於竹30,竹31線上的兩側,有不錯的生態可以探索.
此主題相關圖片如下:


按此查看圖片詳細資料
此主題相關圖片如下:


按此查看圖片詳細資料
此主題相關圖片如下:


按此查看圖片詳細資料
此主題相關圖片如下:


按此查看圖片詳細資料
|
頂部 |
| swing57 |
發表於: 2008/06/21 04:04pm
|
[這篇文章最後由swing57在 2008/06/21 04:05pm 第 1 次編輯]
拍照時巧遇當地小孩劃破彼此陌生關係後,馬上他們就發現兩點鋸鍬形蟲,我也隨後發現一隻,情商借我拍個照記錄一下,甲蟲比較沒研究,從鄉下小孩能講出來的,他知道的鐡定比大人多且把它當玩具在玩.
此主題相關圖片如下:


按此查看圖片詳細資料
此主題相關圖片如下:


按此查看圖片詳細資料
此主題相關圖片如下:


按此查看圖片詳細資料
此主題相關圖片如下:


按此查看圖片詳細資料
此主題相關圖片如下:


按此查看圖片詳細資料
此主題相關圖片如下:


按此查看圖片詳細資料
|
頂部 |
| swing57 |
發表於: 2008/06/21 05:23pm
|
讓有種橘子園的人恨得牙癢癢的馬庫白星天牛(胡麻斑天牛、星天牛).
此主題相關圖片如下:


按此查看圖片詳細資料
此主題相關圖片如下:


按此查看圖片詳細資料
雌褐蔭蝶,柑橘園的常客.
此主題相關圖片如下:


按此查看圖片詳細資料
來不及靠近的紫蛇目蝶.
此主題相關圖片如下:


按此查看圖片詳細資料
入侵台灣己漫延10年的鳳眼方環蝶(雌)
此主題相關圖片如下:


按此查看圖片詳細資料
此主題相關圖片如下:


按此查看圖片詳細資料
|
頂部 |
| swing57 |
發表於: 2008/06/21 06:58pm
|
台灣小紫蛺蝶(雄),被柑橘樹的樹汁給吸引過來了.
此主題相關圖片如下:


按此查看圖片詳細資料
正在展翅的黃三線蝶(雄).
此主題相關圖片如下:


按此查看圖片詳細資料
此主題相關圖片如下:


按此查看圖片詳細資料
恩愛的小灰蝶.
此主題相關圖片如下:


按此查看圖片詳細資料
雌褐蔭蝶(雌)和玉帶蔭蝶(雌)都是為那可口的樹汁而來.
此主題相關圖片如下:


按此查看圖片詳細資料
此主題相關圖片如下:


按此查看圖片詳細資料
|
頂部 |
| swing57 |
發表於: 2008/06/21 07:32pm
|
比翼雙飛的大鳳蝶.
此主題相關圖片如下:


按此查看圖片詳細資料
此主題相關圖片如下:


按此查看圖片詳細資料
此主題相關圖片如下:


按此查看圖片詳細資料
此主題相關圖片如下:


按此查看圖片詳細資料
此主題相關圖片如下:


按此查看圖片詳細資料
|
頂部 |
| 塔內內 |
發表於: 2008/06/21 07:53pm
|
下面引用由swing57在 2008/06/21 07:32pm 發表的內容: 比翼雙飛的大鳳蝶.
|
|
大鳳蝶. 飛呀.....飛呀...飛很快........ 要騎....這個...才 追的上...
此主題相關圖片如下:


按此查看圖片詳細資料
|
頂部 |
| swing57 |
發表於: 2008/06/21 08:15pm
|
下面引用由塔內內在 2008/06/21 07:53pm 發表的內容: 大鳳蝶. 飛呀.....飛呀...飛很快........ 要騎....這個...才 追的上...
|
|
塔內內重機好氣派,雖然跑得快不過它無法進入林子爬上山頂,得靠一雙腳實實在在的去找尋它. 不過有法寶,這個構樹的果實夠利害引來不少寶,可以慢慢拍個夠.
此主題相關圖片如下:


按此查看圖片詳細資料
此主題相關圖片如下:


按此查看圖片詳細資料
此主題相關圖片如下:


按此查看圖片詳細資料
此主題相關圖片如下:


按此查看圖片詳細資料
此主題相關圖片如下:


按此查看圖片詳細資料
|
頂部 |
| agalope |
發表於: 2008/06/21 10:51pm
|
[這篇文章最後由agalope在 2008/06/21 11:57pm 第 1 次編輯]
最後一張成蟲是Zygaenidae 斑蛾科 Chalcosia formosana contradicta 蓬萊螢斑蛾 female |
頂部 |
| 塔內內 |
發表於: 2008/06/22 11:16am
|
此主題相關圖片如下:


按此查看圖片詳細資料
此主題相關圖片如下:


按此查看圖片詳細資料
此主題相關圖片如下:


按此查看圖片詳細資料
此主題相關圖片如下:


按此查看圖片詳細資料
這.都會跑.會飛.不太會拍 . |
頂部 |
| 塔內內 |
發表於: 2008/06/22 01:45pm
|
下面引用由swing57在 2008/06/21 07:32pm 發表的內容: 比翼雙飛的大鳳蝶.
|
|
此主題相關圖片如下:


按此查看圖片詳細資料
swing57葛格.這鳳蝶 拍的很漂亮. 您用 多大的檔案 拍的.怎麼 貼圖的.貼的這麼漂亮... 我試了老半天...都沒辦法... |
頂部 |
| swing57 |
發表於: 2008/06/22 03:35pm
|
下面引用由塔內內在 2008/06/22 01:45pm 發表的內容: swing57葛格.這鳳蝶 拍的很漂亮. 您用 多大的檔案 拍的.怎麼 貼圖的.貼的這麼漂亮... 我試了老半天...都沒辦法...
|
|
塔內內新裝備上手了,感覺抓到了連小細蟌都已經拍清楚,給你拍拍手. 原始檔案大約2.5M,用固定格式640乘480看起來比較整齊,想學絕招嗎?先拜個師吧.哈哈~ 是秘密喔,我獨創的. |
頂部 |
| swing57 |
發表於: 2008/06/22 03:46pm
|
下面引用由agalope在 2008/06/21 10:51pm 發表的內容: 最後一張成蟲是Zygaenidae 斑蛾科 Chalcosia formosana contradicta 蓬萊螢斑蛾 female
|
|
謝謝 台大幫的 agalope 同學解決我不少困擾,今後有這方面的問題得勞駕你了.
|
頂部 |
| swing57 |
發表於: 2008/06/22 04:31pm
|
薄翅蟬(綠色型),叫聲很響亮.
此主題相關圖片如下:


按此查看圖片詳細資料
蟪蛄身體顏色跟環境融為一體.
此主題相關圖片如下:


按此查看圖片詳細資料
不知名的甲蟲.
此主題相關圖片如下:


按此查看圖片詳細資料
姬小紋青斑蝶訪花.
此主題相關圖片如下:


按此查看圖片詳細資料
小紋青斑蝶也來訪花.
此主題相關圖片如下:


按此查看圖片詳細資料
紅紋沫蟬為數不少有群聚性行為.
此主題相關圖片如下:


按此查看圖片詳細資料
|
頂部 |
| swing57 |
發表於: 2008/06/22 06:04pm
|
這裡的郊山海拔不高不到200吧,看得到綠色部分都是值得我探索的地方.
此主題相關圖片如下:


按此查看圖片詳細資料
|
頂部 |
| swing57 |
發表於: 2008/06/22 06:34pm
|
將食茱萸啃剩下樹梗的五齡黑鳳蝶.
此主題相關圖片如下:


按此查看圖片詳細資料
此主題相關圖片如下:


按此查看圖片詳細資料
此主題相關圖片如下:


按此查看圖片詳細資料
青帶鳳蝶_本以為新發現它會吃米碎柃木,細細一看原來是吃另外一顆楠樹苗.
此主題相關圖片如下:


按此查看圖片詳細資料
此主題相關圖片如下:


按此查看圖片詳細資料
此主題相關圖片如下:


按此查看圖片詳細資料
|
頂部 |
| swing57 |
發表於: 2008/06/22 06:59pm
|
[這篇文章最後由swing57在 2008/06/22 07:04pm 第 1 次編輯]
不知名漂亮的尺蝶.
此主題相關圖片如下:


按此查看圖片詳細資料
還在休息的柑橘鳳蝶.
此主題相關圖片如下:


按此查看圖片詳細資料
有特色的蝗蟲.
此主題相關圖片如下:


按此查看圖片詳細資料
很會僑裝的竹節蟲.
此主題相關圖片如下:


按此查看圖片詳細資料
翅膀透明的蜻蜓.
此主題相關圖片如下:


按此查看圖片詳細資料
全身毛茸茸的枯葉蛾.
此主題相關圖片如下:


按此查看圖片詳細資料
|
頂部 |
| swing57 |
發表於: 2008/06/22 07:39pm
|
再遇渡邊長吻白蠟蟬,這回一次看兩隻,不過停高了點另一隻拍不大到.
此主題相關圖片如下:


按此查看圖片詳細資料
此主題相關圖片如下:


按此查看圖片詳細資料
此主題相關圖片如下:


按此查看圖片詳細資料
此主題相關圖片如下:


按此查看圖片詳細資料
此主題相關圖片如下:


按此查看圖片詳細資料
|
頂部 |
| swing57 |
發表於: 2008/06/22 09:47pm
|
名字不太清楚,確定再把它給補上好了.
此主題相關圖片如下:


按此查看圖片詳細資料
此主題相關圖片如下:


按此查看圖片詳細資料
此主題相關圖片如下:


按此查看圖片詳細資料
此主題相關圖片如下:


按此查看圖片詳細資料
此主題相關圖片如下:


按此查看圖片詳細資料
此主題相關圖片如下:


按此查看圖片詳細資料
|
頂部 |
| agalope |
發表於: 2008/06/22 10:15pm
|
swing57兄!!您太客氣了!!我才真的要謝謝您!! 請記得把正確的學名標到您那張照片上面!!:) |
頂部 |
| ㄚ明 |
發表於: 2008/06/23 03:24am
|
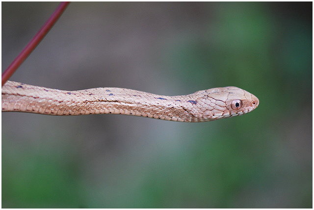
步行蟲?
|
頂部 |
| swing57 |
發表於: 2008/06/23 08:43am
|
謝謝 ㄚ明 是步行蟲的一種沒錯,身上會散發出一種特殊氣味,手摸過味道不易散去,agalope 同學我已經把它補上去了.
帶露水的月桃我覺得很美,葉子還是客家人的食物包材,味道很香.
此主題相關圖片如下:


按此查看圖片詳細資料
此主題相關圖片如下:


按此查看圖片詳細資料
此主題相關圖片如下:


按此查看圖片詳細資料
人家拿來當圍籬的朱槿.
此主題相關圖片如下:


按此查看圖片詳細資料
有毒的夾竹桃開花了.
此主題相關圖片如下:


按此查看圖片詳細資料
長喙天蛾的食草雞屎藤的小花.
此主題相關圖片如下:


按此查看圖片詳細資料
|
頂部 |
| swing57 |
發表於: 2008/06/23 08:43pm
|
調情中的弄蝶.
此主題相關圖片如下:


按此查看圖片詳細資料
薄翅蟬(褐色型)叫聲響亮.
此主題相關圖片如下:


按此查看圖片詳細資料
豔陽下的黑翅蟬.
此主題相關圖片如下:


按此查看圖片詳細資料
發呆的小野蜂.
此主題相關圖片如下:


按此查看圖片詳細資料
為數不少的大青叩頭蟲.
此主題相關圖片如下:


按此查看圖片詳細資料
爬滿整樹的橙帶藍尺蛾幼蟲.
此主題相關圖片如下:


按此查看圖片詳細資料
|
頂部 |
| swing57 |
發表於: 2008/06/24 08:58am
|
好像在產卵的螽蟴.
此主題相關圖片如下:


按此查看圖片詳細資料
此主題相關圖片如下:


按此查看圖片詳細資料
母的黑脈樺斑蝶.
此主題相關圖片如下:


按此查看圖片詳細資料
停在葉背的小黃毒蛾.
此主題相關圖片如下:


按此查看圖片詳細資料
黃三線蝶訪花.
此主題相關圖片如下:


按此查看圖片詳細資料
一對姬蛇目蝶.
此主題相關圖片如下:


按此查看圖片詳細資料
|
頂部 |
| swing57 |
發表於: 2008/06/25 12:50pm
|
離家不遠的小徑上觀察,偶而也會有意外的驚喜.
此主題相關圖片如下:


按此查看圖片詳細資料
|
頂部 |
| swing57 |
發表於: 2008/06/25 12:53pm
|
[這篇文章最後由swing57在 2008/06/25 02:47pm 第 1 次編輯]
眉紋天蠶蛾第二次發現,是在山胡椒上發現的.
此主題相關圖片如下:


按此查看圖片詳細資料
青條花蜂通常在訪花時看到,停在枯枝上像在搔癢一樣.
此主題相關圖片如下:


按此查看圖片詳細資料
薄翅蟬(綠色型),任我轉動無慟於衷.
此主題相關圖片如下:


按此查看圖片詳細資料
此主題相關圖片如下:


按此查看圖片詳細資料
賊仔木上發現的黑點扁刺蛾.
此主題相關圖片如下:


按此查看圖片詳細資料
此主題相關圖片如下:


按此查看圖片詳細資料
|
頂部 |
| swing57 |
發表於: 2008/06/25 08:03pm
|
蘆葦花穗上細鉤春蜓.
此主題相關圖片如下:


按此查看圖片詳細資料
鼎脈蜻蜓(雄)停枯枝.
此主題相關圖片如下:


按此查看圖片詳細資料
此主題相關圖片如下:


按此查看圖片詳細資料
此主題相關圖片如下:


按此查看圖片詳細資料
弄蝶訪月桃花.
此主題相關圖片如下:


按此查看圖片詳細資料
黃盾背椿象若蟲.
此主題相關圖片如下:


按此查看圖片詳細資料
|
頂部 |
| swing57 |
發表於: 2008/06/27 12:39pm
|
這處稱得上是我的秘密花園,離家15分鐘就到了,有山有水就會有生態,日記可寫長一點也可寫短一點隨意就好,主角也可能重複但發現的地點不同就有記錄它的價值存在.
此主題相關圖片如下:


按此查看圖片詳細資料
此主題相關圖片如下:


按此查看圖片詳細資料
此主題相關圖片如下:


按此查看圖片詳細資料
此主題相關圖片如下:


按此查看圖片詳細資料
|
頂部 |
| swing57 |
發表於: 2008/06/27 01:15pm
|
佈滿露水的蘆葦葉上停一隻守株待兔的大銀腹蛛(雌).
此主題相關圖片如下:


按此查看圖片詳細資料
水是蜻蜓的發源地,有水的地方就有它們的身影.
此主題相關圖片如下:


按此查看圖片詳細資料
此主題相關圖片如下:


按此查看圖片詳細資料
此主題相關圖片如下:


按此查看圖片詳細資料
此主題相關圖片如下:


按此查看圖片詳細資料
此主題相關圖片如下:


按此查看圖片詳細資料
|
頂部 |
| swing57 |
發表於: 2008/06/27 02:08pm
|
麻雀雖小五臟俱全的小灰蝶.
此主題相關圖片如下:


按此查看圖片詳細資料
此主題相關圖片如下:


按此查看圖片詳細資料
此主題相關圖片如下:


按此查看圖片詳細資料
暫時落入陷阱但不一定是最後輸家的小螳螂.
此主題相關圖片如下:


按此查看圖片詳細資料
此主題相關圖片如下:


按此查看圖片詳細資料
此主題相關圖片如下:


按此查看圖片詳細資料
|
頂部 |
| swing57 |
發表於: 2008/06/27 06:09pm
|
台灣粉蝶(雌)訪花.
此主題相關圖片如下:


按此查看圖片詳細資料
此主題相關圖片如下:


按此查看圖片詳細資料
有尾型的大鳳蝶(雌),翅膀還在擺動.
此主題相關圖片如下:


按此查看圖片詳細資料
此主題相關圖片如下:


按此查看圖片詳細資料
它叫蛾蠟蟬常看到因為都太早看到拍不清楚,這張算清楚一點的但只有一隻,一般是好幾隻在一起生活的.
此主題相關圖片如下:


按此查看圖片詳細資料
掌夜蛾的終齡幼蟲.
此主題相關圖片如下:


按此查看圖片詳細資料
|
頂部 |
| swing57 |
發表於: 2008/06/27 10:22pm
|
濱臨斷糧的一群黑鳳蝶,紅刺蔥葉被吃光了,爬行在佈滿尖刺的樹幹上,像在表演特技一樣.
此主題相關圖片如下:


按此查看圖片詳細資料
此主題相關圖片如下:


按此查看圖片詳細資料
此主題相關圖片如下:


按此查看圖片詳細資料
此主題相關圖片如下:


按此查看圖片詳細資料
此主題相關圖片如下:


按此查看圖片詳細資料
此主題相關圖片如下:


按此查看圖片詳細資料
|
頂部 |
| swing57 |
發表於: 2008/06/28 04:43pm
|
命運大不同的構月天蛾,被寄生,剛羽化.
此主題相關圖片如下:


按此查看圖片詳細資料
此主題相關圖片如下:


按此查看圖片詳細資料
此主題相關圖片如下:


按此查看圖片詳細資料
冇骨消上的台灣三線蝶.
此主題相關圖片如下:


按此查看圖片詳細資料
虎視眈眈的螳螂.
此主題相關圖片如下:


按此查看圖片詳細資料
青帶鳳蝶訪花(冇骨消).
此主題相關圖片如下:


按此查看圖片詳細資料
|
頂部 |
| swing57 |
發表於: 2008/06/28 05:10pm
|
這是一座水土保持示範公園,裡面種了一些花草,尤其是馬纓丹引蝶效果最棒,還有一旁水池邊住著一對大白鵝,不知道為什麼每次去我都想拍它們,另外有一群鴨子哌哌哌的叫,不過最大目的是來拍蝶的啦.
此主題相關圖片如下:


按此查看圖片詳細資料
此主題相關圖片如下:


按此查看圖片詳細資料
此主題相關圖片如下:


按此查看圖片詳細資料
此主題相關圖片如下:


按此查看圖片詳細資料
此主題相關圖片如下:


按此查看圖片詳細資料
此主題相關圖片如下:


按此查看圖片詳細資料
|
頂部 |
| swing57 |
發表於: 2008/06/28 05:27pm
|
大熱天追著蝴蝶邊拍邊跑是辛苦的,但拍出來的效果確實比較好,那就忍著點流些汗了.
首先登場的是柑橘鳳蝶.
此主題相關圖片如下:


按此查看圖片詳細資料
此主題相關圖片如下:


按此查看圖片詳細資料
此主題相關圖片如下:


按此查看圖片詳細資料
此主題相關圖片如下:


按此查看圖片詳細資料
此主題相關圖片如下:


按此查看圖片詳細資料
此主題相關圖片如下:


按此查看圖片詳細資料
|
頂部 |
| swing57 |
發表於: 2008/06/28 05:52pm
|
再來是台灣琉璃紋鳳蝶,好像有烏鴉鳳蝶混在裡面.
此主題相關圖片如下:


按此查看圖片詳細資料
此主題相關圖片如下:


按此查看圖片詳細資料
此主題相關圖片如下:


按此查看圖片詳細資料
此主題相關圖片如下:


按此查看圖片詳細資料
此主題相關圖片如下:


按此查看圖片詳細資料
此主題相關圖片如下:


按此查看圖片詳細資料
|
頂部 |
| swing57 |
發表於: 2008/06/28 06:05pm
|
青帶鳳蝶也來了.
此主題相關圖片如下:


按此查看圖片詳細資料
此主題相關圖片如下:


按此查看圖片詳細資料
此主題相關圖片如下:


按此查看圖片詳細資料
此主題相關圖片如下:


按此查看圖片詳細資料
此主題相關圖片如下:


按此查看圖片詳細資料
此主題相關圖片如下:


按此查看圖片詳細資料
|
頂部 |
| swing57 |
發表於: 2008/06/28 06:17pm
|
黑端豹斑蝶(雌)
此主題相關圖片如下:


按此查看圖片詳細資料
此主題相關圖片如下:


按此查看圖片詳細資料
此主題相關圖片如下:


按此查看圖片詳細資料
此主題相關圖片如下:


按此查看圖片詳細資料
此主題相關圖片如下:


按此查看圖片詳細資料
此主題相關圖片如下:


按此查看圖片詳細資料
|
頂部 |
| swing57 |
發表於: 2008/06/28 06:46pm
|
黑端豹斑蝶(雌)展翅.
此主題相關圖片如下:


按此查看圖片詳細資料
琉球紫蛺蝶(雄)
此主題相關圖片如下:


按此查看圖片詳細資料
此主題相關圖片如下:


按此查看圖片詳細資料
不知名的弄蝶訪花.
此主題相關圖片如下:


按此查看圖片詳細資料
淡黃蝶 (無斑型)
此主題相關圖片如下:


按此查看圖片詳細資料
|
頂部 |
| swing57 |
發表於: 2008/06/28 09:23pm
|
一段短短不到幾十米的竹林小徑,裡面會有什麼走一趟不就知道了.
此主題相關圖片如下:


按此查看圖片詳細資料
|
頂部 |
| swing57 |
發表於: 2008/06/28 10:01pm
|
林子是蟲蟲天亮前及刮風時的棲身之所,在太陽還沒正式露臉時在裡面可以發現一些蟲蟲還在休息,比人類的作息還晚.
各式各樣的蜻蜓.
此主題相關圖片如下:


按此查看圖片詳細資料
此主題相關圖片如下:


按此查看圖片詳細資料
此主題相關圖片如下:


按此查看圖片詳細資料
此主題相關圖片如下:


按此查看圖片詳細資料
此主題相關圖片如下:


按此查看圖片詳細資料
此主題相關圖片如下:


按此查看圖片詳細資料
|
頂部 |
| swing57 |
發表於: 2008/06/28 10:35pm
|
[這篇文章最後由swing57在 2008/07/15 11:23am 第 1 次編輯]
很有型及巨無霸蜻蜓.
黃紉蜻蜓(雄),特微是3~4節為白色,雌的為黃色.
此主題相關圖片如下:


按此查看圖片詳細資料
此主題相關圖片如下:


按此查看圖片詳細資料
此主題相關圖片如下:


按此查看圖片詳細資料
此主題相關圖片如下:


按此查看圖片詳細資料
此主題相關圖片如下:


按此查看圖片詳細資料
此主題相關圖片如下:


按此查看圖片詳細資料
|
頂部 |
| swing57 |
發表於: 2008/06/29 00:03am
|
再來幾隻.
此主題相關圖片如下:


按此查看圖片詳細資料
此主題相關圖片如下:


按此查看圖片詳細資料
此主題相關圖片如下:


按此查看圖片詳細資料
此主題相關圖片如下:


按此查看圖片詳細資料
此主題相關圖片如下:


按此查看圖片詳細資料
此主題相關圖片如下:


按此查看圖片詳細資料
|
頂部 |
| swing57 |
發表於: 2008/06/29 07:58am
|
停在高處拍不清楚的蜻蜓.
此主題相關圖片如下:


按此查看圖片詳細資料
此主題相關圖片如下:


按此查看圖片詳細資料
此主題相關圖片如下:


按此查看圖片詳細資料
此主題相關圖片如下:


按此查看圖片詳細資料
|
頂部 |
| swing57 |
發表於: 2008/06/29 12:32pm
|
再來換蝴蝶上場了. 三尾小灰蝶,第二次入鏡,竹林光線不足一張用了閃光燈.
此主題相關圖片如下:


按此查看圖片詳細資料
此主題相關圖片如下:


按此查看圖片詳細資料
此主題相關圖片如下:


按此查看圖片詳細資料
倒掛金勾的石牆蝶.
此主題相關圖片如下:


按此查看圖片詳細資料
此主題相關圖片如下:


按此查看圖片詳細資料
此主題相關圖片如下:


按此查看圖片詳細資料
|
頂部 |
| swing57 |
發表於: 2008/06/29 02:14pm
|
別被它外表所矇避了,它不是黃三線蝶,而是台灣單帶蛺蝶/台灣一文字蝶(雌)
此主題相關圖片如下:


按此查看圖片詳細資料
此主題相關圖片如下:


按此查看圖片詳細資料
此主題相關圖片如下:


按此查看圖片詳細資料
此主題相關圖片如下:


按此查看圖片詳細資料
還在賴床的青帶鳳蝶.
此主題相關圖片如下:


按此查看圖片詳細資料
烏鴉鳳蝶也賴在兒那動也不動.
此主題相關圖片如下:


按此查看圖片詳細資料
|
頂部 |
| swing57 |
發表於: 2008/06/29 02:51pm
|
[這篇文章最後由swing57在 2008/06/29 03:28pm 第 1 次編輯]
白波紋小灰蝶
此主題相關圖片如下:


按此查看圖片詳細資料
台灣三線蝶.
此主題相關圖片如下:


按此查看圖片詳細資料
此主題相關圖片如下:


按此查看圖片詳細資料
黑鳳蝶的蛹看起來已經不健康了.
此主題相關圖片如下:


按此查看圖片詳細資料
蓬萊茶斑蛾.
此主題相關圖片如下:


按此查看圖片詳細資料
|
頂部 |
| swing57 |
發表於: 2008/06/29 03:14pm
|
白帶黑斑蛾.
此主題相關圖片如下:


按此查看圖片詳細資料
綠脈白斑蛾.
此主題相關圖片如下:


按此查看圖片詳細資料
此主題相關圖片如下:


按此查看圖片詳細資料
此主題相關圖片如下:


按此查看圖片詳細資料
此主題相關圖片如下:


按此查看圖片詳細資料
|
頂部 |
| swing57 |
發表於: 2008/07/02 11:42am
|
這條小路是隨山勢而上,全程走下來不久大概30~40分鐘,山下一口野塘荷花盛開時很漂亮但已過花期,同樣休耕的田裡偶而也會種上一整遍的波斯菊,是春天才看得到那種景象,不過不起眼的野塘在不同角度把它拍下來別有一番風味.
此主題相關圖片如下:


按此查看圖片詳細資料
此主題相關圖片如下:


按此查看圖片詳細資料
此主題相關圖片如下:


按此查看圖片詳細資料
此主題相關圖片如下:


按此查看圖片詳細資料
此主題相關圖片如下:


按此查看圖片詳細資料
此主題相關圖片如下:


按此查看圖片詳細資料
|
頂部 |
| swing57 |
發表於: 2008/07/02 01:48pm
|
野桐葉正反面都停滿黃盾背椿象成蟲及若蟲.
此主題相關圖片如下:


按此查看圖片詳細資料
此主題相關圖片如下:


按此查看圖片詳細資料
此主題相關圖片如下:


按此查看圖片詳細資料
此主題相關圖片如下:


按此查看圖片詳細資料
野桐上的另一種昆蟲星天牛.
此主題相關圖片如下:


按此查看圖片詳細資料
此主題相關圖片如下:


按此查看圖片詳細資料
|
頂部 |
| swing57 |
發表於: 2008/07/02 04:29pm
|
一早就出來覓食的長喙天蛾,可惜沒把握到最佳拍攝時機.
此主題相關圖片如下:


按此查看圖片詳細資料
此主題相關圖片如下:


按此查看圖片詳細資料
蜻蜓與豆娘.
此主題相關圖片如下:


按此查看圖片詳細資料
此主題相關圖片如下:


按此查看圖片詳細資料
此主題相關圖片如下:


按此查看圖片詳細資料
此主題相關圖片如下:


按此查看圖片詳細資料
|
頂部 |
| swing57 |
發表於: 2008/07/02 07:21pm
|
紅脈熊蟬.
此主題相關圖片如下:


按此查看圖片詳細資料
此主題相關圖片如下:


按此查看圖片詳細資料
薄翅蟬(褐色型)
此主題相關圖片如下:


按此查看圖片詳細資料
白帶黑斑蛾.
此主題相關圖片如下:


按此查看圖片詳細資料
一對燈蛾.
此主題相關圖片如下:


按此查看圖片詳細資料
此主題相關圖片如下:


按此查看圖片詳細資料
|
頂部 |
| 塔內內 |
發表於: 2008/07/02 08:00pm
|
此主題相關圖片如下:


按此查看圖片詳細資料
此主題相關圖片如下:


按此查看圖片詳細資料
我也有毛毛蟲和小蛾. |
頂部 |
| 塔內內 |
發表於: 2008/07/02 08:12pm
|
此主題相關圖片如下:


按此查看圖片詳細資料
此主題相關圖片如下:


按此查看圖片詳細資料
我也有....蟬.... |
頂部 |
| swing57 |
發表於: 2008/07/02 08:13pm
|
下面引用由塔內內在 2008/07/02 08:00pm 發表的內容: 我也有毛毛蟲和小蛾.
|
|
哈哈,塔內內忙裡偷閒,去上課不忘拍蟲蟲,是一隻弄蝶及毒蛾幼蟲一隻. |
頂部 |
| swing57 |
發表於: 2008/07/03 04:32pm
|
又到燕子繁殖的季節,據說它來一趟會生兩窩2~4顆蛋,早晨或傍晚都成群高速低空飛行捕捉小蟲餵食小鳥,這是我的相機唯一可以比較接近拍的鳥類,將它記錄下來.
此主題相關圖片如下:


按此查看圖片詳細資料
此主題相關圖片如下:


按此查看圖片詳細資料
此主題相關圖片如下:


按此查看圖片詳細資料
此主題相關圖片如下:


按此查看圖片詳細資料
此主題相關圖片如下:


按此查看圖片詳細資料
此主題相關圖片如下:


按此查看圖片詳細資料
|
頂部 |
| swing57 |
發表於: 2008/07/03 04:34pm
|
此主題相關圖片如下:


按此查看圖片詳細資料
此主題相關圖片如下:


按此查看圖片詳細資料
此主題相關圖片如下:


按此查看圖片詳細資料
此主題相關圖片如下:


按此查看圖片詳細資料
此主題相關圖片如下:


按此查看圖片詳細資料
此主題相關圖片如下:


按此查看圖片詳細資料
|
頂部 |
| swing57 |
發表於: 2008/07/03 04:39pm
|
此主題相關圖片如下:


按此查看圖片詳細資料
此主題相關圖片如下:


按此查看圖片詳細資料
此主題相關圖片如下:


按此查看圖片詳細資料
此主題相關圖片如下:


按此查看圖片詳細資料
此主題相關圖片如下:


按此查看圖片詳細資料
此主題相關圖片如下:


按此查看圖片詳細資料
|
頂部 |
| 塔內內 |
發表於: 2008/07/03 08:24pm
|
此主題相關圖片如下:


按此查看圖片詳細資料
此主題相關圖片如下:


按此查看圖片詳細資料
此主題相關圖片如下:


按此查看圖片詳細資料
|
頂部 |
| 塔內內 |
發表於: 2008/07/04 12:44pm
|
此主題相關圖片如下:


按此查看圖片詳細資料
蓮霧 上的蟲蟲. |
頂部 |
| swing57 |
發表於: 2008/07/04 02:57pm
|
塔內內對蟲蟲的焦距找到了,在對的季節裡找蟲蟲應該不難. 咦,這隻長的特別的蟲蟲我沒見過.
這是住家1~2公里外的地方,有時不想跑遠時都會來這附近走走,但蠻多帶點不友善的小狗會在路口迎接你的到來,吠個不停.
此主題相關圖片如下:


按此查看圖片詳細資料
此主題相關圖片如下:


按此查看圖片詳細資料
此主題相關圖片如下:


按此查看圖片詳細資料
此主題相關圖片如下:


按此查看圖片詳細資料
|
頂部 |
| alderfly |
發表於: 2008/07/04 04:31pm
|
[這篇文章最後由alderfly在 2008/07/04 05:34pm 第 1 次編輯]
真是要感謝 swing57大大 那麼精彩的記錄,讓我大飽眼福. |
頂部 |
| swing57 |
發表於: 2008/07/04 05:42pm
|
常出現在鏡頭前的主角.
此主題相關圖片如下:


按此查看圖片詳細資料
此主題相關圖片如下:


按此查看圖片詳細資料
此主題相關圖片如下:


按此查看圖片詳細資料
此主題相關圖片如下:


按此查看圖片詳細資料
此主題相關圖片如下:


按此查看圖片詳細資料
此主題相關圖片如下:


按此查看圖片詳細資料
|
頂部 |
| 塔內內 |
發表於: 2008/07/04 07:12pm
|
此主題相關圖片如下:


按此查看圖片詳細資料
此主題相關圖片如下:


按此查看圖片詳細資料
此主題相關圖片如下:


按此查看圖片詳細資料
此主題相關圖片如下:


按此查看圖片詳細資料
此主題相關圖片如下:


按此查看圖片詳細資料
|
頂部 |
| 塔內內 |
發表於: 2008/07/04 07:17pm
|
此主題相關圖片如下:


按此查看圖片詳細資料
此主題相關圖片如下:


按此查看圖片詳細資料
哈哈 .我的蟲 也粉多 . 不過.我要 ...通通殺了..... . . . . . . 因為 . . 我電腦要升級了 ! |
頂部 |
| swing57 |
發表於: 2008/07/04 07:39pm
|
下面引用由塔內內在 2008/07/04 07:17pm 發表的內容: 哈哈 .我的蟲 也粉多 . 不過.我要 ...通通殺了..... . . ...
|
|
電腦升級跟資料,圖檔沒關係啦,可以完全保留下來,不要做格式化就好,我手邊的圖檔我都捨不得刪掉因為那是自己辛苦尋找的成果,有些可能你只能見它一次面以後想看到都很難. |
頂部 |
| swing57 |
發表於: 2008/07/04 10:59pm
|
此主題相關圖片如下:


按此查看圖片詳細資料
此主題相關圖片如下:


按此查看圖片詳細資料
此主題相關圖片如下:


按此查看圖片詳細資料
此主題相關圖片如下:


按此查看圖片詳細資料
此主題相關圖片如下:


按此查看圖片詳細資料
此主題相關圖片如下:


按此查看圖片詳細資料
|
頂部 |
| swing57 |
發表於: 2008/07/04 11:54pm
|
忙著採蜜的熊蜂,花蜂,及以我不敢輕易恭維的蜘蛛,因為咬人其痛無比.
此主題相關圖片如下:


按此查看圖片詳細資料
此主題相關圖片如下:


按此查看圖片詳細資料
此主題相關圖片如下:


按此查看圖片詳細資料
此主題相關圖片如下:


按此查看圖片詳細資料
此主題相關圖片如下:


按此查看圖片詳細資料
此主題相關圖片如下:


按此查看圖片詳細資料
|
頂部 |
| 塔內內 |
發表於: 2008/07/05 02:28pm
|
下面引用由swing57在 2008/07/04 11:54pm 發表的內容: 忙著採蜜的熊蜂,花蜂,及以我不敢輕易恭維的蜘蛛,因為咬人其痛無比.
|
|
swing57葛格 : 您拍昆蟲 .粉漂亮耶 !
我來貼張 .超大隻的...獨角仙 ...快要和 大人的手掌 一樣大了 ....
此主題相關圖片如下:


按此查看圖片詳細資料
此主題相關圖片如下:


按此查看圖片詳細資料
|
頂部 |
| swing57 |
發表於: 2008/07/05 08:53pm
|
下面引用由塔內內在 2008/07/05 02:28pm 發表的內容: swing57葛格 : 您拍昆蟲 .粉漂亮耶 ! 我來貼張 .超大隻的...獨角仙 ...快要和 大人的手掌 一樣大了 ....
|
|
塔內內的獨角仙真是頭好壯壯,獨角仙的大小決定在幼蟲時期,營養好體型就大隻否則就只有小小隻的. |
頂部 |
| swing57 |
發表於: 2008/07/05 09:31pm
|
今天去爬了一趟石牛山,本來以為沒什麼挑戰性,後來從另一條路徑往下走才知道為什麼要命名石牛了,在光禿禿的牛背上行走時而上時而下,呈70度陡坡往上延伸,沿路都綁上繩索得靠它才能順利行走完成全程的探訪.
此主題相關圖片如下:


按此查看圖片詳細資料
此主題相關圖片如下:


按此查看圖片詳細資料
此主題相關圖片如下:


按此查看圖片詳細資料
此主題相關圖片如下:


按此查看圖片詳細資料
此主題相關圖片如下:


按此查看圖片詳細資料
此主題相關圖片如下:


按此查看圖片詳細資料
|
頂部 |
| swing57 |
發表於: 2008/07/06 00:27am
|
此主題相關圖片如下:


按此查看圖片詳細資料
此主題相關圖片如下:


按此查看圖片詳細資料
此主題相關圖片如下:


按此查看圖片詳細資料
此主題相關圖片如下:


按此查看圖片詳細資料
此主題相關圖片如下:


按此查看圖片詳細資料
此主題相關圖片如下:


按此查看圖片詳細資料
|
頂部 |
| swing57 |
發表於: 2008/07/06 00:45am
|
此主題相關圖片如下:


按此查看圖片詳細資料
此主題相關圖片如下:


按此查看圖片詳細資料
此主題相關圖片如下:


按此查看圖片詳細資料
此主題相關圖片如下:


按此查看圖片詳細資料
此主題相關圖片如下:


按此查看圖片詳細資料
此主題相關圖片如下:


按此查看圖片詳細資料
|
頂部 |
| swing57 |
發表於: 2008/07/06 00:59am
|
此主題相關圖片如下:


按此查看圖片詳細資料
此主題相關圖片如下:


按此查看圖片詳細資料
此主題相關圖片如下:


按此查看圖片詳細資料
此主題相關圖片如下:


按此查看圖片詳細資料
此主題相關圖片如下:


按此查看圖片詳細資料
此主題相關圖片如下:


按此查看圖片詳細資料
|
頂部 |
| swing57 |
發表於: 2008/07/06 01:12am
|
此主題相關圖片如下:


按此查看圖片詳細資料
此主題相關圖片如下:


按此查看圖片詳細資料
此主題相關圖片如下:


按此查看圖片詳細資料
此主題相關圖片如下:


按此查看圖片詳細資料
此主題相關圖片如下:


按此查看圖片詳細資料
此主題相關圖片如下:


按此查看圖片詳細資料
|
頂部 |
| swing57 |
發表於: 2008/07/06 01:25am
|
此主題相關圖片如下:


按此查看圖片詳細資料
此主題相關圖片如下:


按此查看圖片詳細資料
此主題相關圖片如下:


按此查看圖片詳細資料
此主題相關圖片如下:


按此查看圖片詳細資料
此主題相關圖片如下:


按此查看圖片詳細資料
此主題相關圖片如下:


按此查看圖片詳細資料
|
頂部 |
| swing57 |
發表於: 2008/07/06 01:40am
|
此主題相關圖片如下:


按此查看圖片詳細資料
此主題相關圖片如下:


按此查看圖片詳細資料
此主題相關圖片如下:


按此查看圖片詳細資料
此主題相關圖片如下:


按此查看圖片詳細資料
此主題相關圖片如下:


按此查看圖片詳細資料
此主題相關圖片如下:


按此查看圖片詳細資料
|
頂部 |
| swing57 |
發表於: 2008/07/06 01:59am
|
此主題相關圖片如下:


按此查看圖片詳細資料
此主題相關圖片如下:


按此查看圖片詳細資料
此主題相關圖片如下:


按此查看圖片詳細資料
此主題相關圖片如下:


按此查看圖片詳細資料
此主題相關圖片如下:


按此查看圖片詳細資料
此主題相關圖片如下:


按此查看圖片詳細資料
|
頂部 |
| swing57 |
發表於: 2008/07/06 07:27am
|
[這篇文章最後由swing57在 2008/07/09 11:55pm 第 2 次編輯]
山上的蟲蟲生態. 美麗紋路的眼點金蛛,第一次看到.
此主題相關圖片如下:


按此查看圖片詳細資料
此主題相關圖片如下:


按此查看圖片詳細資料
此主題相關圖片如下:


按此查看圖片詳細資料
怪模樣的蟲蟲也是第一次見到,像蠅又像虻.
此主題相關圖片如下:


按此查看圖片詳細資料
很恩愛的一對蛾.
此主題相關圖片如下:


按此查看圖片詳細資料
找地方化蛹或找食草的長斑擬燈蛾幼蟲在地上爬行.
此主題相關圖片如下:


按此查看圖片詳細資料
|
頂部 |
| swing57 |
發表於: 2008/07/06 07:57am
|
彩虹吉丁蟲.
此主題相關圖片如下:


按此查看圖片詳細資料
此主題相關圖片如下:


按此查看圖片詳細資料
此主題相關圖片如下:


按此查看圖片詳細資料
陰暗的林子是蜘蛛常出沒的地方.
此主題相關圖片如下:


按此查看圖片詳細資料
此主題相關圖片如下:


按此查看圖片詳細資料
不易接近的中華迦蟌.
此主題相關圖片如下:


按此查看圖片詳細資料
|
頂部 |
| swing57 |
發表於: 2008/07/06 08:37am
|
[這篇文章最後由swing57在 2008/07/22 09:36pm 第 2 次編輯]
山上的花花草草. 圓果秋海棠.
此主題相關圖片如下:


按此查看圖片詳細資料
此主題相關圖片如下:


按此查看圖片詳細資料
此主題相關圖片如下:


按此查看圖片詳細資料
此主題相關圖片如下:


按此查看圖片詳細資料
此主題相關圖片如下:


按此查看圖片詳細資料
名稱:柚葉藤 別名: 石柑、青風藤、柚葉天南星、石蒲藤。 原產地: 產於中國大陸南部、琉球、台灣。 生長分佈: 海拔1200公尺以下透光佳的闊葉林樹幹、陰涼潮濕岩壁。 科名: 天南星科Araceae.柚葉藤屬 學名: Pothos chinensis(Raf.)Merr. 英名: Orange-leaved pothos;Rock vine. 用途: 庭植添景觀賞。全株有理氣止痛、袪風濕、清熱、解毒、消食之效。可治風濕骨痛、疝氣、腳氣等。 生長形態: 多年生常綠藤本,全株呈綠色,光滑無毛。
此主題相關圖片如下:


按此查看圖片詳細資料
|
頂部 |
| swing57 |
發表於: 2008/07/06 08:52am
|
[這篇文章最後由swing57在 2008/07/06 05:30pm 第 1 次編輯]
只認得倒地蜈蚣其它都不認識.
此主題相關圖片如下:


按此查看圖片詳細資料
此主題相關圖片如下:


按此查看圖片詳細資料
此主題相關圖片如下:


按此查看圖片詳細資料
此主題相關圖片如下:


按此查看圖片詳細資料
此主題相關圖片如下:


按此查看圖片詳細資料
此主題相關圖片如下:


按此查看圖片詳細資料
|
頂部 |
| swing57 |
發表於: 2008/07/06 10:28am
|
[這篇文章最後由swing57在 2008/07/10 00:03am 第 2 次編輯]
有園藝有原生的花花草草.
此主題相關圖片如下:


按此查看圖片詳細資料
此主題相關圖片如下:


按此查看圖片詳細資料
水金京(植物版網友協助鑑定)
此主題相關圖片如下:


按此查看圖片詳細資料
此主題相關圖片如下:


按此查看圖片詳細資料
普刺特草
此主題相關圖片如下:


按此查看圖片詳細資料
此主題相關圖片如下:


按此查看圖片詳細資料
|
頂部 |
| swing57 |
發表於: 2008/07/06 02:03pm
|
倒木加上水氣充足,野生的蕈類就到處長了.
此主題相關圖片如下:


按此查看圖片詳細資料
此主題相關圖片如下:


按此查看圖片詳細資料
此主題相關圖片如下:


按此查看圖片詳細資料
此主題相關圖片如下:


按此查看圖片詳細資料
此主題相關圖片如下:


按此查看圖片詳細資料
此主題相關圖片如下:


按此查看圖片詳細資料
|
頂部 |
| swing57 |
發表於: 2008/07/06 06:10pm
|
下山囉,爬石牛山可以選擇右去左回或左去右回,先苦後樂或先樂後苦,不建議走同一條路線來回,這樣會錯失很多景點.
此主題相關圖片如下:


按此查看圖片詳細資料
此主題相關圖片如下:


按此查看圖片詳細資料
此主題相關圖片如下:


按此查看圖片詳細資料
此主題相關圖片如下:


按此查看圖片詳細資料
此主題相關圖片如下:


按此查看圖片詳細資料
此主題相關圖片如下:


按此查看圖片詳細資料
|
頂部 |
| 塔內內 |
發表於: 2008/07/06 07:46pm
|
下面引用由swing57在 2008/07/06 06:10pm 發表的內容: 下山囉,爬石牛山可以選擇右去左回或左去右回,先苦後樂或先樂後苦,不建議走同一條路線來回,這樣會錯失很多景點.
|
|
石牛山 粉不好走的樣子... 還好...我沒有跟去...呵呵呵 !!! 我都走 這種的...
此主題相關圖片如下:


按此查看圖片詳細資料
此主題相關圖片如下:


按此查看圖片詳細資料
此主題相關圖片如下:


按此查看圖片詳細資料
此主題相關圖片如下:


按此查看圖片詳細資料
此主題相關圖片如下:


按此查看圖片詳細資料
找 潘氏蜥蜴 (不知道 對不對 )...把蟲蟲 ..吃光光 ...哈哈哈 ... |
頂部 |
| swing57 |
發表於: 2008/07/06 08:49pm
|
下面引用由塔內內在 2008/07/06 07:46pm 發表的內容: 石牛山 粉不好走的樣子... 還好...我沒有跟去...呵呵呵 !!! 我都走 這種的... 找 潘氏蜥蜴 (不知道 對不對 )...把蟲蟲 ..吃光光 ...哈哈哈 ...
|
|
喔,大眾路線,放假能親近山林就是件好事,且生態看來也不錯.
還沒完繼續往下走.
此主題相關圖片如下:


按此查看圖片詳細資料
此主題相關圖片如下:


按此查看圖片詳細資料
此主題相關圖片如下:


按此查看圖片詳細資料
此主題相關圖片如下:


按此查看圖片詳細資料
此主題相關圖片如下:


按此查看圖片詳細資料
此主題相關圖片如下:


按此查看圖片詳細資料
|
頂部 |
| swing57 |
發表於: 2008/07/06 09:05pm
|
[這篇文章最後由swing57在 2008/07/07 03:19pm 第 1 次編輯]
此主題相關圖片如下:


按此查看圖片詳細資料
此主題相關圖片如下:


按此查看圖片詳細資料
此主題相關圖片如下:


按此查看圖片詳細資料
此主題相關圖片如下:


按此查看圖片詳細資料
此主題相關圖片如下:


按此查看圖片詳細資料
此主題相關圖片如下:


按此查看圖片詳細資料
終於回到山下的停車場結束這次的探訪,正常狀況下應該是三個小時左右的行程,因拍照的關係共花掉四個半小時的時間. |
頂部 |
| maymay |
發表於: 2008/07/06 10:19pm
|
喲~~ 看起來沿途都是青苔,路真難走。 辛苦您了!謝謝分享~ |
頂部 |
| swing57 |
發表於: 2008/07/07 07:48am
|
下面引用由maymay在 2008/07/06 10:19pm 發表的內容: 喲~~ 看起來沿途都是青苔,路真難走。 辛苦您了!謝謝分享~
|
|
maymay 也可以來嘗試看看宛如一座戶外攀岩場而且是免費的喔.哈哈~ |
頂部 |
| swing57 |
發表於: 2008/07/09 06:37pm
|
最近都在下雨且地面很潮溼行走不易一直沒有出去拍些東西回來,把前一陣子拍的畫面貼上來墊個檔.
長滿雜草的吊橋是以前台電修築電塔所留下來的,走在上面搖搖晃晃的,腳底踩的是老舊三塊木板組成的橋面,鏤空的可以清楚看到距離溪底大約三層樓以上的高度,橋下風光明媚是釣魚人的天堂,以前未接觸攝影時也曾來這裡釣上幾個小時,溪水冰涼玩玩水也不錯.
此主題相關圖片如下:


按此查看圖片詳細資料
此主題相關圖片如下:


按此查看圖片詳細資料
|
頂部 |
| swing57 |
發表於: 2008/07/09 07:05pm
|
迎接第一道曙光的小蝸牛.
此主題相關圖片如下:


按此查看圖片詳細資料
金綠岱椿也來曬曬太陽.
此主題相關圖片如下:


按此查看圖片詳細資料
白痣珈蟌(雌) 來張正面及側面特寫.
此主題相關圖片如下:


按此查看圖片詳細資料
此主題相關圖片如下:


按此查看圖片詳細資料
翅膀未合表示還在警戒當中的短腹幽蟌(雄).
此主題相關圖片如下:


按此查看圖片詳細資料
及已停妥的狀態(短腹幽蟌/雄).
此主題相關圖片如下:


按此查看圖片詳細資料
|
頂部 |
| swing57 |
發表於: 2008/07/09 07:29pm
|
雙腳懸空的黃肩長腳花金龜趴在苧麻葉上.
此主題相關圖片如下:


按此查看圖片詳細資料
此主題相關圖片如下:


按此查看圖片詳細資料
茄苳葉上發現的茄苳斑蛾終齡幼蟲
此主題相關圖片如下:


按此查看圖片詳細資料
山葡萄葉上色彩豔麗的不知名小蟲.
此主題相關圖片如下:


按此查看圖片詳細資料
野薑花葉背停著一隻線茸毒蛾幼蟲.
此主題相關圖片如下:


按此查看圖片詳細資料
|
頂部 |
| swing57 |
發表於: 2008/07/09 08:01pm
|
線茸毒蛾幼蟲頭部表情特寫.
此主題相關圖片如下:


按此查看圖片詳細資料
正在蓋房子的野蜂.
此主題相關圖片如下:


按此查看圖片詳細資料
躲在葉子裡享用大餐的大紅蛺蝶幼蟲及本尊.
此主題相關圖片如下:


按此查看圖片詳細資料
此主題相關圖片如下:


按此查看圖片詳細資料
大紅蛺蝶成長記錄 白痣珈蟌(雄)也來報到,不同角度顏色看起來不一樣.
此主題相關圖片如下:


按此查看圖片詳細資料
此主題相關圖片如下:


按此查看圖片詳細資料
|
頂部 |
| swing57 |
發表於: 2008/07/09 08:26pm
|
金龜子科族群也算龐大,這是台灣琉璃豆金龜(綠色型) .
此主題相關圖片如下:


按此查看圖片詳細資料
再遇面天樹蛙.
此主題相關圖片如下:


按此查看圖片詳細資料
此主題相關圖片如下:


按此查看圖片詳細資料
此主題相關圖片如下:


按此查看圖片詳細資料
此主題相關圖片如下:


按此查看圖片詳細資料
此主題相關圖片如下:


按此查看圖片詳細資料
|
頂部 |
| swing57 |
發表於: 2008/07/09 09:19pm
|
看起來像披著鎧甲的蒼蠅.
此主題相關圖片如下:


按此查看圖片詳細資料
不知是誰家的蛹.
此主題相關圖片如下:


按此查看圖片詳細資料
有群聚性的長斑擬燈蛾
此主題相關圖片如下:


按此查看圖片詳細資料
黃豔金龜
此主題相關圖片如下:


按此查看圖片詳細資料
又是一個蜂窩.
此主題相關圖片如下:


按此查看圖片詳細資料
渡邊長吻白蠟蟬第一次發現它的地點
此主題相關圖片如下:


按此查看圖片詳細資料
|
頂部 |
| swing57 |
發表於: 2008/07/12 02:21pm
|
一般人來內灣大都是逛逛老街,坐坐內灣支線火車,走走吊橋或玩玩水,比較少人會專程到這裡拍生態的東西,最近都下午後大雷雨,想拍蟲蟲可能有點困難都躲起來了,拍植物不會躲,隨時去都可以但要去對時機否則拍不到花兒盛開的景象.
此主題相關圖片如下:


按此查看圖片詳細資料
此主題相關圖片如下:


按此查看圖片詳細資料
此主題相關圖片如下:


按此查看圖片詳細資料
此主題相關圖片如下:


按此查看圖片詳細資料
此主題相關圖片如下:


按此查看圖片詳細資料
此主題相關圖片如下:


按此查看圖片詳細資料
|
頂部 |
| swing57 |
發表於: 2008/07/12 02:24pm
|
此主題相關圖片如下:


按此查看圖片詳細資料
此主題相關圖片如下:


按此查看圖片詳細資料
此主題相關圖片如下:


按此查看圖片詳細資料
此主題相關圖片如下:


按此查看圖片詳細資料
此主題相關圖片如下:


按此查看圖片詳細資料
此主題相關圖片如下:


按此查看圖片詳細資料
|
頂部 |
| swing57 |
發表於: 2008/07/12 02:27pm
|
此主題相關圖片如下:


按此查看圖片詳細資料
此主題相關圖片如下:


按此查看圖片詳細資料
此主題相關圖片如下:


按此查看圖片詳細資料
此主題相關圖片如下:


按此查看圖片詳細資料
此主題相關圖片如下:


按此查看圖片詳細資料
此主題相關圖片如下:


按此查看圖片詳細資料
|
頂部 |
| swing57 |
發表於: 2008/07/12 02:43pm
|
[這篇文章最後由swing57在 2008/07/12 07:26pm 第 1 次編輯]
山上的花花草草幾乎都不認識.
這美麗的粉紅色花名稱為溪頭秋海棠.
此主題相關圖片如下:


按此查看圖片詳細資料
此主題相關圖片如下:


按此查看圖片詳細資料
此主題相關圖片如下:


按此查看圖片詳細資料
此主題相關圖片如下:


按此查看圖片詳細資料
此主題相關圖片如下:


按此查看圖片詳細資料
此主題相關圖片如下:


按此查看圖片詳細資料
|
頂部 |
| swing57 |
發表於: 2008/07/12 02:54pm
|
[這篇文章最後由swing57在 2008/07/15 04:38pm 第 3 次編輯]
葫蘆科的青牛膽
此主題相關圖片如下:


按此查看圖片詳細資料
此主題相關圖片如下:


按此查看圖片詳細資料
此主題相關圖片如下:


按此查看圖片詳細資料
刺蓼
此主題相關圖片如下:


按此查看圖片詳細資料
此主題相關圖片如下:


按此查看圖片詳細資料
此主題相關圖片如下:


按此查看圖片詳細資料
|
頂部 |
| swing57 |
發表於: 2008/07/12 03:06pm
|
[這篇文章最後由swing57在 2008/07/12 07:38pm 第 1 次編輯]
小白頭翁
此主題相關圖片如下:


按此查看圖片詳細資料
此主題相關圖片如下:


按此查看圖片詳細資料
此主題相關圖片如下:


按此查看圖片詳細資料
此主題相關圖片如下:


按此查看圖片詳細資料
此主題相關圖片如下:


按此查看圖片詳細資料
此主題相關圖片如下:


按此查看圖片詳細資料
|
頂部 |
| swing57 |
發表於: 2008/07/12 03:21pm
|
[這篇文章最後由swing57在 2008/07/15 10:34am 第 2 次編輯]
馬鞭草科的海州常山
此主題相關圖片如下:


按此查看圖片詳細資料
此主題相關圖片如下:


按此查看圖片詳細資料
此主題相關圖片如下:


按此查看圖片詳細資料
毛莨(野芹菜)
此主題相關圖片如下:


按此查看圖片詳細資料
此主題相關圖片如下:


按此查看圖片詳細資料
此主題相關圖片如下:


按此查看圖片詳細資料
|
頂部 |
| swing57 |
發表於: 2008/07/12 03:34pm
|
[這篇文章最後由swing57在 2008/07/15 09:36am 第 4 次編輯]
鴨跖草
此主題相關圖片如下:


按此查看圖片詳細資料
此主題相關圖片如下:


按此查看圖片詳細資料
此主題相關圖片如下:


按此查看圖片詳細資料
台灣青莢葉
此主題相關圖片如下:


按此查看圖片詳細資料
產於南美洲的曼花生
此主題相關圖片如下:


按此查看圖片詳細資料
雙花龍葵
此主題相關圖片如下:


按此查看圖片詳細資料
|
頂部 |
| swing57 |
發表於: 2008/07/12 03:51pm
|
菊科的白頂飛蓬
此主題相關圖片如下:


按此查看圖片詳細資料
此主題相關圖片如下:


按此查看圖片詳細資料
此主題相關圖片如下:


按此查看圖片詳細資料
此主題相關圖片如下:


按此查看圖片詳細資料
此主題相關圖片如下:


按此查看圖片詳細資料
此主題相關圖片如下:


按此查看圖片詳細資料
|
頂部 |
| swing57 |
發表於: 2008/07/12 04:01pm
|
此主題相關圖片如下:


按此查看圖片詳細資料
台灣野百合花期未到可能還要一週左右才會開.
此主題相關圖片如下:


按此查看圖片詳細資料
此主題相關圖片如下:


按此查看圖片詳細資料
此主題相關圖片如下:


按此查看圖片詳細資料
此主題相關圖片如下:


按此查看圖片詳細資料
此主題相關圖片如下:


按此查看圖片詳細資料
|
頂部 |
| swing57 |
發表於: 2008/07/12 04:21pm
|
橋上的原住民裝置藝術,大多數的人只是匆匆走過未曾留意它的存在.
此主題相關圖片如下:


按此查看圖片詳細資料
此主題相關圖片如下:


按此查看圖片詳細資料
此主題相關圖片如下:


按此查看圖片詳細資料
此主題相關圖片如下:


按此查看圖片詳細資料
此主題相關圖片如下:


按此查看圖片詳細資料
此主題相關圖片如下:


按此查看圖片詳細資料
|
頂部 |
| swing57 |
發表於: 2008/07/12 04:37pm
|
此主題相關圖片如下:


按此查看圖片詳細資料
此主題相關圖片如下:


按此查看圖片詳細資料
此主題相關圖片如下:


按此查看圖片詳細資料
此主題相關圖片如下:


按此查看圖片詳細資料
此主題相關圖片如下:


按此查看圖片詳細資料
此主題相關圖片如下:


按此查看圖片詳細資料
|
頂部 |
| swing57 |
發表於: 2008/07/12 04:39pm
|
此主題相關圖片如下:


按此查看圖片詳細資料
隧道上方的塑像.
此主題相關圖片如下:


按此查看圖片詳細資料
|
頂部 |
| swing57 |
發表於: 2008/07/12 04:53pm
|
[這篇文章最後由swing57在 2008/07/12 04:54pm 第 1 次編輯]
山上的蕈類.
此主題相關圖片如下:


按此查看圖片詳細資料
此主題相關圖片如下:


按此查看圖片詳細資料
此主題相關圖片如下:


按此查看圖片詳細資料
此主題相關圖片如下:


按此查看圖片詳細資料
|
頂部 |
| swing57 |
發表於: 2008/07/12 05:10pm
|
山上的昆蟲生態.
此主題相關圖片如下:


按此查看圖片詳細資料
此主題相關圖片如下:


按此查看圖片詳細資料
此主題相關圖片如下:


按此查看圖片詳細資料
此主題相關圖片如下:


按此查看圖片詳細資料
此主題相關圖片如下:


按此查看圖片詳細資料
此主題相關圖片如下:


按此查看圖片詳細資料
|
頂部 |
| swing57 |
發表於: 2008/07/12 05:29pm
|
今年的大紅紋鳳蝶比去年還多,可惜地主做了圍牆,只能在外頭拍無法接近.
此主題相關圖片如下:


按此查看圖片詳細資料
此主題相關圖片如下:


按此查看圖片詳細資料
此主題相關圖片如下:


按此查看圖片詳細資料
此主題相關圖片如下:


按此查看圖片詳細資料
此主題相關圖片如下:


按此查看圖片詳細資料
此主題相關圖片如下:


按此查看圖片詳細資料
|
頂部 |
| maymay |
發表於: 2008/07/12 07:44pm
|
下面引用由swing57在 2008/07/12 04:53pm 發表的內容: 山上的蕈類.
|
|
這些菇菇好可愛好喜歡 謝謝您的分享~
|
頂部 |
| swing57 |
發表於: 2008/07/12 08:36pm
|
下面引用由maymay在 2008/07/12 07:44pm 發表的內容: 這些菇菇好可愛好喜歡 謝謝您的分享~
|
|
我也是第一次看到那麼潔白又有型的菇菇,我想是拜連日下雨所賜,不然平時想看到有些困難,這是在竹60線路上擋土牆上發現的. |
頂部 |
| swing57 |
發表於: 2008/07/13 02:28pm
|
石門水庫以前是赫赫有名的景點(亞洲樂園,龍珠灣),現在已經沒落了,白天變成人家爬山健行騎腳踏車的健身場所,到了晚上更不用說八點多就空空盪盪的一片死寂,不過因為地形封閉的關係,這裡有兩盞水銀燈很招蟲(蛾類),去年我常來這裡報到,有時拍太晚還得繞到慈湖才能回家,每次來這裡都天氣不太好天色灰暗,對岸第二層的高山是上回剛爬過的石牛山不是很高才六百多公尺,聽說要野杜鵑開的時候去最漂亮.
此主題相關圖片如下:


按此查看圖片詳細資料
此主題相關圖片如下:


按此查看圖片詳細資料
此主題相關圖片如下:


按此查看圖片詳細資料
此主題相關圖片如下:


按此查看圖片詳細資料
此主題相關圖片如下:


按此查看圖片詳細資料
此主題相關圖片如下:


按此查看圖片詳細資料
|
頂部 |
| swing57 |
發表於: 2008/07/13 02:37pm
|
此主題相關圖片如下:


按此查看圖片詳細資料
此主題相關圖片如下:


按此查看圖片詳細資料
此主題相關圖片如下:


按此查看圖片詳細資料
此主題相關圖片如下:


按此查看圖片詳細資料
此主題相關圖片如下:


按此查看圖片詳細資料
此主題相關圖片如下:


按此查看圖片詳細資料
|
頂部 |
| swing57 |
發表於: 2008/07/13 02:42pm
|
此主題相關圖片如下:


按此查看圖片詳細資料
此主題相關圖片如下:


按此查看圖片詳細資料
此主題相關圖片如下:


按此查看圖片詳細資料
此主題相關圖片如下:


按此查看圖片詳細資料
此主題相關圖片如下:


按此查看圖片詳細資料
此主題相關圖片如下:


按此查看圖片詳細資料
|
頂部 |
| swing57 |
發表於: 2008/07/13 02:59pm
|
環湖公路兩旁的植物幾乎是園藝品種.
岩壁上的台灣野百合,就只開那麼101朵.
此主題相關圖片如下:


按此查看圖片詳細資料
此主題相關圖片如下:


按此查看圖片詳細資料
此主題相關圖片如下:


按此查看圖片詳細資料
此主題相關圖片如下:


按此查看圖片詳細資料
此主題相關圖片如下:


按此查看圖片詳細資料
此主題相關圖片如下:


按此查看圖片詳細資料
|
頂部 |
| swing57 |
發表於: 2008/07/13 03:15pm
|
[這篇文章最後由swing57在 2008/07/14 07:27am 第 1 次編輯]
此主題相關圖片如下:


按此查看圖片詳細資料
好像有兩種以上的日日櫻.
此主題相關圖片如下:


按此查看圖片詳細資料
此主題相關圖片如下:


按此查看圖片詳細資料
此主題相關圖片如下:


按此查看圖片詳細資料
此主題相關圖片如下:


按此查看圖片詳細資料
此主題相關圖片如下:


按此查看圖片詳細資料
|
頂部 |
| swing57 |
發表於: 2008/07/13 03:27pm
|
[這篇文章最後由swing57在 2008/07/14 06:19pm 第 1 次編輯]
紫薇
此主題相關圖片如下:


按此查看圖片詳細資料
此主題相關圖片如下:


按此查看圖片詳細資料
此主題相關圖片如下:


按此查看圖片詳細資料
馬纓丹
此主題相關圖片如下:


按此查看圖片詳細資料
此主題相關圖片如下:


按此查看圖片詳細資料
小蝦花(黃蝦花)
此主題相關圖片如下:


按此查看圖片詳細資料
|
頂部 |
| swing57 |
發表於: 2008/07/13 03:39pm
|
[這篇文章最後由swing57在 2008/07/14 06:11pm 第 1 次編輯]
野牡丹
此主題相關圖片如下:


按此查看圖片詳細資料
此主題相關圖片如下:


按此查看圖片詳細資料
巴西野牡丹
此主題相關圖片如下:


按此查看圖片詳細資料
此主題相關圖片如下:


按此查看圖片詳細資料
紫莉花
此主題相關圖片如下:


按此查看圖片詳細資料
此主題相關圖片如下:


按此查看圖片詳細資料
|
頂部 |
| swing57 |
發表於: 2008/07/13 03:56pm
|
[這篇文章最後由swing57在 2008/07/14 06:13pm 第 1 次編輯]
大花紫薇
此主題相關圖片如下:


按此查看圖片詳細資料
此主題相關圖片如下:


按此查看圖片詳細資料
此主題相關圖片如下:


按此查看圖片詳細資料
此主題相關圖片如下:


按此查看圖片詳細資料
此主題相關圖片如下:


按此查看圖片詳細資料
此主題相關圖片如下:


按此查看圖片詳細資料
|
頂部 |
| swing57 |
發表於: 2008/07/13 04:12pm
|
[這篇文章最後由swing57在 2008/07/27 07:30pm 第 3 次編輯]
水庫的昆蟲生態.
一些過了時程還不下課的蛾類,它們都是飛蛾撲火的一群. 鋸線天蛾
此主題相關圖片如下:


按此查看圖片詳細資料
雌黃粉尺蛾 Eumelea ludovicata Guenée
此主題相關圖片如下:


按此查看圖片詳細資料
鈴斑翅夜蛾及它產的卵.
此主題相關圖片如下:


按此查看圖片詳細資料
此主題相關圖片如下:


按此查看圖片詳細資料
小點白毒蛾
此主題相關圖片如下:


按此查看圖片詳細資料
此主題相關圖片如下:


按此查看圖片詳細資料
|
頂部 |
| swing57 |
發表於: 2008/07/13 04:33pm
|
[這篇文章最後由swing57在 2008/07/27 07:37pm 第 2 次編輯]
此主題相關圖片如下:


按此查看圖片詳細資料
此主題相關圖片如下:


按此查看圖片詳細資料
圓端擬燈蛾 Asota heliconia zebrina (Butler,1877)
此主題相關圖片如下:


按此查看圖片詳細資料
此主題相關圖片如下:


按此查看圖片詳細資料
此主題相關圖片如下:


按此查看圖片詳細資料
斜帶白斑舟蛾
此主題相關圖片如下:


按此查看圖片詳細資料
|
頂部 |
| swing57 |
發表於: 2008/07/13 04:41pm
|
[這篇文章最後由swing57在 2008/07/14 05:45pm 第 2 次編輯]
此主題相關圖片如下:


按此查看圖片詳細資料
梟斑蠹蛾
此主題相關圖片如下:


按此查看圖片詳細資料
此主題相關圖片如下:


按此查看圖片詳細資料
此主題相關圖片如下:


按此查看圖片詳細資料
此主題相關圖片如下:


按此查看圖片詳細資料
此主題相關圖片如下:


按此查看圖片詳細資料
|
頂部 |
| swing57 |
發表於: 2008/07/13 04:53pm
|
[這篇文章最後由swing57在 2008/07/14 06:01pm 第 1 次編輯]
此主題相關圖片如下:


按此查看圖片詳細資料
此主題相關圖片如下:


按此查看圖片詳細資料
此主題相關圖片如下:


按此查看圖片詳細資料
上供桌的鸞褐弄蝶.(土地公)
此主題相關圖片如下:


按此查看圖片詳細資料
此主題相關圖片如下:


按此查看圖片詳細資料
此主題相關圖片如下:


按此查看圖片詳細資料
|
頂部 |
| swing57 |
發表於: 2008/07/13 05:08pm
|
此主題相關圖片如下:


按此查看圖片詳細資料
此主題相關圖片如下:


按此查看圖片詳細資料
此主題相關圖片如下:


按此查看圖片詳細資料
此主題相關圖片如下:


按此查看圖片詳細資料
此主題相關圖片如下:


按此查看圖片詳細資料
此主題相關圖片如下:


按此查看圖片詳細資料
|
頂部 |
| swing57 |
發表於: 2008/07/13 05:20pm
|
此主題相關圖片如下:


按此查看圖片詳細資料
此主題相關圖片如下:


按此查看圖片詳細資料
此主題相關圖片如下:


按此查看圖片詳細資料
此主題相關圖片如下:


按此查看圖片詳細資料
此主題相關圖片如下:


按此查看圖片詳細資料
此主題相關圖片如下:


按此查看圖片詳細資料
|
頂部 |
| maymay |
發表於: 2008/07/13 08:20pm
|
下面引用由swing57在 2008/07/13 03:15pm 發表的內容: 不知道它們是不是繡球櫻花.
|
|
日日櫻 您拍得真美~ |
頂部 |
| swing57 |
發表於: 2008/07/15 09:41am
|
下面引用由maymay在 2008/07/13 08:20pm 發表的內容: 日日櫻 您拍得真美~
|
|
原來是日日櫻,我以為是在南部農場看到的繡球櫻花,難怪看起來不太一樣. |
頂部 |
| swing57 |
發表於: 2008/07/19 01:28pm
|
卡玫基颱風剛走天氣放晴,不敢往深山跑怕土石鬆動造成危險,只好到附近的丘陵地走走,沒有壯觀的地貌,但生態不算太差.
此主題相關圖片如下:


按此查看圖片詳細資料
此主題相關圖片如下:


按此查看圖片詳細資料
此主題相關圖片如下:


按此查看圖片詳細資料
此主題相關圖片如下:


按此查看圖片詳細資料
此主題相關圖片如下:


按此查看圖片詳細資料
此主題相關圖片如下:


按此查看圖片詳細資料
|
頂部 |
| swing57 |
發表於: 2008/07/19 01:53pm
|
野花野草雖然沒有像人工培育的品種那麼嬌艷動人,不過還是有它存在的意義與價值.
此主題相關圖片如下:


按此查看圖片詳細資料
此主題相關圖片如下:


按此查看圖片詳細資料
此主題相關圖片如下:


按此查看圖片詳細資料
此主題相關圖片如下:


按此查看圖片詳細資料
大青開的花.
此主題相關圖片如下:


按此查看圖片詳細資料
此主題相關圖片如下:


按此查看圖片詳細資料
|
頂部 |
| swing57 |
發表於: 2008/07/19 04:55pm
|
[這篇文章最後由swing57在 2008/07/19 05:01pm 第 1 次編輯]
此主題相關圖片如下:


按此查看圖片詳細資料
此主題相關圖片如下:


按此查看圖片詳細資料
此主題相關圖片如下:


按此查看圖片詳細資料
此主題相關圖片如下:


按此查看圖片詳細資料
此主題相關圖片如下:


按此查看圖片詳細資料
此主題相關圖片如下:


按此查看圖片詳細資料
|
頂部 |
| swing57 |
發表於: 2008/07/19 05:10pm
|
此主題相關圖片如下:


按此查看圖片詳細資料
此主題相關圖片如下:


按此查看圖片詳細資料
此主題相關圖片如下:


按此查看圖片詳細資料
此主題相關圖片如下:


按此查看圖片詳細資料
此主題相關圖片如下:


按此查看圖片詳細資料
此主題相關圖片如下:


按此查看圖片詳細資料
|
頂部 |
| swing57 |
發表於: 2008/07/19 05:19pm
|
此主題相關圖片如下:


按此查看圖片詳細資料
此主題相關圖片如下:


按此查看圖片詳細資料
此主題相關圖片如下:


按此查看圖片詳細資料
此主題相關圖片如下:


按此查看圖片詳細資料
此主題相關圖片如下:


按此查看圖片詳細資料
此主題相關圖片如下:


按此查看圖片詳細資料
|
頂部 |
| swing57 |
發表於: 2008/07/19 05:29pm
|
此主題相關圖片如下:


按此查看圖片詳細資料
此主題相關圖片如下:


按此查看圖片詳細資料
此主題相關圖片如下:


按此查看圖片詳細資料
此主題相關圖片如下:


按此查看圖片詳細資料
此主題相關圖片如下:


按此查看圖片詳細資料
此主題相關圖片如下:


按此查看圖片詳細資料
|
頂部 |
| swing57 |
發表於: 2008/07/19 05:42pm
|
此主題相關圖片如下:


按此查看圖片詳細資料
此主題相關圖片如下:


按此查看圖片詳細資料
此主題相關圖片如下:


按此查看圖片詳細資料
此主題相關圖片如下:


按此查看圖片詳細資料
此主題相關圖片如下:


按此查看圖片詳細資料
此主題相關圖片如下:


按此查看圖片詳細資料
|
頂部 |
| swing57 |
發表於: 2008/07/19 06:54pm
|
前些日子有人問蝴蝶什麼時候比較容易親近,雨天過後天氣放晴時也是一個不錯的時機,因為要把潮溼的翅膀晾乾,不信的話鏡頭會給你答案.
此主題相關圖片如下:


按此查看圖片詳細資料
此主題相關圖片如下:


按此查看圖片詳細資料
此主題相關圖片如下:


按此查看圖片詳細資料
此主題相關圖片如下:


按此查看圖片詳細資料
此主題相關圖片如下:


按此查看圖片詳細資料
此主題相關圖片如下:


按此查看圖片詳細資料
|
頂部 |
| swing57 |
發表於: 2008/07/19 07:13pm
|
此主題相關圖片如下:


按此查看圖片詳細資料
此主題相關圖片如下:


按此查看圖片詳細資料
此主題相關圖片如下:


按此查看圖片詳細資料
此主題相關圖片如下:


按此查看圖片詳細資料
此主題相關圖片如下:


按此查看圖片詳細資料
此主題相關圖片如下:


按此查看圖片詳細資料
|
頂部 |
| swing57 |
發表於: 2008/07/19 07:26pm
|
[這篇文章最後由swing57在 2008/07/19 07:27pm 第 1 次編輯]
此主題相關圖片如下:


按此查看圖片詳細資料
此主題相關圖片如下:


按此查看圖片詳細資料
此主題相關圖片如下:


按此查看圖片詳細資料
長喙天蛾平時想拍它非常困難,連吸食花蜜都是定點飛行沒有停下來且行動快速.
此主題相關圖片如下:


按此查看圖片詳細資料
此主題相關圖片如下:


按此查看圖片詳細資料
此主題相關圖片如下:


按此查看圖片詳細資料
|
頂部 |
| swing57 |
發表於: 2008/07/19 07:37pm
|
此主題相關圖片如下:


按此查看圖片詳細資料
此主題相關圖片如下:


按此查看圖片詳細資料
此主題相關圖片如下:


按此查看圖片詳細資料
此主題相關圖片如下:


按此查看圖片詳細資料
此主題相關圖片如下:


按此查看圖片詳細資料
此主題相關圖片如下:


按此查看圖片詳細資料
|
頂部 |
| swing57 |
發表於: 2008/07/19 07:49pm
|
此主題相關圖片如下:


按此查看圖片詳細資料
此主題相關圖片如下:


按此查看圖片詳細資料
此主題相關圖片如下:


按此查看圖片詳細資料
此主題相關圖片如下:


按此查看圖片詳細資料
此主題相關圖片如下:


按此查看圖片詳細資料
此主題相關圖片如下:


按此查看圖片詳細資料
|
頂部 |
| swing57 |
發表於: 2008/07/19 07:59pm
|
此主題相關圖片如下:


按此查看圖片詳細資料
此主題相關圖片如下:


按此查看圖片詳細資料
此主題相關圖片如下:


按此查看圖片詳細資料
此主題相關圖片如下:


按此查看圖片詳細資料
此主題相關圖片如下:


按此查看圖片詳細資料
此主題相關圖片如下:


按此查看圖片詳細資料
|
頂部 |
| swing57 |
發表於: 2008/07/19 08:10pm
|
此主題相關圖片如下:


按此查看圖片詳細資料
此主題相關圖片如下:


按此查看圖片詳細資料
此主題相關圖片如下:


按此查看圖片詳細資料
此主題相關圖片如下:


按此查看圖片詳細資料
此主題相關圖片如下:


按此查看圖片詳細資料
此主題相關圖片如下:


按此查看圖片詳細資料
|
頂部 |
| swing57 |
發表於: 2008/07/20 06:16pm
|
一直沒機會爬五指山,剛好繞到這裡順便上去看看,從姆指方向開始爬,並不難爬沿途都有做人工棧道,到姆指大概要50分鐘,再去食指也只要20分鐘左右,因為什麼都沒帶問了折返的山友需原路折返,不然要到五峰那邊下山需6小時,猶豫了一下決定不再往下走又不願原路折返,剛好這裡有一條比較陡的路可以直接往下切,一趟下來連拍照花了3.5小時.
此主題相關圖片如下:


按此查看圖片詳細資料
此主題相關圖片如下:


按此查看圖片詳細資料
此主題相關圖片如下:


按此查看圖片詳細資料
此主題相關圖片如下:


按此查看圖片詳細資料
此主題相關圖片如下:


按此查看圖片詳細資料
此主題相關圖片如下:


按此查看圖片詳細資料
|
頂部 |
| swing57 |
發表於: 2008/07/20 07:51pm
|
此主題相關圖片如下:


按此查看圖片詳細資料
此主題相關圖片如下:


按此查看圖片詳細資料
此主題相關圖片如下:


按此查看圖片詳細資料
此主題相關圖片如下:


按此查看圖片詳細資料
此主題相關圖片如下:


按此查看圖片詳細資料
此主題相關圖片如下:


按此查看圖片詳細資料
|
頂部 |
| swing57 |
發表於: 2008/07/20 08:03pm
|
此主題相關圖片如下:


按此查看圖片詳細資料
此主題相關圖片如下:


按此查看圖片詳細資料
此主題相關圖片如下:


按此查看圖片詳細資料
此主題相關圖片如下:


按此查看圖片詳細資料
此主題相關圖片如下:


按此查看圖片詳細資料
此主題相關圖片如下:


按此查看圖片詳細資料
|
頂部 |
| swing57 |
發表於: 2008/07/20 08:27pm
|
此主題相關圖片如下:


按此查看圖片詳細資料
此主題相關圖片如下:


按此查看圖片詳細資料
此主題相關圖片如下:


按此查看圖片詳細資料
此主題相關圖片如下:


按此查看圖片詳細資料
此主題相關圖片如下:


按此查看圖片詳細資料
此主題相關圖片如下:


按此查看圖片詳細資料
|
頂部 |
| swing57 |
發表於: 2008/07/20 08:36pm
|
此主題相關圖片如下:


按此查看圖片詳細資料
此主題相關圖片如下:


按此查看圖片詳細資料
此主題相關圖片如下:


按此查看圖片詳細資料
此主題相關圖片如下:


按此查看圖片詳細資料
此主題相關圖片如下:


按此查看圖片詳細資料
此主題相關圖片如下:


按此查看圖片詳細資料
|
頂部 |
| swing57 |
發表於: 2008/07/21 07:15am
|
此主題相關圖片如下:


按此查看圖片詳細資料
此主題相關圖片如下:


按此查看圖片詳細資料
此主題相關圖片如下:


按此查看圖片詳細資料
此主題相關圖片如下:


按此查看圖片詳細資料
此主題相關圖片如下:


按此查看圖片詳細資料
此主題相關圖片如下:


按此查看圖片詳細資料
|
頂部 |
| swing57 |
發表於: 2008/07/21 07:26am
|
此主題相關圖片如下:


按此查看圖片詳細資料
此主題相關圖片如下:


按此查看圖片詳細資料
此主題相關圖片如下:


按此查看圖片詳細資料
此主題相關圖片如下:


按此查看圖片詳細資料
此主題相關圖片如下:


按此查看圖片詳細資料
此主題相關圖片如下:


按此查看圖片詳細資料
|
頂部 |
| swing57 |
發表於: 2008/07/21 07:38am
|
此主題相關圖片如下:


按此查看圖片詳細資料
此主題相關圖片如下:


按此查看圖片詳細資料
此主題相關圖片如下:


按此查看圖片詳細資料
此主題相關圖片如下:


按此查看圖片詳細資料
此主題相關圖片如下:


按此查看圖片詳細資料
此主題相關圖片如下:


按此查看圖片詳細資料
|
頂部 |
| swing57 |
發表於: 2008/07/21 07:49am
|
此主題相關圖片如下:


按此查看圖片詳細資料
此主題相關圖片如下:


按此查看圖片詳細資料
此主題相關圖片如下:


按此查看圖片詳細資料
此主題相關圖片如下:


按此查看圖片詳細資料
此主題相關圖片如下:


按此查看圖片詳細資料
此主題相關圖片如下:


按此查看圖片詳細資料
|
頂部 |
| swing57 |
發表於: 2008/07/21 08:02am
|
此主題相關圖片如下:


按此查看圖片詳細資料
此主題相關圖片如下:


按此查看圖片詳細資料
此主題相關圖片如下:


按此查看圖片詳細資料
此主題相關圖片如下:


按此查看圖片詳細資料
此主題相關圖片如下:


按此查看圖片詳細資料
此主題相關圖片如下:


按此查看圖片詳細資料
|
頂部 |
| swing57 |
發表於: 2008/07/21 08:05am
|
此主題相關圖片如下:


按此查看圖片詳細資料
下山前回首再看剛剛爬過的五指山,可惜中指沒去爬那裡有二等三角基點.
此主題相關圖片如下:


按此查看圖片詳細資料
|
頂部 |
| swing57 |
發表於: 2008/07/21 08:19am
|
[這篇文章最後由swing57在 2008/07/31 06:56pm 第 1 次編輯]
山上的花花草草. 圓果秋海棠
此主題相關圖片如下:


按此查看圖片詳細資料
溪頭秋海棠
此主題相關圖片如下:


按此查看圖片詳細資料
此主題相關圖片如下:


按此查看圖片詳細資料
此主題相關圖片如下:


按此查看圖片詳細資料
此主題相關圖片如下:


按此查看圖片詳細資料
此主題相關圖片如下:


按此查看圖片詳細資料
|
頂部 |
| swing57 |
發表於: 2008/07/21 08:30am
|
此主題相關圖片如下:


按此查看圖片詳細資料
此主題相關圖片如下:


按此查看圖片詳細資料
此主題相關圖片如下:


按此查看圖片詳細資料
此主題相關圖片如下:


按此查看圖片詳細資料
此主題相關圖片如下:


按此查看圖片詳細資料
此主題相關圖片如下:


按此查看圖片詳細資料
|
頂部 |
| swing57 |
發表於: 2008/07/21 08:47am
|
[這篇文章最後由swing57在 2008/07/23 07:06pm 第 1 次編輯]
旱田草 玄參科 它是孔雀蛺蝶的食草之一喔.
此主題相關圖片如下:


按此查看圖片詳細資料
此主題相關圖片如下:


按此查看圖片詳細資料
中文名稱: 杜若 英文名稱: Japanese Pollia 學名: Pollia japonica Thunb 科名: 鴨跖草科(Commelinaceae)杜若屬(Pollia) 別名: 山薑、中國水竹葉、石竹菜、地藕、竹葉蓮、山竹殼菜 杜若花及果實.
此主題相關圖片如下:


按此查看圖片詳細資料
此主題相關圖片如下:


按此查看圖片詳細資料
冇骨消 (忍冬科) Sambucus formosana 別名: 接骨草、七葉蓮、台灣蒴藋、七珊瑚花 冇骨消紅色果實.
此主題相關圖片如下:


按此查看圖片詳細資料
此主題相關圖片如下:


按此查看圖片詳細資料
|
頂部 |
| swing57 |
發表於: 2008/07/21 09:00am
|
[這篇文章最後由swing57在 2008/07/23 07:19pm 第 1 次編輯]
此主題相關圖片如下:


按此查看圖片詳細資料
含羞草
此主題相關圖片如下:


按此查看圖片詳細資料
魚腥草 三白草科 別名: 蕺、紫蕺、臭瘥草、魚臊草、九節蓮、手藥、狗貼耳、狗粒米、臭敢草、岑草。
此主題相關圖片如下:


按此查看圖片詳細資料
中文名稱: 野薑花 英文名稱: Butterfly Ginger,Ginger Lily,Butterfly Lily,Garland Flower 學名: Hedychium coronarium Koenig 科名: 薑科(Zingiberaceae)蝴蝶薑屬(Hedychium) 別名: 穗花山奈、山奈、蝴蝶薑、蝴蝶花、薑花、薑蘭、白蝴蝶花、縮砂蔤、立芨、Bazigga'tto(排灣)、白果草 原產地: 印度、馬來西雅、喜馬拉雅山
此主題相關圖片如下:


按此查看圖片詳細資料
此主題相關圖片如下:


按此查看圖片詳細資料
此主題相關圖片如下:


按此查看圖片詳細資料
|
頂部 |
| swing57 |
發表於: 2008/07/21 09:17am
|
[這篇文章最後由swing57在 2008/07/31 07:01pm 第 1 次編輯]
從山下到山上的昆蟲生態. 公的獨角仙
此主題相關圖片如下:


按此查看圖片詳細資料
蝗蟲
此主題相關圖片如下:


按此查看圖片詳細資料
此主題相關圖片如下:


按此查看圖片詳細資料
此主題相關圖片如下:


按此查看圖片詳細資料
此主題相關圖片如下:


按此查看圖片詳細資料
此主題相關圖片如下:


按此查看圖片詳細資料
|
頂部 |
| swing57 |
發表於: 2008/07/21 09:29am
|
[這篇文章最後由swing57在 2008/07/28 07:39pm 第 3 次編輯]
粉蝶燈蛾 燈蛾科
此主題相關圖片如下:


按此查看圖片詳細資料
枯葉蝶 蛺蝶科
此主題相關圖片如下:


按此查看圖片詳細資料
此主題相關圖片如下:


按此查看圖片詳細資料
此主題相關圖片如下:


按此查看圖片詳細資料
黑鳳蝶 鳳蝶科
此主題相關圖片如下:


按此查看圖片詳細資料
最後來一對斯文豪大蝸牛.
此主題相關圖片如下:


按此查看圖片詳細資料
|
頂部 |
| 白如蓮 |
發表於: 2008/07/28 04:17pm
|
[這篇文章最後由白如蓮在 2008/07/28 04:24pm 第 1 次編輯]
野百合開了
此主題相關圖片如下:


按此查看圖片詳細資料
|
頂部 |
| swing57 |
發表於: 2008/07/28 05:10pm
|
[這篇文章最後由swing57在 2008/07/28 07:42pm 第 1 次編輯]
去了幾趟野百合的棲地始終見不著它盛開的景象,野地裡開出潔白的花朵更顯得高貴典雅,上週應該是它的花季沒去棲地反而來到五指山當然沒有因為海拔太高了不適合它生長. 謝謝! 白如蓮 妳拍的百合很美我很喜歡. |
頂部 |
| swing57 |
發表於: 2008/08/02 03:09pm
|
一段時間沒出去走走了,今天一早大概繞了一下,居然變生疏了找不到幾隻蟲,野百合終於看到了,不過可能去的太早拍起來有點暗暗的.
此主題相關圖片如下:


按此查看圖片詳細資料
此主題相關圖片如下:


按此查看圖片詳細資料
此主題相關圖片如下:


按此查看圖片詳細資料
此主題相關圖片如下:


按此查看圖片詳細資料
此主題相關圖片如下:


按此查看圖片詳細資料
此主題相關圖片如下:


按此查看圖片詳細資料
|
頂部 |
| swing57 |
發表於: 2008/08/02 03:19pm
|
此主題相關圖片如下:


按此查看圖片詳細資料
此主題相關圖片如下:


按此查看圖片詳細資料
此主題相關圖片如下:


按此查看圖片詳細資料
此主題相關圖片如下:


按此查看圖片詳細資料
此主題相關圖片如下:


按此查看圖片詳細資料
此主題相關圖片如下:


按此查看圖片詳細資料
|
頂部 |
| swing57 |
發表於: 2008/08/02 03:40pm
|
[這篇文章最後由swing57在 2008/08/02 04:10pm 第 2 次編輯]
此主題相關圖片如下:


按此查看圖片詳細資料
此主題相關圖片如下:


按此查看圖片詳細資料
此主題相關圖片如下:


按此查看圖片詳細資料
此主題相關圖片如下:


按此查看圖片詳細資料
此主題相關圖片如下:


按此查看圖片詳細資料
此主題相關圖片如下:


按此查看圖片詳細資料
|
頂部 |
| swing57 |
發表於: 2008/08/02 04:06pm
|
串鼻龍
此主題相關圖片如下:


按此查看圖片詳細資料
此主題相關圖片如下:


按此查看圖片詳細資料
此主題相關圖片如下:


按此查看圖片詳細資料
此主題相關圖片如下:


按此查看圖片詳細資料
此主題相關圖片如下:


按此查看圖片詳細資料
此主題相關圖片如下:


按此查看圖片詳細資料
|
頂部 |
| swing57 |
發表於: 2008/08/02 04:19pm
|
荷花
此主題相關圖片如下:


按此查看圖片詳細資料
此主題相關圖片如下:


按此查看圖片詳細資料
此主題相關圖片如下:


按此查看圖片詳細資料
此主題相關圖片如下:


按此查看圖片詳細資料
此主題相關圖片如下:


按此查看圖片詳細資料
此主題相關圖片如下:


按此查看圖片詳細資料
|
頂部 |
| swing57 |
發表於: 2008/08/02 05:13pm
|
此主題相關圖片如下:


按此查看圖片詳細資料
此主題相關圖片如下:


按此查看圖片詳細資料
此主題相關圖片如下:


按此查看圖片詳細資料
此主題相關圖片如下:


按此查看圖片詳細資料
此主題相關圖片如下:


按此查看圖片詳細資料
此主題相關圖片如下:


按此查看圖片詳細資料
|
頂部 |
| swing57 |
發表於: 2008/08/02 05:23pm
|
此主題相關圖片如下:


按此查看圖片詳細資料
此主題相關圖片如下:


按此查看圖片詳細資料
此主題相關圖片如下:


按此查看圖片詳細資料
此主題相關圖片如下:


按此查看圖片詳細資料
此主題相關圖片如下:


按此查看圖片詳細資料
此主題相關圖片如下:


按此查看圖片詳細資料
|
頂部 |
| swing57 |
發表於: 2008/08/02 05:37pm
|
[這篇文章最後由swing57在 2008/08/02 07:00pm 第 1 次編輯]
此主題相關圖片如下:


按此查看圖片詳細資料
此主題相關圖片如下:


按此查看圖片詳細資料
此主題相關圖片如下:


按此查看圖片詳細資料
此主題相關圖片如下:


按此查看圖片詳細資料
此主題相關圖片如下:


按此查看圖片詳細資料
此主題相關圖片如下:


按此查看圖片詳細資料
|
頂部 |
| swing57 |
發表於: 2008/08/02 06:01pm
|
昆蟲生態.
此主題相關圖片如下:


按此查看圖片詳細資料
此主題相關圖片如下:


按此查看圖片詳細資料
此主題相關圖片如下:


按此查看圖片詳細資料
此主題相關圖片如下:


按此查看圖片詳細資料
此主題相關圖片如下:


按此查看圖片詳細資料
此主題相關圖片如下:


按此查看圖片詳細資料
|
頂部 |
| swing57 |
發表於: 2008/08/02 06:17pm
|
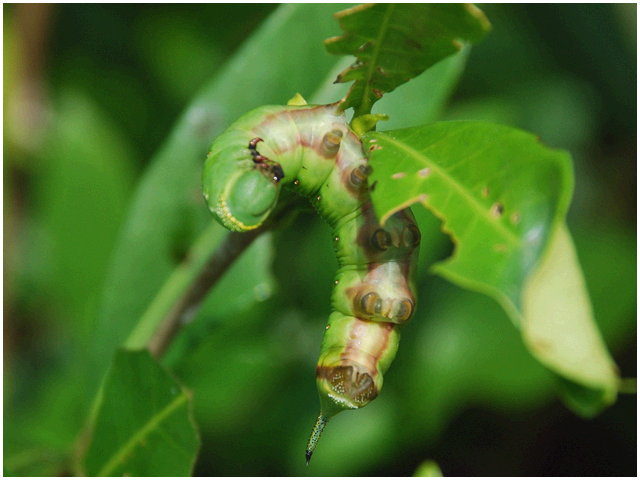
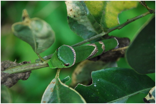
無尾白紋鳳蝶
此主題相關圖片如下:


按此查看圖片詳細資料
大鳳蝶無尾型(雌)
此主題相關圖片如下:


按此查看圖片詳細資料
此主題相關圖片如下:


按此查看圖片詳細資料
此主題相關圖片如下:


按此查看圖片詳細資料
此主題相關圖片如下:


按此查看圖片詳細資料
此主題相關圖片如下:


按此查看圖片詳細資料
|
頂部 |
| swing57 |
發表於: 2008/08/02 06:39pm
|
黃三線蝶
此主題相關圖片如下:


按此查看圖片詳細資料
此主題相關圖片如下:


按此查看圖片詳細資料
此主題相關圖片如下:


按此查看圖片詳細資料
此主題相關圖片如下:


按此查看圖片詳細資料
黃蛺蝶
此主題相關圖片如下:


按此查看圖片詳細資料
此主題相關圖片如下:


按此查看圖片詳細資料
|
頂部 |
| swing57 |
發表於: 2008/08/02 06:54pm
|
恆春小灰蝶 Deudorix epijarbas menesicles Fruhstorfer, 1911
此主題相關圖片如下:


按此查看圖片詳細資料
此主題相關圖片如下:


按此查看圖片詳細資料
長喙天蛾
此主題相關圖片如下:


按此查看圖片詳細資料
此主題相關圖片如下:


按此查看圖片詳細資料
青帶鳳蝶
此主題相關圖片如下:


按此查看圖片詳細資料
黃三線蝶
此主題相關圖片如下:


按此查看圖片詳細資料
|
頂部 |
| swing57 |
發表於: 2008/08/02 07:10pm
|
[這篇文章最後由swing57在 2008/08/03 04:03am 第 5 次編輯]
大綠弄蝶,第一次記錄到.
此主題相關圖片如下:


按此查看圖片詳細資料
一窩野蜂
此主題相關圖片如下:


按此查看圖片詳細資料
椿象若蟲
此主題相關圖片如下:


按此查看圖片詳細資料
白斑素獵椿 Epidaus famulus.
此主題相關圖片如下:


按此查看圖片詳細資料
鳥糞蛛
此主題相關圖片如下:


按此查看圖片詳細資料
這就是竹36線的景象,路面幾乎快被雜草占滿了.
此主題相關圖片如下:


按此查看圖片詳細資料
|
頂部 |
| swing57 |
發表於: 2008/08/13 05:59pm
|
馬利筋種了快兩年,入秋終於看到一群樺斑蝶來報到,過一陣子應該就有幼蟲孵化了.
此主題相關圖片如下:


按此查看圖片詳細資料
此主題相關圖片如下:


按此查看圖片詳細資料
此主題相關圖片如下:


按此查看圖片詳細資料
此主題相關圖片如下:


按此查看圖片詳細資料
此主題相關圖片如下:


按此查看圖片詳細資料
此主題相關圖片如下:


按此查看圖片詳細資料
|
頂部 |
| swing57 |
發表於: 2008/08/13 06:01pm
|
此主題相關圖片如下:


按此查看圖片詳細資料
此主題相關圖片如下:


按此查看圖片詳細資料
此主題相關圖片如下:


按此查看圖片詳細資料
此主題相關圖片如下:


按此查看圖片詳細資料
此主題相關圖片如下:


按此查看圖片詳細資料
此主題相關圖片如下:


按此查看圖片詳細資料
|
頂部 |
| swing57 |
發表於: 2008/08/14 07:42am
|
發現轉黑的蛋及1齡幼蟲.
此主題相關圖片如下:


按此查看圖片詳細資料
此主題相關圖片如下:


按此查看圖片詳細資料
此主題相關圖片如下:


按此查看圖片詳細資料
此主題相關圖片如下:


按此查看圖片詳細資料
|
頂部 |
| swing57 |
發表於: 2008/08/17 12:55pm
|
[這篇文章最後由swing57在 2008/08/18 11:30am 第 1 次編輯]
3、2齡幼蟲及陸續產下的蛋.
此主題相關圖片如下:


按此查看圖片詳細資料
此主題相關圖片如下:


按此查看圖片詳細資料
此主題相關圖片如下:


按此查看圖片詳細資料
此主題相關圖片如下:


按此查看圖片詳細資料
|
頂部 |
| 紅面鴨公 |
發表於: 2008/08/21 10:28pm
|
| 拍的都好清晰.好漂亮喔 |
頂部 |
| swing57 |
發表於: 2008/08/21 11:13pm
|
下面引用由紅面鴨公在 2008/08/21 10:28pm 發表的內容: 拍的都好清晰.好漂亮喔
|
|
新同學喔,歡迎加入塔內這個大家族,也謝謝你的賞圖,我喜歡拍自然的景物,因為它們沒有受到拘束所以拍起來會比較生動. |
頂部 |
| 塔內內 |
發表於: 2008/08/22 11:26am
|
下面引用由swing57在 2008/08/21 11:13pm 發表的內容: 新同學喔,歡迎民臏禮A的賞圖,我喜歡拍自然的景物,因為它們沒有受到拘束所以拍起來會比較生動.
|
|
swing57 葛格
偶貼張 (..........) 把 .蟲蟲 吃光光 ......... 哇 哈哈 .......
此主題相關圖片如下:


按此查看圖片詳細資料
此主題相關圖片如下:


按此查看圖片詳細資料
|
頂部 |
| swing57 |
發表於: 2008/08/22 02:24pm
|
下面引用由塔內內在 2008/08/22 11:26am 發表的內容: swing57 葛格 偶貼張 (..........) 把 .蟲蟲 吃光光 ......... 哇 哈哈 .......
|
|
喔!放四腳蛇來吃我的蟲蟲,待會我請蜘蛛來收拾它.哈哈~
一段時間沒出去拍照了今天來到兩個月前到過的地方,那時好多尺蛾的幼蟲經過都會掉到身上,別看它不起眼馬上就有驚奇出現,雖然己經進入秋天不過還是很熱十點來到這裡拍了兩小時就受不了啦.
此主題相關圖片如下:


按此查看圖片詳細資料
此主題相關圖片如下:


按此查看圖片詳細資料
此主題相關圖片如下:


按此查看圖片詳細資料
|
頂部 |
| swing57 |
發表於: 2008/08/22 02:42pm
|
秋天除了螃蟹變肥,雌蜘蛛也變肥囉,到處都是人面蜘蛛一小段路走下來看到大概有二十幾隻.
此主題相關圖片如下:


按此查看圖片詳細資料
此主題相關圖片如下:


按此查看圖片詳細資料
此主題相關圖片如下:


按此查看圖片詳細資料
此主題相關圖片如下:


按此查看圖片詳細資料
此主題相關圖片如下:


按此查看圖片詳細資料
此主題相關圖片如下:


按此查看圖片詳細資料
|
頂部 |
| swing57 |
發表於: 2008/08/22 03:02pm
|
[這篇文章最後由swing57在 2008/08/22 03:05pm 第 1 次編輯]
吃朴樹葉的豹紋蛺蝶寶寶及成蟲.
此主題相關圖片如下:


按此查看圖片詳細資料
此主題相關圖片如下:


按此查看圖片詳細資料
此主題相關圖片如下:


按此查看圖片詳細資料
此主題相關圖片如下:


按此查看圖片詳細資料
此主題相關圖片如下:


按此查看圖片詳細資料
此主題相關圖片如下:


按此查看圖片詳細資料
|
頂部 |
| swing57 |
發表於: 2008/08/22 03:17pm
|
咖啡透翅天蛾的第二度接觸,有兩分鐘之久但還是沒把握時機頻頻對不到焦,近距離特寫沒拍到可惜.
此主題相關圖片如下:


按此查看圖片詳細資料
此主題相關圖片如下:


按此查看圖片詳細資料
此主題相關圖片如下:


按此查看圖片詳細資料
此主題相關圖片如下:


按此查看圖片詳細資料
此主題相關圖片如下:


按此查看圖片詳細資料
此主題相關圖片如下:


按此查看圖片詳細資料
|
頂部 |
| swing57 |
發表於: 2008/08/22 03:42pm
|
此主題相關圖片如下:


按此查看圖片詳細資料
此主題相關圖片如下:


按此查看圖片詳細資料
此主題相關圖片如下:


按此查看圖片詳細資料
|
頂部 |
| swing57 |
發表於: 2008/08/23 01:41pm
|
埤塘是桃園的特色,走到那都可以看到大大小小的水塘,很多生命也是從這裡孕育而生.
此主題相關圖片如下:


按此查看圖片詳細資料
此主題相關圖片如下:


按此查看圖片詳細資料
此主題相關圖片如下:


按此查看圖片詳細資料
此主題相關圖片如下:


按此查看圖片詳細資料
此主題相關圖片如下:


按此查看圖片詳細資料
此主題相關圖片如下:


按此查看圖片詳細資料
|
頂部 |
| swing57 |
發表於: 2008/08/23 01:44pm
|
此主題相關圖片如下:


按此查看圖片詳細資料
此主題相關圖片如下:


按此查看圖片詳細資料
此主題相關圖片如下:


按此查看圖片詳細資料
此主題相關圖片如下:


按此查看圖片詳細資料
此主題相關圖片如下:


按此查看圖片詳細資料
此主題相關圖片如下:


按此查看圖片詳細資料
|
頂部 |
| swing57 |
發表於: 2008/08/23 01:46pm
|
此主題相關圖片如下:


按此查看圖片詳細資料
此主題相關圖片如下:


按此查看圖片詳細資料
此主題相關圖片如下:


按此查看圖片詳細資料
此主題相關圖片如下:


按此查看圖片詳細資料
此主題相關圖片如下:


按此查看圖片詳細資料
此主題相關圖片如下:


按此查看圖片詳細資料
|
頂部 |
| swing57 |
發表於: 2008/08/23 02:30pm
|
蜻蜓是水塘的代表性昆蟲,有十來種其中就有三四種之前未記錄過的,當然有的警覺性高不易靠近,也有完全拍不到的.
此主題相關圖片如下:


按此查看圖片詳細資料
此主題相關圖片如下:


按此查看圖片詳細資料
此主題相關圖片如下:


按此查看圖片詳細資料
此主題相關圖片如下:


按此查看圖片詳細資料
此主題相關圖片如下:


按此查看圖片詳細資料
此主題相關圖片如下:


按此查看圖片詳細資料
|
頂部 |
| swing57 |
發表於: 2008/08/23 02:41pm
|
[這篇文章最後由swing57在 2009/09/20 11:32am 第 1 次編輯]
粗鉤春蜓 Ictinogomphus rapax (Rambur, 1842 )
此主題相關圖片如下:


按此查看圖片詳細資料
此主題相關圖片如下:


按此查看圖片詳細資料
此主題相關圖片如下:


按此查看圖片詳細資料
此主題相關圖片如下:


按此查看圖片詳細資料
此主題相關圖片如下:


按此查看圖片詳細資料
此主題相關圖片如下:


按此查看圖片詳細資料
|
頂部 |
| swing57 |
發表於: 2008/08/23 02:56pm
|
此主題相關圖片如下:


按此查看圖片詳細資料
此主題相關圖片如下:


按此查看圖片詳細資料
此主題相關圖片如下:


按此查看圖片詳細資料
此主題相關圖片如下:


按此查看圖片詳細資料
此主題相關圖片如下:


按此查看圖片詳細資料
此主題相關圖片如下:


按此查看圖片詳細資料
|
頂部 |
| swing57 |
發表於: 2008/08/23 03:08pm
|
此主題相關圖片如下:


按此查看圖片詳細資料
此主題相關圖片如下:


按此查看圖片詳細資料
此主題相關圖片如下:


按此查看圖片詳細資料
此主題相關圖片如下:


按此查看圖片詳細資料
此主題相關圖片如下:


按此查看圖片詳細資料
此主題相關圖片如下:


按此查看圖片詳細資料
|
頂部 |
| swing57 |
發表於: 2008/08/23 03:21pm
|
[這篇文章最後由swing57在 2008/08/23 04:10pm 第 1 次編輯]
第一次記錄到. 橙斑蜻蜓 Brachydiplax chalybea flavovittata Ris, 1911
此主題相關圖片如下:


按此查看圖片詳細資料
此主題相關圖片如下:


按此查看圖片詳細資料
此主題相關圖片如下:


按此查看圖片詳細資料
此主題相關圖片如下:


按此查看圖片詳細資料
此主題相關圖片如下:


按此查看圖片詳細資料
此主題相關圖片如下:


按此查看圖片詳細資料
|
頂部 |
| swing57 |
發表於: 2008/08/23 04:08pm
|
第一次記錄到. 三角蜻蜓 Rhyothemis triangularis Kirby, 1889
此主題相關圖片如下:


按此查看圖片詳細資料
此主題相關圖片如下:


按此查看圖片詳細資料
此主題相關圖片如下:


按此查看圖片詳細資料
此主題相關圖片如下:


按此查看圖片詳細資料
此主題相關圖片如下:


按此查看圖片詳細資料
此主題相關圖片如下:


按此查看圖片詳細資料
|
頂部 |
| swing57 |
發表於: 2008/08/23 08:24pm
|
也是第一次記錄到但不易接近. 彩裳蜻蜓 Rhyothemis variegata arria(Drury, 1773)
此主題相關圖片如下:


按此查看圖片詳細資料
此主題相關圖片如下:


按此查看圖片詳細資料
此主題相關圖片如下:


按此查看圖片詳細資料
此主題相關圖片如下:


按此查看圖片詳細資料
此主題相關圖片如下:


按此查看圖片詳細資料
此主題相關圖片如下:


按此查看圖片詳細資料
|
頂部 |
| swing57 |
發表於: 2008/08/26 04:24pm
|
此主題相關圖片如下:


按此查看圖片詳細資料
此主題相關圖片如下:


按此查看圖片詳細資料
此主題相關圖片如下:


按此查看圖片詳細資料
此主題相關圖片如下:


按此查看圖片詳細資料
此主題相關圖片如下:


按此查看圖片詳細資料
此主題相關圖片如下:


按此查看圖片詳細資料
|
頂部 |
| ㄚ明 |
發表於: 2008/08/26 05:27pm
|
太驚人了!以前自己在台南四草看到的彩裳蜻蜓都是獨來獨往的, 沒有看過有一大群的彩裳蜻蜓, 這張照片真是太讓我驚喜,捕捉的好! 很欣賞彩裳蜻蜓那豹紋的光澤,照片都有照出感覺來,真棒! |
頂部 |
| 塔內內 |
發表於: 2008/08/26 07:50pm
|
此主題相關圖片如下:


按此查看圖片詳細資料
第一次拍到.
此主題相關圖片如下:


按此查看圖片詳細資料
|
頂部 |
| swing57 |
發表於: 2008/08/26 09:50pm
|
下面引用由ㄚ明在 2008/08/26 05:27pm 發表的內容: 太驚人了!以前自己在台南四草看到的彩裳蜻蜓都是獨來獨往的, 沒有看過有一大群的彩裳蜻蜓, 這張照片真是太讓我驚喜,捕捉的好! 很欣賞彩裳蜻蜓那豹紋的光澤,照片都有照出感覺來,真棒!
|
|
這個水塘是二度造訪,其實我回老家常經過卻不曾駐足仔細觀察,最近附近山上的點幾乎跑過了想換個方式記錄才來到這水邊,發現蜻蜓種類繁多不過都停在水草上有潛在危險不敢太靠近會陷入泥沼,彩裳蜻蜓這回來看族群數量不少大概有200隻左右,是賞蜻蜓的不錯景點.
下面引用由塔內內在 2008/08/26 07:50pm 發表的內容: 第一次拍到.
|
|
塔內內1個暑假下來功力增進不少,保育類都給你發現了,還有這時候的人面蜘蛛都是肥嘟嘟的.
|
頂部 |
| 果林 |
發表於: 2008/08/28 01:31pm
|
美麗的小精靈,通常不會乖乖地等你來取景,牠們都在快要對好焦前消失不見...生態攝影共通的苦啊
辛苦了swing57,也為你那裡豐富的物種而驕傲 |
頂部 |
| 塔內內 |
發表於: 2008/08/28 05:53pm
|
下面引用由swing57在 2008/08/26 09:50pm 發表的內容: 塔內內1個暑假下來功力增進不少,保育類都給你發現了,還有這時候的人面蜘蛛都是肥嘟嘟的.
|
|
蜻蜓. .
此主題相關圖片如下:


按此查看圖片詳細資料
|
頂部 |
| swing57 |
發表於: 2008/08/29 05:44pm
|
下面引用由果林在 2008/08/28 01:31pm 發表的內容: 美麗的小精靈,通常不會乖乖地等你來取景,牠們都在快要對好焦前消失不見...生態攝影共通的苦啊 辛苦了swing57,也為你那裡豐富的物種而驕傲
|
|
以前沒有接觸生態的東西都看不到它們的蹤影,自從喜歡上拍照原來很多美麗的事物都在自己身邊發生著,只要稍加留意會有不斷的驚奇出現,我住的地方離郊區蠻近的所以不用跑太遠便可輕易的觀察它們. |
頂部 |
| 塔內內 |
發表於: 2008/08/30 11:11am
|
下面引用由swing57在 2008/08/29 05:44pm 發表的內容: 以前沒有接觸生態的東西都看不到它們的蹤影,自從喜歡上拍照原來很多美麗的事物都在自己身邊發生著,只要稍奶蚖楞K可輕易的觀察它們.
|
|
...拍生態...要有裝備... ...微距鏡...長鏡頭....... ..偶都沒有...
此主題相關圖片如下:


按此查看圖片詳細資料
我拍...大獅子....吼.............. |
頂部 |
| swing57 |
發表於: 2008/08/30 11:56am
|
下面引用由塔內內在 2008/08/30 11:11am 發表的內容: ...拍生態...要有裝備... ...微距鏡...長鏡頭....... ..偶都沒有... 我拍...大獅子....吼..............
|
|
拍生態沒有規定一定要微距鏡、長鏡頭只要自己拍得高興就好,洋春、傻瓜相機一樣可以拍出精彩動人的照片來,重點要如何拿捏按下快門的時機. |
頂部 |
| swing57 |
發表於: 2008/09/07 07:33pm
|
[這篇文章最後由swing57在 2008/09/07 07:34pm 第 1 次編輯]
入秋了一段時間沒去郊區走走,再不去蟲蟲都快躲起來了,今天來到高度大約300M的地方觀察,由於道路兩旁的雜草保留完整生態算還可以.
此主題相關圖片如下:


按此查看圖片詳細資料
|
頂部 |
| swing57 |
發表於: 2008/09/07 07:39pm
|
此主題相關圖片如下:


按此查看圖片詳細資料
此主題相關圖片如下:


按此查看圖片詳細資料
|
頂部 |
| swing57 |
發表於: 2008/09/07 07:49pm
|
此主題相關圖片如下:


按此查看圖片詳細資料
此主題相關圖片如下:


按此查看圖片詳細資料
此主題相關圖片如下:


按此查看圖片詳細資料
此主題相關圖片如下:


按此查看圖片詳細資料
此主題相關圖片如下:


按此查看圖片詳細資料
此主題相關圖片如下:


按此查看圖片詳細資料
|
頂部 |
| swing57 |
發表於: 2008/09/07 08:03pm
|
[這篇文章最後由swing57在 2008/09/07 08:06pm 第 1 次編輯]
此主題相關圖片如下:


按此查看圖片詳細資料
此主題相關圖片如下:


按此查看圖片詳細資料
此主題相關圖片如下:


按此查看圖片詳細資料
此主題相關圖片如下:


按此查看圖片詳細資料
此主題相關圖片如下:


按此查看圖片詳細資料
此主題相關圖片如下:


按此查看圖片詳細資料
|
頂部 |
| swing57 |
發表於: 2008/09/07 08:17pm
|
此主題相關圖片如下:


按此查看圖片詳細資料
此主題相關圖片如下:


按此查看圖片詳細資料
此主題相關圖片如下:


按此查看圖片詳細資料
此主題相關圖片如下:


按此查看圖片詳細資料
此主題相關圖片如下:


按此查看圖片詳細資料
此主題相關圖片如下:


按此查看圖片詳細資料
|
頂部 |
| 塔內內 |
發表於: 2008/09/07 08:20pm
|
下面引用由swing57在 2008/09/07 08:17pm 發表的內容:
|
|
]
此主題相關圖片如下:


按此查看圖片詳細資料
[
限制級的.............. |
頂部 |
| swing57 |
發表於: 2008/09/07 08:27pm
|
[這篇文章最後由swing57在 2008/09/07 08:30pm 第 1 次編輯]
塔內內 既然是限制級的你還偷看. 200mm鏡頭好用嗎?那麼快就買下去.
此主題相關圖片如下:


按此查看圖片詳細資料
此主題相關圖片如下:


按此查看圖片詳細資料
此主題相關圖片如下:


按此查看圖片詳細資料
此主題相關圖片如下:


按此查看圖片詳細資料
此主題相關圖片如下:


按此查看圖片詳細資料
此主題相關圖片如下:


按此查看圖片詳細資料
|
頂部 |
| 塔內內 |
發表於: 2008/09/07 08:52pm
|
[這篇文章最後由塔內內在 2008/09/07 08:53pm 第 1 次編輯]
下面引用由swing57在 2008/09/07 08:27pm 發表的內容: 塔內內 既然是限制級的你還偷看. 200mm鏡頭好用嗎?那麼快就買下去.
|
|
swing57 葛格.....啊 ...偶素..閉著眼睛 ...偷偷看到一點點......
200mm鏡頭.已經買下ˋˋ氣ˊˊ了...
放大倍數 比較大..雖然有VR...光線不足時..快門比較慢時...
拍起來..嗚......模糊呀 !
此主題相關圖片如下:


按此查看圖片詳細資料
此主題相關圖片如下:


按此查看圖片詳細資料
此主題相關圖片如下:


按此查看圖片詳細資料
|
頂部 |
| ㄚ明 |
發表於: 2008/09/11 04:51pm
|
下面引用由塔內內在 2008/08/30 11:11am 發表的內容: ...拍生態...要有裝備... ...微距鏡...長鏡頭....... ..偶都沒有...
|
|
一般口袋相機也可以拍拍生態照, 除了擅用原本相機的變焦功能外, 了解昆蟲的習性也可以幫助自己更能掌握相機的可能, 千萬別小看自己的口袋相機喔!
CANON powershotA620;2006石門,柑橘鳳蝶
此主題相關圖片如下:


按此查看圖片詳細資料
CANON powershotA620;2006礁溪聖母步道,石牆蝶
此主題相關圖片如下:


按此查看圖片詳細資料
CANON powershotA620;2006南澳,青斑蝶
此主題相關圖片如下:


按此查看圖片詳細資料
|
頂部 |
| swing57 |
發表於: 2008/09/14 07:09pm
|
颱風天搶救回來的天蛾幼蟲.(食草:薯蕷)
此主題相關圖片如下:


按此查看圖片詳細資料
此主題相關圖片如下:


按此查看圖片詳細資料
此主題相關圖片如下:


按此查看圖片詳細資料
此主題相關圖片如下:


按此查看圖片詳細資料
|
頂部 |
| swing57 |
發表於: 2008/09/14 07:11pm
|
此主題相關圖片如下:


按此查看圖片詳細資料
此主題相關圖片如下:


按此查看圖片詳細資料
此主題相關圖片如下:


按此查看圖片詳細資料
此主題相關圖片如下:


按此查看圖片詳細資料
|
頂部 |
| ㄚ明 |
發表於: 2008/09/14 08:18pm
|
下面引用由swing57在 2008/09/14 07:09pm 發表的內容: 颱風天搶救回來的天蛾幼蟲.(食草:薯蕷)
|
|
哇!好壯的蟲! 不常看人分享飼養天蛾幼蟲,很欣賞swing57的眼光! 高中的時候養過一次綠綠的天蛾幼蟲,終齡的時候體型很嚇人, 當初會養他也是因為體色太美了,而且是我姐決定要養的, 期待下來成長的紀錄。 |
頂部 |
| swing57 |
發表於: 2008/09/14 10:37pm
|
下面引用由ㄚ明在 2008/09/14 08:18pm 發表的內容: 哇!好壯的蟲! 不常看人分享飼養天蛾幼蟲,很欣賞swing57的眼光! 高中的時候養過一次綠綠的天蛾幼蟲,終齡的時候體型很嚇人, 當初會養他也是因為體色太美了,而且是我姐決定要養的, ...
|
|
因為喜歡拍照進而認識這些昆蟲及食草,塔內有許多高人可以幫忙鑑定也可以自行搜尋網路那麼方便,大方向知道了就簡單啦,至於成長記錄一般我都習慣發在蝶蛾版,因為到塔內一開始就在那裡發文了. 這幾隻都己經終齡了並不算完整記錄. 薯蕷上的天蛾寶寶(黃腹斜紋天蛾觀察記錄) |
頂部 |
| swing57 |
發表於: 2008/09/26 05:09pm
|
紅刺蔥上的黑鳳蝶幼蟲.
此主題相關圖片如下:


按此查看圖片詳細資料
此主題相關圖片如下:


按此查看圖片詳細資料
|
頂部 |
| swing57 |
發表於: 2008/09/28 03:50pm
|
「薔蜜」颱風天大喀我家粗肋草(天南星科)的斜綠天蛾3~4齡幼蟲有兩隻,天氣好的時候得叫它改吃姑婆芋不然粗肋草會面目全非.
此主題相關圖片如下:


按此查看圖片詳細資料
|
頂部 |
| swing57 |
發表於: 2008/10/08 01:47pm
|
[這篇文章最後由swing57在 2008/10/08 01:51pm 第 1 次編輯]
斜綠天蛾褐色型及綠色型前蛹
此主題相關圖片如下:


按此查看圖片詳細資料
此主題相關圖片如下:


按此查看圖片詳細資料
此主題相關圖片如下:


按此查看圖片詳細資料
此主題相關圖片如下:


按此查看圖片詳細資料
此主題相關圖片如下:


按此查看圖片詳細資料
此主題相關圖片如下:


按此查看圖片詳細資料
|
頂部 |
| swing57 |
發表於: 2008/10/08 02:08pm
|
[這篇文章最後由swing57在 2008/10/08 07:51pm 第 1 次編輯]
黃腹斜紋天蛾的蛹及順利羽化的成蟲.
此主題相關圖片如下:


按此查看圖片詳細資料
此主題相關圖片如下:


按此查看圖片詳細資料
此主題相關圖片如下:


按此查看圖片詳細資料
此主題相關圖片如下:


按此查看圖片詳細資料
|
頂部 |
| swing57 |
發表於: 2008/10/10 11:40pm
|
在柃木植物(茶科)上發現的. Parasa shirakii Kawada,1930 素木綠刺蛾
此主題相關圖片如下:


按此查看圖片詳細資料
此主題相關圖片如下:


按此查看圖片詳細資料
此主題相關圖片如下:


按此查看圖片詳細資料
此主題相關圖片如下:


按此查看圖片詳細資料
此主題相關圖片如下:


按此查看圖片詳細資料
此主題相關圖片如下:


按此查看圖片詳細資料
|
頂部 |
| swing57 |
發表於: 2008/10/12 09:32pm
|
[這篇文章最後由swing57在 2008/10/14 08:39am 第 1 次編輯]
剛出生不久的中國樹蟾2cm不到.
此主題相關圖片如下:


按此查看圖片詳細資料
台灣大蝗
此主題相關圖片如下:


按此查看圖片詳細資料
青葙上的一些蜂.
此主題相關圖片如下:


按此查看圖片詳細資料
此主題相關圖片如下:


按此查看圖片詳細資料
此主題相關圖片如下:


按此查看圖片詳細資料
此主題相關圖片如下:


按此查看圖片詳細資料
|
頂部 |
| swing57 |
發表於: 2008/10/12 10:06pm
|
[這篇文章最後由swing57在 2008/10/14 08:37am 第 1 次編輯]
[密源植物為羅氏鹽膚木]
此主題相關圖片如下:


按此查看圖片詳細資料
此主題相關圖片如下:


按此查看圖片詳細資料
此主題相關圖片如下:


按此查看圖片詳細資料
此主題相關圖片如下:


按此查看圖片詳細資料
此主題相關圖片如下:


按此查看圖片詳細資料
|
頂部 |
| 晨曦青嵐 |
發表於: 2008/10/13 11:50pm
|
| swing57 大大這邊的蝴蝶也很多喔 , 但是令人毛骨聳然的毛毛蟲我會自動跳過 |
頂部 |
| 神與狗 |
發表於: 2008/10/14 07:49pm
|
| 植物與昆蟲真是完美的組合!!! |
頂部 |
| 塔內內 |
發表於: 2008/10/19 11:52pm
|
[這篇文章最後由塔內內在 2008/10/19 11:53pm 第 1 次編輯]
下面引用由神與狗在 2008/10/14 07:49pm 發表的內容: 植物與昆蟲真是完美的組合!!!
|
|

 |
頂部 |
| swing57 |
發表於: 2008/10/21 08:52pm
|
下面引用由晨曦青嵐在 2008/10/13 11:50pm 發表的內容: swing57 大大這邊的蝴蝶也很多喔 , 但是令人毛骨聳然的毛毛蟲我會自動跳過
|
|
有些毛毛蟲也是很可愛的.
下面引用由神與狗在 2008/10/14 07:49pm 發表的內容: 植物與昆蟲真是完美的組合!!!
|
|
謝謝賞圖.
下面引用由塔內內在 2008/10/19 11:52pm 發表的內容: (img183.imageshack.us/img183/3702/csc7144za8.jpg) (img183.imageshack.us/img183/6412/csc7145zm3.jpg)
|
|
塔內內潛龍那麼久,是學校的功課很緊嗎?
時序已進秋天了,想看到蟲蟲的機會會越來越少了. ◎孔雀青蛺蝶及享用蜻蜓大餐的人面蜘蛛◎
此主題相關圖片如下:


按此查看圖片詳細資料
此主題相關圖片如下:


按此查看圖片詳細資料
此主題相關圖片如下:


按此查看圖片詳細資料
此主題相關圖片如下:


按此查看圖片詳細資料
此主題相關圖片如下:


按此查看圖片詳細資料
此主題相關圖片如下:


按此查看圖片詳細資料
|
頂部 |
| swing57 |
發表於: 2008/10/21 09:23pm
|
◎長斑擬燈夜蛾、黑擬蛺蝶、xx螳螂若蟲、xx天牛◎
此主題相關圖片如下:


按此查看圖片詳細資料
此主題相關圖片如下:


按此查看圖片詳細資料
此主題相關圖片如下:


按此查看圖片詳細資料
此主題相關圖片如下:


按此查看圖片詳細資料
此主題相關圖片如下:


按此查看圖片詳細資料
此主題相關圖片如下:


按此查看圖片詳細資料
|
頂部 |
| swing57 |
發表於: 2008/10/22 08:14pm
|
◎長喙天蛾、小雨蛙◎
此主題相關圖片如下:


按此查看圖片詳細資料
此主題相關圖片如下:


按此查看圖片詳細資料
此主題相關圖片如下:


按此查看圖片詳細資料
此主題相關圖片如下:


按此查看圖片詳細資料
|
頂部 |
| swing57 |
發表於: 2008/10/27 07:15am
|
◎咖啡透翅天蛾終齡幼蟲(黃梔花)&樺斑蛾終齡幼蟲(馬利筋)◎
此主題相關圖片如下:


按此查看圖片詳細資料
此主題相關圖片如下:


按此查看圖片詳細資料
此主題相關圖片如下:


按此查看圖片詳細資料
此主題相關圖片如下:


按此查看圖片詳細資料
此主題相關圖片如下:


按此查看圖片詳細資料
此主題相關圖片如下:


按此查看圖片詳細資料
|
頂部 |
| swing57 |
發表於: 2008/10/29 07:45am
|
[這篇文章最後由swing57在 2008/10/29 07:48am 第 1 次編輯]
◎咖啡透翅天蛾終齡幼蟲進入前蛹階段◎
此主題相關圖片如下:


按此查看圖片詳細資料
此主題相關圖片如下:


按此查看圖片詳細資料
此主題相關圖片如下:


按此查看圖片詳細資料
此主題相關圖片如下:


按此查看圖片詳細資料
|
頂部 |
| swing57 |
發表於: 2008/10/30 07:16am
|
◎咖啡透翅天蛾剛化蛹完成不久◎
此主題相關圖片如下:


按此查看圖片詳細資料
此主題相關圖片如下:


按此查看圖片詳細資料
此主題相關圖片如下:


按此查看圖片詳細資料
|
頂部 |
| swing57 |
發表於: 2008/11/01 02:41pm
|
◎咖啡透翅天蛾化蛹完成蛹色變黑變硬◎
此主題相關圖片如下:


按此查看圖片詳細資料
此主題相關圖片如下:


按此查看圖片詳細資料
此主題相關圖片如下:


按此查看圖片詳細資料
此主題相關圖片如下:


按此查看圖片詳細資料
|
頂部 |
| swing57 |
發表於: 2008/11/05 08:45pm
|
長得肥嘟嘟(9cm)模樣不太討喜的白薯天蛾(甘薯天蛾; 蝦殼天蛾)終齡幼蟲,光顧我家的蕃薯葉. 槭葉牽牛也是它的食草之一.
此主題相關圖片如下:


按此查看圖片詳細資料
此主題相關圖片如下:


按此查看圖片詳細資料
此主題相關圖片如下:


按此查看圖片詳細資料
|
頂部 |
| swing57 |
發表於: 2008/11/05 09:29pm
|
[這篇文章最後由swing57在 2008/11/05 10:28pm 第 1 次編輯]
吃完橘子隨意丟棄的種子長出來的小樹(都帶刺)引來無尾鳳蝶的青睞,四齡及終齡幼蟲.
此主題相關圖片如下:


按此查看圖片詳細資料
此主題相關圖片如下:


按此查看圖片詳細資料
此主題相關圖片如下:


按此查看圖片詳細資料
此主題相關圖片如下:


按此查看圖片詳細資料
此主題相關圖片如下:


按此查看圖片詳細資料
在斑葉橘子樹上發現的黑鳳蝶終齡幼蟲.
此主題相關圖片如下:


按此查看圖片詳細資料
|
頂部 |
| swing57 |
發表於: 2008/11/05 10:26pm
|
[這篇文章最後由swing57在 2008/11/05 10:34pm 第 1 次編輯]
螞蟻常見,蟻后就不常見了吧,頭一遭看到,同型的螞蟻大概只有2~3mm,而它卻有2cm(不含翅膀部份).
此主題相關圖片如下:


按此查看圖片詳細資料
此主題相關圖片如下:


按此查看圖片詳細資料
此主題相關圖片如下:


按此查看圖片詳細資料
此主題相關圖片如下:


按此查看圖片詳細資料
此主題相關圖片如下:


按此查看圖片詳細資料
|
頂部 |
| swing57 |
發表於: 2008/11/10 07:40am
|
白薯天蛾幼蟲剛化蛹完成的模樣.
此主題相關圖片如下:


按此查看圖片詳細資料
|
頂部 |
| swing57 |
發表於: 2008/11/15 01:49pm
|
依外觀來看蠻像大黑星龜金花蟲的幼蟲.
此主題相關圖片如下:


按此查看圖片詳細資料
此主題相關圖片如下:


按此查看圖片詳細資料
此主題相關圖片如下:


按此查看圖片詳細資料
|
頂部 |
| 塔內內 |
發表於: 2008/11/22 11:29pm
|
swing57 葛格 :
好久沒有打招呼了.. 蟲蟲..都不讓偶拍. 現在 都跑去 照風景 ...
此主題相關圖片如下:


按此查看圖片詳細資料
此主題相關圖片如下:


按此查看圖片詳細資料
此主題相關圖片如下:


按此查看圖片詳細資料
|
頂部 |
| swing57 |
發表於: 2008/11/25 06:56pm
|
[這篇文章最後由swing57在 2008/11/26 09:37pm 第 1 次編輯]
蟲蟲不是不讓你拍而是天冷了都躲起來啦.
擬三色星燈蛾幼蟲(食草:太陽麻)及成蟲.
此主題相關圖片如下:


按此查看圖片詳細資料
此主題相關圖片如下:


按此查看圖片詳細資料
此主題相關圖片如下:


按此查看圖片詳細資料
野慈菇上的不知名蛾幼蟲.
此主題相關圖片如下:


按此查看圖片詳細資料
樺斑蝶的蛹(馬利筋)
此主題相關圖片如下:


按此查看圖片詳細資料
此主題相關圖片如下:


按此查看圖片詳細資料
|
頂部 |
| swing57 |
發表於: 2008/11/28 00:58am
|
蛾類是很龐大的族群光在台灣大概就有4、5千種,我認識的不多不過有幫妳找到答案,看看對不對,高手都跑去潛水了. 順便問一下在那拍的?
此主題相關圖片如下:


按此查看圖片詳細資料
此主題相關圖片如下:


按此查看圖片詳細資料
|
頂部 |
| 晨曦青嵐 |
發表於: 2008/11/28 07:53am
|
swing57 大大你好 謝謝你幫忙 ,大屯山拍的 小小一隻 |
頂部 |
| robwu |
發表於: 2008/12/17 01:57pm
|
謝謝你swing57大大,好豐富的記錄,大飽眼福,看看就好那些虫我還是不要離它們太近. 雖然太座三不5時在客廳養N盆蝶和蛾的幼虫,我還是種花賞碟就好. (太座常說蝶的幼虫肉刺不會刺人,但還是很恐怖) |
頂部 |
| swing57 |
發表於: 2008/12/26 08:22pm
|
下面引用由robwu在 2008/12/17 01:57pm 發表的內容: 謝謝你swing57大大,好豐富的記錄,大飽眼福,看看就好那些虫我還是不要離它們太近. 雖然太座三不5時在客廳養N盆蝶和蛾的幼虫,我還是種花賞碟就好. (太座常說蝶的幼虫肉刺不會刺人,但還是很恐怖)
|
|
其實我是門外漢本身不是學這方面的,一切源由是因玩相機的關係,邊拍邊學邊認識也因此而喜歡上這些人敬而遠之的小東西,一段時間沒上來貼了主要是現在是冬天要碰到蟲不太容易,有時碰到了卻身邊沒有相機陰錯陽差,貼幾張田裡的波斯菊好了,對了有看到你的休閒花園都市叢林裡的一塊綠地綠意盎然感覺真好.
此主題相關圖片如下:


按此查看圖片詳細資料
此主題相關圖片如下:


按此查看圖片詳細資料
此主題相關圖片如下:


按此查看圖片詳細資料
此主題相關圖片如下:


按此查看圖片詳細資料
此主題相關圖片如下:


按此查看圖片詳細資料
此主題相關圖片如下:


按此查看圖片詳細資料
|
頂部 |
| swing57 |
發表於: 2009/01/02 08:22pm
|
寒流來襲這兩種幼蟲卻不為所動,一副不怕冷的樣子.
此主題相關圖片如下:


按此查看圖片詳細資料
此主題相關圖片如下:


按此查看圖片詳細資料
此主題相關圖片如下:


按此查看圖片詳細資料
此主題相關圖片如下:


按此查看圖片詳細資料
此主題相關圖片如下:


按此查看圖片詳細資料
|
頂部 |
| swing57 |
發表於: 2009/01/03 07:50pm
|
[這篇文章最後由swing57在 2009/01/05 08:58am 第 1 次編輯]
氣温微升出去走走~ 第一次記錄到,族群數量不多只有零星分佈. 白紋大金花蟲/白紋大葉蚤(幼蟲、成蟲食草:羅氏鹽膚木)
此主題相關圖片如下:


按此查看圖片詳細資料
此主題相關圖片如下:


按此查看圖片詳細資料
此主題相關圖片如下:


按此查看圖片詳細資料
此主題相關圖片如下:


按此查看圖片詳細資料
|
頂部 |
| swing57 |
發表於: 2009/01/03 08:24pm
|
拍一些有冬天感覺的東西.
此主題相關圖片如下:


按此查看圖片詳細資料
此主題相關圖片如下:


按此查看圖片詳細資料
此主題相關圖片如下:


按此查看圖片詳細資料
此主題相關圖片如下:


按此查看圖片詳細資料
此主題相關圖片如下:


按此查看圖片詳細資料
此主題相關圖片如下:


按此查看圖片詳細資料
|
頂部 |
| swing57 |
發表於: 2009/01/11 08:22pm
|
當了一整個冬天的宅男,雖然還是寒流發威的日子,有陽光露臉倒不覺得冷,其實離家不遠有為數不少的步道且都未造訪過,今天心血一來一早便驅車前往一探就近.
路線圖有些斑駁沒人維護,步道的施工有點意見,不過只是一小段而已啦,其它地方還可接受.
此主題相關圖片如下:


按此查看圖片詳細資料
此主題相關圖片如下:


按此查看圖片詳細資料
此主題相關圖片如下:


按此查看圖片詳細資料
此主題相關圖片如下:


按此查看圖片詳細資料
此主題相關圖片如下:


按此查看圖片詳細資料
此主題相關圖片如下:


按此查看圖片詳細資料
|
頂部 |
| swing57 |
發表於: 2009/01/11 08:41pm
|
雞屎樹名字雖不好聽但整體來說我認為都不錯看不論是花、果、葉.
此主題相關圖片如下:


按此查看圖片詳細資料
此主題相關圖片如下:


按此查看圖片詳細資料
此主題相關圖片如下:


按此查看圖片詳細資料
此主題相關圖片如下:


按此查看圖片詳細資料
此主題相關圖片如下:


按此查看圖片詳細資料
此主題相關圖片如下:


按此查看圖片詳細資料
|
頂部 |
| swing57 |
發表於: 2009/01/11 08:53pm
|
米碎柃木目前花正綻放.
此主題相關圖片如下:


按此查看圖片詳細資料
此主題相關圖片如下:


按此查看圖片詳細資料
此主題相關圖片如下:


按此查看圖片詳細資料
此主題相關圖片如下:


按此查看圖片詳細資料
此主題相關圖片如下:


按此查看圖片詳細資料
此主題相關圖片如下:


按此查看圖片詳細資料
|
頂部 |
| swing57 |
發表於: 2009/01/11 09:15pm
|
[這篇文章最後由swing57在 2009/01/11 09:54pm 第 3 次編輯]
菝葜的花也很美,第一次近距離接觸.
此主題相關圖片如下:


按此查看圖片詳細資料
此主題相關圖片如下:


按此查看圖片詳細資料
此主題相關圖片如下:


按此查看圖片詳細資料
此主題相關圖片如下:


按此查看圖片詳細資料
此主題相關圖片如下:


按此查看圖片詳細資料
此主題相關圖片如下:


按此查看圖片詳細資料
|
頂部 |
| swing57 |
發表於: 2009/01/11 09:21pm
|
[這篇文章最後由swing57在 2009/01/25 11:56pm 第 1 次編輯]
樹蔭下的小花我不認識.
此主題相關圖片如下:


按此查看圖片詳細資料
此主題相關圖片如下:


按此查看圖片詳細資料
此主題相關圖片如下:


按此查看圖片詳細資料
終於知道它叫針刺草(爵床科). |
頂部 |
| robwu |
發表於: 2009/01/12 00:14am
|
| 雞屎樹花好可愛,拍那麼多蟲有沒有被扎過? |
頂部 |
| swing57 |
發表於: 2009/01/12 09:06am
|
下面引用由robwu在 2009/01/12 00:14am 發表的內容: 雞屎樹花好可愛,拍那麼多蟲有沒有被扎過?
|
|
雞屎樹有很多種我只約略知道它的名字,它的花是小的可愛可惜我沒有微拍鏡頭,不然可以把它拍的更清楚些,好想敗一支回來玩玩. 當然有被扎過,有的會不自覺的掉到你身上,舉凡刺蛾、枯葉蛾、毒蛾都領教過,不過它們都還不是最歹毒的,蜘蛛咬人才痛去年六月為了拍它手去碰觸它當場被咬了一口,整整痛了兩天那種痛像中毒一樣又刺痛,現在想起還些怕怕,真是一朝被"蜘蛛"咬,不敢再親近它了只能遠觀. 這趟的步道觀察走走停停邊走邊拍花了四、五個小時,山勢不高400多而已但四通八達只走一部份改天再造訪,還沒貼完,晚上有空再貼了.
|
頂部 |
| swing57 |
發表於: 2009/01/12 09:27pm
|
台灣山桂花的果實結實纍纍快占滿整棵樹.
此主題相關圖片如下:


按此查看圖片詳細資料
此主題相關圖片如下:


按此查看圖片詳細資料
此主題相關圖片如下:


按此查看圖片詳細資料
此主題相關圖片如下:


按此查看圖片詳細資料
此主題相關圖片如下:


按此查看圖片詳細資料
|
頂部 |
| swing57 |
發表於: 2009/01/12 09:41pm
|
長得有點像原住民種的小米的紅果薹一路上看到很多紅紅的很討喜.
此主題相關圖片如下:


按此查看圖片詳細資料
此主題相關圖片如下:


按此查看圖片詳細資料
此主題相關圖片如下:


按此查看圖片詳細資料
此主題相關圖片如下:


按此查看圖片詳細資料
此主題相關圖片如下:


按此查看圖片詳細資料
|
頂部 |
| swing57 |
發表於: 2009/01/13 08:05pm
|
不知是寒流的關係很多植物的果實都變得紅通通,例如:九節木、冷飯團. 九節木的果實是小時候玩竹子做的空氣槍不可或缺的材料充當子彈.
此主題相關圖片如下:


按此查看圖片詳細資料
此主題相關圖片如下:


按此查看圖片詳細資料
此主題相關圖片如下:


按此查看圖片詳細資料
此主題相關圖片如下:


按此查看圖片詳細資料
這種果實(冷飯團)是以前物資不是很豐富的時代,出去工作餓的時候拿來果腹的零食.
此主題相關圖片如下:


按此查看圖片詳細資料
|
頂部 |
| swing57 |
發表於: 2009/01/13 08:22pm
|
纏滿整個樹幹的薜荔(桑科)真是難分難捨.
此主題相關圖片如下:


按此查看圖片詳細資料
看到黃藤(棕櫚科)就讓我聯想到以前被老師用藤條修理的日子,長得那麼高可以做好多藤條喔.
此主題相關圖片如下:


按此查看圖片詳細資料
|
頂部 |
| 晨曦青嵐 |
發表於: 2009/01/13 08:32pm
|
[這篇文章最後由晨曦青嵐在 2009/01/13 08:37pm 第 1 次編輯]
我們小時候玩竹子做的空氣槍 子彈是用拔樂的花苞 我們那野生番石榴最多 黃藤的果實很漂亮 我很喜歡說 , 又吃起來超級酸的 |
頂部 |
| swing57 |
發表於: 2009/01/25 08:08pm
|
[這篇文章最後由swing57在 2009/01/25 08:13pm 第 1 次編輯]
杜虹花果實變紫了,一樹的紫色夢幻.
此主題相關圖片如下:


按此查看圖片詳細資料
此主題相關圖片如下:


按此查看圖片詳細資料
呂宋莢蒾 VS 大盾背椿象.
此主題相關圖片如下:


按此查看圖片詳細資料
此主題相關圖片如下:


按此查看圖片詳細資料
滿樹的桶柑(年柑)很有年的味道.
此主題相關圖片如下:


按此查看圖片詳細資料
此主題相關圖片如下:


按此查看圖片詳細資料
|
頂部 |
| swing57 |
發表於: 2009/01/25 09:14pm
|
枯枝配藍天有種蕭瑟的美感.
此主題相關圖片如下:


按此查看圖片詳細資料
此主題相關圖片如下:


按此查看圖片詳細資料
此主題相關圖片如下:


按此查看圖片詳細資料
此主題相關圖片如下:


按此查看圖片詳細資料
此主題相關圖片如下:


按此查看圖片詳細資料
此主題相關圖片如下:


按此查看圖片詳細資料
|
頂部 |
| swing57 |
發表於: 2009/01/25 09:26pm
|
此主題相關圖片如下:


按此查看圖片詳細資料
此主題相關圖片如下:


按此查看圖片詳細資料
此主題相關圖片如下:


按此查看圖片詳細資料
此主題相關圖片如下:


按此查看圖片詳細資料
此主題相關圖片如下:


按此查看圖片詳細資料
此主題相關圖片如下:


按此查看圖片詳細資料
|
頂部 |
| swing57 |
發表於: 2009/01/27 09:24pm
|
初二有忙著回娘家有人瘋團團圓圓,或許我更瘋吧去走惡地"火炎山",為了避開車潮早早就出發結果到了目的地天還沒亮,原本想爬住家鄰近步道但天公不作美每天都溼溼冷冷想往南走可能會好一點,這回只在乾涸河道上行走大致走了一趟因為都是鵝卵石高高低低並不好走比爬山還累,山上風光只好等那天有空再去拜訪了. 第一河道景色(太陽公公尚未露臉)
此主題相關圖片如下:


按此查看圖片詳細資料
此主題相關圖片如下:


按此查看圖片詳細資料
此主題相關圖片如下:


按此查看圖片詳細資料
此主題相關圖片如下:


按此查看圖片詳細資料
此主題相關圖片如下:


按此查看圖片詳細資料
此主題相關圖片如下:


按此查看圖片詳細資料
|
頂部 |
| swing57 |
發表於: 2009/01/27 09:29pm
|
此主題相關圖片如下:


按此查看圖片詳細資料
此主題相關圖片如下:


按此查看圖片詳細資料
此主題相關圖片如下:


按此查看圖片詳細資料
此主題相關圖片如下:


按此查看圖片詳細資料
第一條完來回快一小時,陽光才準備探頭出來.
此主題相關圖片如下:


按此查看圖片詳細資料
此主題相關圖片如下:


按此查看圖片詳細資料
|
頂部 |
| swing57 |
發表於: 2009/01/27 09:53pm
|
繼續往下走接第二條河道,這條可能氾濫的年代比較久一點已有先驅植物生長了,不會顯得光頹頹的.
此主題相關圖片如下:


按此查看圖片詳細資料
此主題相關圖片如下:


按此查看圖片詳細資料
此主題相關圖片如下:


按此查看圖片詳細資料
此主題相關圖片如下:


按此查看圖片詳細資料
此主題相關圖片如下:


按此查看圖片詳細資料
此主題相關圖片如下:


按此查看圖片詳細資料
|
頂部 |
| swing57 |
發表於: 2009/01/27 09:55pm
|
此主題相關圖片如下:


按此查看圖片詳細資料
此主題相關圖片如下:


按此查看圖片詳細資料
此主題相關圖片如下:


按此查看圖片詳細資料
此主題相關圖片如下:


按此查看圖片詳細資料
此主題相關圖片如下:


按此查看圖片詳細資料
此主題相關圖片如下:


按此查看圖片詳細資料
|
頂部 |
| swing57 |
發表於: 2009/01/27 09:58pm
|
此主題相關圖片如下:


按此查看圖片詳細資料
此主題相關圖片如下:


按此查看圖片詳細資料
此主題相關圖片如下:


按此查看圖片詳細資料
此主題相關圖片如下:


按此查看圖片詳細資料
此主題相關圖片如下:


按此查看圖片詳細資料
此主題相關圖片如下:


按此查看圖片詳細資料
|
頂部 |
| swing57 |
發表於: 2009/01/27 10:00pm
|
此主題相關圖片如下:


按此查看圖片詳細資料
此主題相關圖片如下:


按此查看圖片詳細資料
此主題相關圖片如下:


按此查看圖片詳細資料
此主題相關圖片如下:


按此查看圖片詳細資料
此主題相關圖片如下:


按此查看圖片詳細資料
此主題相關圖片如下:


按此查看圖片詳細資料
|
頂部 |
| swing57 |
發表於: 2009/01/27 10:15pm
|
此主題相關圖片如下:


按此查看圖片詳細資料
此主題相關圖片如下:


按此查看圖片詳細資料
此主題相關圖片如下:


按此查看圖片詳細資料
此主題相關圖片如下:


按此查看圖片詳細資料
緊接著走第三條河道,不過有點走馬看花了實在難走.
此主題相關圖片如下:


按此查看圖片詳細資料
此主題相關圖片如下:


按此查看圖片詳細資料
|
頂部 |
| swing57 |
發表於: 2009/01/27 10:17pm
|
此主題相關圖片如下:


按此查看圖片詳細資料
此主題相關圖片如下:


按此查看圖片詳細資料
此主題相關圖片如下:


按此查看圖片詳細資料
此主題相關圖片如下:


按此查看圖片詳細資料
此主題相關圖片如下:


按此查看圖片詳細資料
此主題相關圖片如下:


按此查看圖片詳細資料
|
頂部 |
| swing57 |
發表於: 2009/01/27 10:31pm
|
此主題相關圖片如下:


按此查看圖片詳細資料
此主題相關圖片如下:


按此查看圖片詳細資料
此主題相關圖片如下:


按此查看圖片詳細資料
此主題相關圖片如下:


按此查看圖片詳細資料
第四河道不知是已療傷完畢還是未遭受大量土石掩埋的關係,因為未親眼所見不敢妄下定論.
此主題相關圖片如下:


按此查看圖片詳細資料
此主題相關圖片如下:


按此查看圖片詳細資料
|
頂部 |
| swing57 |
發表於: 2009/01/28 12:58pm
|
驀然回首來時路.
此主題相關圖片如下:


按此查看圖片詳細資料
第五條沒走到底只在前面欣賞一下便離開.
此主題相關圖片如下:


按此查看圖片詳細資料
此主題相關圖片如下:


按此查看圖片詳細資料
此主題相關圖片如下:


按此查看圖片詳細資料
此主題相關圖片如下:


按此查看圖片詳細資料
此主題相關圖片如下:


按此查看圖片詳細資料
|
頂部 |
| swing57 |
發表於: 2009/01/28 01:23pm
|
看看這裡的植物吧,據說這一帶的物種有三百六十多種,不過崩塌地生長不易看到的有限但有一些意外的收穫.
三楓五槭這是楓香沒錯吧當然不是絕對的,零零星星的分佈,旁邊有一棵葉子掉光的苦苦楝樹.
此主題相關圖片如下:


按此查看圖片詳細資料
此主題相關圖片如下:


按此查看圖片詳細資料
楓香的朔果.
此主題相關圖片如下:


按此查看圖片詳細資料
此主題相關圖片如下:


按此查看圖片詳細資料
此主題相關圖片如下:


按此查看圖片詳細資料
此主題相關圖片如下:


按此查看圖片詳細資料
|
頂部 |
| 福勞爾 |
發表於: 2009/01/28 08:03pm
|
此主題相關圖片如下:


按此查看圖片詳細資料
文中提到的第一~第五河道是指如圖中山坡的土石流河道嗎? 每次坐車經過大橋時都忍不住拍下留念 也想去走走看 , 不過大小不一的石頭路看來真的不好走 ~ |
頂部 |
| swing57 |
發表於: 2009/01/29 00:03am
|
下面引用由福勞爾在 2009/01/28 08:03pm 發表的內容: 文中提到的第一~第五河道是指如圖中山坡的土石流河道嗎? 每次坐車經過大橋時都忍不住拍下留念 也想去走走看 , 不過大小不一的石頭路看來真的不好走 ~
|
|
兩年前看到一個節目曾經實地去拍攝過便一直想那天可以自己也去走看看,尤其是每次開車經過都會有一股衝動,那編號是我給它編的我想它原來也是小山溝吧,土石流是四處流竄我往苑里方向開去時還有為數不少類似這種地型但心有餘而力不足,單單走那幾條已經花了五、六個小時,由於崩塌的越來越嚴重或許沒有以前壯觀就像女王頭一樣那天會消失,看了他們的施工可能更會搖頭,清空了隧道上方的土石我想是減少隧道承受壓力,可是日後的土石流可能更可怕吧. |
頂部 |
| swing57 |
發表於: 2009/01/29 00:29am
|
[這篇文章最後由swing57在 2009/01/29 00:40am 第 1 次編輯]
飛龍掌血(芸香科)蔓性灌木,真的讓我濺血了它全身佈滿利刺,發現它很高興馬上檢查上面有沒有蝴蝶寶寶應該季節不對見不著它,飛龍掌血北部是不可能發現的這是我第一回看到它,其實它在這裡的分佈也很明顯,會長的地方一大叢離開沒幾步路一棵也沒有,對了它的味道跟橄欖(尖頭那種)很像.
此主題相關圖片如下:


按此查看圖片詳細資料
此主題相關圖片如下:


按此查看圖片詳細資料
此主題相關圖片如下:


按此查看圖片詳細資料
此主題相關圖片如下:


按此查看圖片詳細資料
此主題相關圖片如下:


按此查看圖片詳細資料
此主題相關圖片如下:


按此查看圖片詳細資料
|
頂部 |
| swing57 |
發表於: 2009/01/29 09:55am
|
[這篇文章最後由swing57在 2009/01/29 09:58am 第 1 次編輯]
以下幾種是比較常見的植物,不同時期不同地點有它不同的美. 白匏子(大戟科)種子變黑裂開見到機會不多.
此主題相關圖片如下:


按此查看圖片詳細資料
淹沒在亂石堆中的山黃梔(茜草科).
此主題相關圖片如下:


按此查看圖片詳細資料
穿上紅衣的廣東山葡萄(葡萄科).
此主題相關圖片如下:


按此查看圖片詳細資料
很別緻的玉葉金花(茜草科).
此主題相關圖片如下:


按此查看圖片詳細資料
葉子掉光只剩高掛枝頭熟透果實的羅氏鹽膚木(漆樹科)
此主題相關圖片如下:


按此查看圖片詳細資料
泛紅的烏臼(大戟科).
此主題相關圖片如下:


按此查看圖片詳細資料
|
頂部 |
| swing57 |
發表於: 2009/01/30 05:36am
|
刺莓(薔薇科)靜靜的開著白色小花.
此主題相關圖片如下:


按此查看圖片詳細資料
常出現在礫石地,乍看之下很像相思樹但完全沒有血緣關係的車桑子(無患子科).
此主題相關圖片如下:


按此查看圖片詳細資料
土密樹(大戟科)剛認識的,喔!它也是童玩竹槍的子彈材料之一.
此主題相關圖片如下:


按此查看圖片詳細資料
此主題相關圖片如下:


按此查看圖片詳細資料
此主題相關圖片如下:


按此查看圖片詳細資料
此主題相關圖片如下:


按此查看圖片詳細資料
|
頂部 |
| swing57 |
發表於: 2009/01/30 05:58am
|
[這篇文章最後由swing57在 2009/01/30 05:59am 第 1 次編輯]
崩塌地的先驅植物台灣赤楊(樺木科)根有根瘤菌可固氮讓土壤變肥沃那麼有名氣的植物,嘿嘿今天才認識多拍幾張把它瞧個清楚.
此主題相關圖片如下:


按此查看圖片詳細資料
此主題相關圖片如下:


按此查看圖片詳細資料
此主題相關圖片如下:


按此查看圖片詳細資料
此主題相關圖片如下:


按此查看圖片詳細資料
此主題相關圖片如下:


按此查看圖片詳細資料
它可愛的毬果.
此主題相關圖片如下:


按此查看圖片詳細資料
|
頂部 |
| swing57 |
發表於: 2009/01/30 06:27am
|
紅毛草(禾本科)長得挻可愛不過居然是外地客(南非)是引進的物種結果現在到處都看得到.
此主題相關圖片如下:


按此查看圖片詳細資料
此主題相關圖片如下:


按此查看圖片詳細資料
此主題相關圖片如下:


按此查看圖片詳細資料
此主題相關圖片如下:


按此查看圖片詳細資料
其實還有一些如相思樹它是最能適應這種惡地的植物;松樹(不清楚幾葉松);葉子掉光的喬木我無法辨識,幾乎長在懸崖峭壁我根本到達不了台灣彌猴也許辦得到,這裡可能有不少的台灣彌猴但沒見著只看到四處散佈的排遺. 還有到處看得到像木炭又像化石的東西,如果是木炭那麼山上早期應該有燒炭窯吧.
此主題相關圖片如下:


按此查看圖片詳細資料
此主題相關圖片如下:


按此查看圖片詳細資料
|
頂部 |
| swing57 |
發表於: 2009/02/02 09:07pm
|
年假最後一天選擇爬高甫山做為長假ending,它不是座很高的山548M但一路陡上不太適合太小的小孩一起同行,同屬石牛山系如果時間充足的人可以選擇[馬關連峰]縰走一趟下來可能需要六個小時以上吧且需要接駁車不然體力會吃不消,對於我這種喜歡沿途拍照的人來說會拉長時間只能分段去拜訪,回程因為選擇原路折返才知道先前的路有多陡,也許是前幾天走鵝卵石路的關係腳趾頭有點發炎上山沒感覺下山每走一步就隱隱作痛,不過沒關係休息幾天就好了,還有好多山林待我去發覺.
108縣道(羅馬公路)旁一個不起眼的路線指標為此段路的登山口.
此主題相關圖片如下:


按此查看圖片詳細資料
山路一路陡上除了加了些輔助的繩索其餘都保持原始風貌.
此主題相關圖片如下:


按此查看圖片詳細資料
此主題相關圖片如下:


按此查看圖片詳細資料
此主題相關圖片如下:


按此查看圖片詳細資料
稍做休息回頭看一下山下的休閒小木屋.
此主題相關圖片如下:


按此查看圖片詳細資料
峰峰相連跨過另一個山頭.
此主題相關圖片如下:


按此查看圖片詳細資料
|
頂部 |
| swing57 |
發表於: 2009/02/02 10:35pm
|
時間一久樹的根也變成天然的階梯,藤蔓變成天然的攀拔繩索.
此主題相關圖片如下:


按此查看圖片詳細資料
很喜歡葉子掉光的畫面,哈哈~當然不認識它穿著衣服都不好辨識而況是脫光衣服.
此主題相關圖片如下:


按此查看圖片詳細資料
此主題相關圖片如下:


按此查看圖片詳細資料
再登高一些山背後的某某球場也映入眼簾.
此主題相關圖片如下:


按此查看圖片詳細資料
這個是血藤吧沿路長了不少,聽說它的花很美.
此主題相關圖片如下:


按此查看圖片詳細資料
剝開豆夾看清楚它的模樣.
此主題相關圖片如下:


按此查看圖片詳細資料
|
頂部 |
| swing57 |
發表於: 2009/02/02 10:55pm
|
有點年紀的老藤及纏繞得密不可分的藤蔓.
此主題相關圖片如下:


按此查看圖片詳細資料
此主題相關圖片如下:


按此查看圖片詳細資料
崎嶇不平的山徑.
此主題相關圖片如下:


按此查看圖片詳細資料
這個是紅果金粟蘭(金粟蘭科)吧,應該沒記錯,山林間結著紅紅的果實的植物總會吸引我的目光.
此主題相關圖片如下:


按此查看圖片詳細資料
此主題相關圖片如下:


按此查看圖片詳細資料
此主題相關圖片如下:


按此查看圖片詳細資料
|
頂部 |
| robwu |
發表於: 2009/02/03 06:14pm
|
| swing57大的年假很豐盛歐! 讓我們也可以跟著神遊一下. |
頂部 |
| swing57 |
發表於: 2009/02/03 07:39pm
|
下面引用由robwu在 2009/02/03 06:14pm 發表的內容: swing57大的年假很豐盛歐! 讓我們也可以跟著神遊一下.
|
|
九天假期就跑這兩個地方而已,主要是天氣關係沒陽光的日子都懶得出門.
走到一個視野比較開擴的地方可以看到鄰近的鄉鎮,如果天氣好一點可以看得更遠. 山腳下的錦山村.
此主題相關圖片如下:


按此查看圖片詳細資料
關西鎮全景,右邊那座橋是北二高.
此主題相關圖片如下:


按此查看圖片詳細資料
北二高關西休息站,右上方是六福村喔!眼前那座是牛打崎、眺望崠幾個星期前剛爬過.
此主題相關圖片如下:


按此查看圖片詳細資料
拉近一點看這是新台三線(外環道)沿線房舍.
此主題相關圖片如下:


按此查看圖片詳細資料
山下的羅馬公路(118縣道).
此主題相關圖片如下:


按此查看圖片詳細資料
龍潭鄉局部景觀.
此主題相關圖片如下:


按此查看圖片詳細資料
|
頂部 |
| swing57 |
發表於: 2009/02/08 09:24pm
|
走在稜線上巨石出現了.
此主題相關圖片如下:


按此查看圖片詳細資料
此主題相關圖片如下:


按此查看圖片詳細資料
洞窟內還有一尊神像.
此主題相關圖片如下:


按此查看圖片詳細資料
一些植物就長在石頭上.
此主題相關圖片如下:


按此查看圖片詳細資料
左邊就是萬丈深淵.
此主題相關圖片如下:


按此查看圖片詳細資料
天然的石牆.
此主題相關圖片如下:


按此查看圖片詳細資料
|
頂部 |
| maymay |
發表於: 2009/02/15 02:36pm
|
下面引用由swing57在 2009/02/02 10:55pm 發表的內容: 有點年紀的老藤及纏繞得密不可分的藤蔓. 崎嶇不平的山徑. 這個是紅果金粟蘭(金粟蘭科)吧,應該沒記錯,山林間結著紅紅的果實的植物總會吸引我的目光.
|
|
好特別的植物沒有看過 果實有像珊瑚珠 您對植物的知識好豐富呀~
|
頂部 |
| swing57 |
發表於: 2009/02/23 11:06pm
|
下面引用由maymay在 2009/02/15 02:36pm 發表的內容: 好特別的植物沒有看過 果實有像珊瑚珠 您對植物的知識好豐富呀~
|
|
呵~這是爬山的好處之一既可健身又可認識新的植物且不同季節去會有不同的收穫,山上很多原生毬蘭及血藤改天花期到了再上山賞花去.
它也叫過山龍才剛認識.
此主題相關圖片如下:


按此查看圖片詳細資料
此主題相關圖片如下:


按此查看圖片詳細資料
此主題相關圖片如下:


按此查看圖片詳細資料
此主題相關圖片如下:


按此查看圖片詳細資料
此主題相關圖片如下:


按此查看圖片詳細資料
此主題相關圖片如下:


按此查看圖片詳細資料
|
頂部 |
| swing57 |
發表於: 2009/03/14 07:30pm
|
前陣子光顧我家毛桃的桃劍紋夜蛾,來不及請它回家已經跑去躲起來了.
此主題相關圖片如下:


按此查看圖片詳細資料
不知是誰家的小孩快孵化了,帶回家觀察.
此主題相關圖片如下:


按此查看圖片詳細資料
此主題相關圖片如下:


按此查看圖片詳細資料
|
頂部 |
| 晨曦青嵐 |
發表於: 2009/03/15 09:44pm
|
| 我今天也在桂花上看到好多恐怖的大毛毛蟲 等我相片傳好後再貼來請教你名子 |
頂部 |
| swing57 |
發表於: 2009/03/15 11:42pm
|
[這篇文章最後由swing57在 2009/03/15 11:44pm 第 1 次編輯]
下面引用由晨曦青嵐在 2009/03/15 09:44pm 發表的內容: 我今天也在桂花上看到好多恐怖的大毛毛蟲 等我相片傳好後再貼來請教你名子
|
|
貼上來看看吧!但未必我認得喔. 天氣放晴到附近小徑走走,巧遇剛羽化的無尾型大鳳蝶.
此主題相關圖片如下:


按此查看圖片詳細資料
此主題相關圖片如下:


按此查看圖片詳細資料
此主題相關圖片如下:


按此查看圖片詳細資料
此主題相關圖片如下:


按此查看圖片詳細資料
這個紅通通的幼蟲很想知道它是誰,可惜已經被寄生無緣揭曉謎底了.
此主題相關圖片如下:


按此查看圖片詳細資料
此主題相關圖片如下:


按此查看圖片詳細資料
|
頂部 |
| swing57 |
發表於: 2009/03/19 08:49pm
|
春暖花開的日子.
此主題相關圖片如下:


按此查看圖片詳細資料
此主題相關圖片如下:


按此查看圖片詳細資料
此主題相關圖片如下:


按此查看圖片詳細資料
此主題相關圖片如下:


按此查看圖片詳細資料
此主題相關圖片如下:


按此查看圖片詳細資料
此主題相關圖片如下:


按此查看圖片詳細資料
|
頂部 |
| swing57 |
發表於: 2009/03/19 08:53pm
|
此主題相關圖片如下:


按此查看圖片詳細資料
此主題相關圖片如下:


按此查看圖片詳細資料
此主題相關圖片如下:


按此查看圖片詳細資料
此主題相關圖片如下:


按此查看圖片詳細資料
此主題相關圖片如下:


按此查看圖片詳細資料
此主題相關圖片如下:


按此查看圖片詳細資料
|
頂部 |
| swing57 |
發表於: 2009/03/19 08:55pm
|
此主題相關圖片如下:


按此查看圖片詳細資料
此主題相關圖片如下:


按此查看圖片詳細資料
此主題相關圖片如下:


按此查看圖片詳細資料
此主題相關圖片如下:


按此查看圖片詳細資料
此主題相關圖片如下:


按此查看圖片詳細資料
此主題相關圖片如下:


按此查看圖片詳細資料
|
頂部 |
| swing57 |
發表於: 2009/03/19 08:59pm
|
此主題相關圖片如下:


按此查看圖片詳細資料
此主題相關圖片如下:


按此查看圖片詳細資料
此主題相關圖片如下:


按此查看圖片詳細資料
此主題相關圖片如下:


按此查看圖片詳細資料
此主題相關圖片如下:


按此查看圖片詳細資料
此主題相關圖片如下:


按此查看圖片詳細資料
|
頂部 |
| swing57 |
發表於: 2009/03/19 09:03pm
|
此主題相關圖片如下:


按此查看圖片詳細資料
此主題相關圖片如下:


按此查看圖片詳細資料
此主題相關圖片如下:


按此查看圖片詳細資料
此主題相關圖片如下:


按此查看圖片詳細資料
此主題相關圖片如下:


按此查看圖片詳細資料
此主題相關圖片如下:


按此查看圖片詳細資料
|
頂部 |
| swing57 |
發表於: 2009/03/19 09:06pm
|
此主題相關圖片如下:


按此查看圖片詳細資料
此主題相關圖片如下:


按此查看圖片詳細資料
此主題相關圖片如下:


按此查看圖片詳細資料
此主題相關圖片如下:


按此查看圖片詳細資料
此主題相關圖片如下:


按此查看圖片詳細資料
此主題相關圖片如下:


按此查看圖片詳細資料
|
頂部 |
| swing57 |
發表於: 2009/03/19 09:09pm
|
此主題相關圖片如下:


按此查看圖片詳細資料
此主題相關圖片如下:


按此查看圖片詳細資料
此主題相關圖片如下:


按此查看圖片詳細資料
此主題相關圖片如下:


按此查看圖片詳細資料
此主題相關圖片如下:


按此查看圖片詳細資料
此主題相關圖片如下:


按此查看圖片詳細資料
|
頂部 |
| swing57 |
發表於: 2009/04/05 10:46pm
|
此主題相關圖片如下:


按此查看圖片詳細資料
此主題相關圖片如下:


按此查看圖片詳細資料
此主題相關圖片如下:


按此查看圖片詳細資料
此主題相關圖片如下:


按此查看圖片詳細資料
|
頂部 |
| swing57 |
發表於: 2009/04/09 09:35pm
|
[這篇文章最後由swing57在 2009/04/09 09:39pm 第 1 次編輯]
因為園子沒有使用任何農藥三不五時都會有令人驚艷的東西上門.
此主題相關圖片如下:


按此查看圖片詳細資料
此主題相關圖片如下:


按此查看圖片詳細資料
此主題相關圖片如下:


按此查看圖片詳細資料
此主題相關圖片如下:


按此查看圖片詳細資料
此主題相關圖片如下:


按此查看圖片詳細資料
毛毛蟲雖看起來有點可怕卻比不上它旁邊那隻寄生蜂正虎視眈眈等待機會.
此主題相關圖片如下:


按此查看圖片詳細資料
|
頂部 |
| swing57 |
發表於: 2009/04/12 00:19am
|
鴨子戲水
此主題相關圖片如下:


按此查看圖片詳細資料
此主題相關圖片如下:


按此查看圖片詳細資料
此主題相關圖片如下:


按此查看圖片詳細資料
此主題相關圖片如下:


按此查看圖片詳細資料
此主題相關圖片如下:


按此查看圖片詳細資料
此主題相關圖片如下:


按此查看圖片詳細資料
|
頂部 |
| swing57 |
發表於: 2009/04/12 00:21am
|
此主題相關圖片如下:


按此查看圖片詳細資料
此主題相關圖片如下:


按此查看圖片詳細資料
此主題相關圖片如下:


按此查看圖片詳細資料
此主題相關圖片如下:


按此查看圖片詳細資料
此主題相關圖片如下:


按此查看圖片詳細資料
此主題相關圖片如下:


按此查看圖片詳細資料
|
頂部 |
| 晨曦青嵐 |
發表於: 2009/04/12 00:38am
|
| 那隻寄生蜂是準備對毛毛蟲下手嗎?? |
頂部 |
| swing57 |
發表於: 2009/04/12 00:56am
|
下面引用由晨曦青嵐在 2009/04/12 00:38am 發表的內容: 那隻寄生蜂是準備對毛毛蟲下手嗎??
|
|
對啊~看起來不成比例像小蝦米對大鯨魚一樣,不過確實是毛毛蟲的天敵.
土蕃鴨鞏固勢力驅逐異己.
此主題相關圖片如下:


按此查看圖片詳細資料
此主題相關圖片如下:


按此查看圖片詳細資料
此主題相關圖片如下:


按此查看圖片詳細資料
此主題相關圖片如下:


按此查看圖片詳細資料
此主題相關圖片如下:


按此查看圖片詳細資料
此主題相關圖片如下:


按此查看圖片詳細資料
|
頂部 |
| swing57 |
發表於: 2009/04/13 10:20pm
|
[這篇文章最後由swing57在 2009/04/13 10:30pm 第 1 次編輯]
花的魅力可以把大老遠的昆蟲給吸引過來.
此主題相關圖片如下:


按此查看圖片詳細資料
此主題相關圖片如下:


按此查看圖片詳細資料
此主題相關圖片如下:


按此查看圖片詳細資料
此主題相關圖片如下:


按此查看圖片詳細資料
此主題相關圖片如下:


按此查看圖片詳細資料
此主題相關圖片如下:


按此查看圖片詳細資料
|
頂部 |
| swing57 |
發表於: 2009/04/13 10:26pm
|
[這篇文章最後由swing57在 2009/04/13 10:32pm 第 1 次編輯]
此主題相關圖片如下:


按此查看圖片詳細資料
此主題相關圖片如下:


按此查看圖片詳細資料
此主題相關圖片如下:


按此查看圖片詳細資料
此主題相關圖片如下:


按此查看圖片詳細資料
此主題相關圖片如下:


按此查看圖片詳細資料
此主題相關圖片如下:


按此查看圖片詳細資料
|
頂部 |
| swing57 |
發表於: 2009/04/13 10:37pm
|
此主題相關圖片如下:


按此查看圖片詳細資料
此主題相關圖片如下:


按此查看圖片詳細資料
此主題相關圖片如下:


按此查看圖片詳細資料
此主題相關圖片如下:


按此查看圖片詳細資料
此主題相關圖片如下:


按此查看圖片詳細資料
此主題相關圖片如下:


按此查看圖片詳細資料
|
頂部 |
| swing57 |
發表於: 2009/04/13 10:53pm
|
平常想拍蜜蜂是不太容易的事到處穿梭一刻不得閒,還好有花的幫忙讓它們對我減少戒心.
此主題相關圖片如下:


按此查看圖片詳細資料
這隻花蜂像失去平衡似的掉落在我面前,回去看了照片才知原來少了一根觸角.
此主題相關圖片如下:


按此查看圖片詳細資料
此主題相關圖片如下:


按此查看圖片詳細資料
此主題相關圖片如下:


按此查看圖片詳細資料
此主題相關圖片如下:


按此查看圖片詳細資料
此主題相關圖片如下:


按此查看圖片詳細資料
|
頂部 |
| robwu |
發表於: 2009/04/14 11:57pm
|
哇 大保眼福,謝謝swing57大精彩的美圖. 第一次看到寄生蜂照片,只見過內人養的蝴蝶幼蟲被寄生後萬箭穿肚好可憐. |
頂部 |
| swing57 |
發表於: 2009/04/16 09:27pm
|
[這篇文章最後由swing57在 2009/04/16 09:37pm 第 1 次編輯]
喔!robwu的內人也喜歡養蝶啊~ 大葉溲疏目前正是它的花期,每年我都會像蜜蜂一樣抽空上山去賞花.
此主題相關圖片如下:


按此查看圖片詳細資料
此主題相關圖片如下:


按此查看圖片詳細資料
此主題相關圖片如下:


按此查看圖片詳細資料
此主題相關圖片如下:


按此查看圖片詳細資料
此主題相關圖片如下:


按此查看圖片詳細資料
此主題相關圖片如下:


按此查看圖片詳細資料
|
頂部 |
| swing57 |
發表於: 2009/04/16 09:30pm
|
此主題相關圖片如下:


按此查看圖片詳細資料
此主題相關圖片如下:


按此查看圖片詳細資料
此主題相關圖片如下:


按此查看圖片詳細資料
此主題相關圖片如下:


按此查看圖片詳細資料
此主題相關圖片如下:


按此查看圖片詳細資料
此主題相關圖片如下:


按此查看圖片詳細資料
|
頂部 |
| 晨曦青嵐 |
發表於: 2009/04/16 11:31pm
|
[這篇文章最後由晨曦青嵐在 2009/04/16 11:37pm 第 1 次編輯]
這麼美的花我在山上都沒見過, 我遇到的都是烏皮九芎而已 還有花蜂會攻擊人嗎??? 還有你也很皮! 也玩幫磕頭蟲翻筋斗的把戲, 那是我們小時候常常玩的 |
頂部 |
| swing57 |
發表於: 2009/04/17 08:12pm
|
下面引用由晨曦青嵐在 2009/04/16 11:31pm 發表的內容: 這麼美的花我在山上都沒見過, 我遇到的都是烏皮九芎而已 還有花蜂會攻擊人嗎??? 還有你也很皮! 也玩幫磕頭蟲翻筋斗的把戲, 那是我們小時候常常玩的
|
|
我想那花應該是以前的遊樂園為了美化周遭的環境沿路栽種的,現在遊樂園沒了反而一年比一年開得漂亮動人,烏皮九芎今年三月的時候也看到一棵滿滿雪白的花朵. 花蜂或熊蜂這類的蜜蜂不會主動攻擊人,有時作勢像要攻擊人的樣子只是做做樣子其實它們蠻膽小的,看它們圓滾滾的身體很可愛. 翻筋斗的把戲小時候我也常玩還互相比賽看誰的跳得高,有一種台灣大象鼻蟲我們叫它筍姑很久看不到它的蹤影了好懷念啊!
此主題相關圖片如下:


按此查看圖片詳細資料
此主題相關圖片如下:


按此查看圖片詳細資料
此主題相關圖片如下:


按此查看圖片詳細資料
此主題相關圖片如下:


按此查看圖片詳細資料
此主題相關圖片如下:


按此查看圖片詳細資料
此主題相關圖片如下:


按此查看圖片詳細資料
|
頂部 |
| swing57 |
發表於: 2009/04/17 08:22pm
|
[這篇文章最後由swing57在 2009/09/16 10:35am 第 1 次編輯]
此主題相關圖片如下:


按此查看圖片詳細資料
大白紋弄蝶
此主題相關圖片如下:


按此查看圖片詳細資料
此主題相關圖片如下:


按此查看圖片詳細資料
柚子花太香了一些蛾類學起蝴蝶來訪花吸花蜜.
此主題相關圖片如下:


按此查看圖片詳細資料
此主題相關圖片如下:


按此查看圖片詳細資料
此主題相關圖片如下:


按此查看圖片詳細資料
|
頂部 |
| 晨曦青嵐 |
發表於: 2009/04/17 10:58pm
|
廢棄的遊樂園??請問你是不是在龍潭一處廢棄的露營營區拍的呢?? 我去年去過一處龍潭山區廢棄露營營地 周遭種很多肉貴 在上方也種很多大葉溲疏, 只是我去時不是花期, 還有再大葉溲疏在上方還有一戶古厝, 應該是以前種茶大戶人家, 還是員外之類的, 其實我還很想再去一次 , 但是我已經忘記怎麼走了 |
頂部 |
| swing57 |
發表於: 2009/04/17 11:48pm
|
[這篇文章最後由swing57在 2009/04/17 11:51pm 第 1 次編輯]
下面引用由晨曦青嵐在 2009/04/17 10:58pm 發表的內容: 廢棄的遊樂園??請問你是不是在龍潭一處廢棄的露營營區拍的呢?? 我去年去過一處龍潭山區廢棄露營營地 周遭種很多肉貴 在上方也種很多大葉溲疏, 只是我去時不是花期, 還有再大葉溲疏在上方還有一戶古厝, 應該是以 ...
|
|
種很多肉桂的地方據我所知是小北坑那裡很多步道如葉家步道...,週休二日有蠻多人會來那裡渡假騎腳踏車玩搖控飛機,那裡沒看過大葉溲疏也不知道有露營營地. 我拍的地方是童話世界那裡妳知道嗎?是石門水庫大壩對面山有道路可直接到逹. 至於怎麼走不太會描述可以參考龍潭鄉電子地圖. http://www.longtan.gov.tw/travel_4_1.aspx 以上兩個地方我都常去,主要離家不遠想拍的東西也都有就不必捨近求遠了. |
頂部 |
| 晨曦青嵐 |
發表於: 2009/04/18 12:29pm
|
| 童話世界我就不知道了 也許有去過忘記了 , 我出門都是很隨興, 走道哪算到哪,要再重複走一次我也不會走了, 健忘症太嚴重了說, -而且同一條路,也不會走回頭路, 因為一定會在半路迷路, 像上星期我本要去啦啦山結果從桃園去跑到東眼山去, 回程卻從三峽回來, 因為我忘記來時路怎麼走了 |
頂部 |
| swing57 |
發表於: 2009/04/18 08:18pm
|
想不到離家不遠的荒煙蔓草小路之中也有如此美的小花(清明草/綬草),第一次看到好興奮啊!
此主題相關圖片如下:


按此查看圖片詳細資料
此主題相關圖片如下:


按此查看圖片詳細資料
此主題相關圖片如下:


按此查看圖片詳細資料
此主題相關圖片如下:


按此查看圖片詳細資料
此主題相關圖片如下:


按此查看圖片詳細資料
此主題相關圖片如下:


按此查看圖片詳細資料
|
頂部 |
| AKOA |
發表於: 2009/04/18 10:39pm
|
綬草 不久前在牡丹的山上拍過 還尚未上查問 現在知道了 確實是讓人會動心的小草花 漂亮 |
頂部 |
| robwu |
發表於: 2009/04/19 08:52am
|
"竹筍姑"小時候還不少,近10年好像只再看到一隻.
swing57大你拍的綬草好像沒有全部"螺旋狀"開花(比較單邊開花)也是和一般的不同. |
頂部 |
| AKOA |
發表於: 2009/04/19 12:28pm
|
原來他會有所謂的螺旋狀開花
我在牡丹山上拍的綬草 現在回想及看看 似乎有那麼一點
此主題相關圖片如下:


按此查看圖片詳細資料
|
頂部 |
| robwu |
發表於: 2009/04/19 08:39pm
|
種家裡的綬草"螺旋狀開花" 今天拍的
此主題相關圖片如下:


按此查看圖片詳細資料
|
頂部 |
| swing57 |
發表於: 2009/04/19 10:55pm
|
下面引用由AKOA在 2009/04/18 10:39pm 發表的內容: 綬草 不久前在牡丹的山上拍過 還尚未上查問 現在知道了 ...
|
|
它若不開花我鐡定認不得,我可能誤認它為鴨拓草科植物,長得真的有幾分神似. |
頂部 |
| swing57 |
發表於: 2009/04/19 11:10pm
|
下面引用由robwu在 2009/04/19 08:52am 發表的內容: "竹筍姑"小時候還不少,近10年好像只再看到一隻. swing57大你拍的綬草好像沒有全部"螺旋狀"開花(比較單邊開花)也是和一般的不同.
|
|
去年5月在鴻禧山莊後山有看到一隻之後就沒再見過了. 或許是土壤貧脊吧,發現的地點是黃泥土地. |
頂部 |
| swing57 |
發表於: 2009/04/19 11:18pm
|
[這篇文章最後由swing57在 2009/04/21 12:48pm 第 1 次編輯]
綬草南北大會師,AKOA在牡丹山上拍的長得很好很飽滿,robwu的受到主人的呵護也是頭好壯壯. 貼幾張白花益母草也是野地裡發現的.
此主題相關圖片如下:


按此查看圖片詳細資料
此主題相關圖片如下:


按此查看圖片詳細資料
此主題相關圖片如下:


按此查看圖片詳細資料
此主題相關圖片如下:


按此查看圖片詳細資料
此主題相關圖片如下:


按此查看圖片詳細資料
此主題相關圖片如下:


按此查看圖片詳細資料
|
頂部 |
| swing57 |
發表於: 2009/04/22 08:56pm
|
此主題相關圖片如下:


按此查看圖片詳細資料
此主題相關圖片如下:


按此查看圖片詳細資料
此主題相關圖片如下:


按此查看圖片詳細資料
此主題相關圖片如下:


按此查看圖片詳細資料
此主題相關圖片如下:


按此查看圖片詳細資料
此主題相關圖片如下:


按此查看圖片詳細資料
|
頂部 |
| swing57 |
發表於: 2009/04/22 09:01pm
|
此主題相關圖片如下:


按此查看圖片詳細資料
此主題相關圖片如下:


按此查看圖片詳細資料
此主題相關圖片如下:


按此查看圖片詳細資料
此主題相關圖片如下:


按此查看圖片詳細資料
此主題相關圖片如下:


按此查看圖片詳細資料
此主題相關圖片如下:


按此查看圖片詳細資料
|
頂部 |
| swing57 |
發表於: 2009/04/30 10:47pm
|
細梗絡石開花了.
此主題相關圖片如下:


按此查看圖片詳細資料
此主題相關圖片如下:


按此查看圖片詳細資料
此主題相關圖片如下:


按此查看圖片詳細資料
此主題相關圖片如下:


按此查看圖片詳細資料
此主題相關圖片如下:


按此查看圖片詳細資料
此主題相關圖片如下:


按此查看圖片詳細資料
|
頂部 |
| swing57 |
發表於: 2009/05/07 00:03am
|
[這篇文章最後由swing57在 2009/05/09 01:14pm 第 1 次編輯]
夏天到了各式各樣的蟲蟲都出動啦.
此主題相關圖片如下:


按此查看圖片詳細資料
此主題相關圖片如下:


按此查看圖片詳細資料
此主題相關圖片如下:


按此查看圖片詳細資料
此主題相關圖片如下:


按此查看圖片詳細資料
此主題相關圖片如下:


按此查看圖片詳細資料
梯紋豔苔蛾幼蟲,食草之一槭葉牽牛花.
此主題相關圖片如下:


按此查看圖片詳細資料
|
頂部 |
| 思靈 |
發表於: 2009/05/07 02:42pm
|
| 照片拍得多生動,真想向大大請教一下 |
頂部 |
| swing57 |
發表於: 2009/05/09 00:48am
|
下面引用由思靈在 2009/05/07 02:42pm 發表的內容: 照片拍得多生動,真想向大大請教一下
|
|
請教不敢啦我都隨性亂拍,呵~頭像的鳳蝶眼睛變成陶醉表情.
你在拍我嗎?沒有長鏡頭只能欺負這種剛學飛的小傢伙,這個季節很容易看到它們因為技巧還不熟練.
此主題相關圖片如下:


按此查看圖片詳細資料
此主題相關圖片如下:


按此查看圖片詳細資料
此主題相關圖片如下:


按此查看圖片詳細資料
此主題相關圖片如下:


按此查看圖片詳細資料
|
頂部 |
| robwu |
發表於: 2009/05/09 07:42am
|
| 哇 看到草蟬了,夏天要到了,淡水好像還沒聽到草蟬叫. |
頂部 |
| swing57 |
發表於: 2009/05/09 10:30pm
|
下面引用由robwu在 2009/05/09 07:42am 發表的內容: 哇 看到草蟬了,夏天要到了,淡水好像還沒聽到草蟬叫.
|
|
嗯,天氣熱長蟲也出來了,慢慢爬到涵洞裡很想把它拖出來,不過還是怕怕的不敢啦.
應景一下,桐花也可以這麼賞涼快多了.
此主題相關圖片如下:


按此查看圖片詳細資料
此主題相關圖片如下:


按此查看圖片詳細資料
此主題相關圖片如下:


按此查看圖片詳細資料
此主題相關圖片如下:


按此查看圖片詳細資料
此主題相關圖片如下:


按此查看圖片詳細資料
此主題相關圖片如下:


按此查看圖片詳細資料
|
頂部 |
| swing57 |
發表於: 2009/05/09 10:33pm
|
此主題相關圖片如下:


按此查看圖片詳細資料
此主題相關圖片如下:


按此查看圖片詳細資料
此主題相關圖片如下:


按此查看圖片詳細資料
此主題相關圖片如下:


按此查看圖片詳細資料
此主題相關圖片如下:


按此查看圖片詳細資料
此主題相關圖片如下:


按此查看圖片詳細資料
|
頂部 |
| swing57 |
發表於: 2009/05/09 10:35pm
|
此主題相關圖片如下:


按此查看圖片詳細資料
此主題相關圖片如下:


按此查看圖片詳細資料
此主題相關圖片如下:


按此查看圖片詳細資料
此主題相關圖片如下:


按此查看圖片詳細資料
此主題相關圖片如下:


按此查看圖片詳細資料
此主題相關圖片如下:


按此查看圖片詳細資料
|
頂部 |
| swing57 |
發表於: 2009/05/10 08:47pm
|
桃金孃科的蒲桃開花了.
此主題相關圖片如下:


按此查看圖片詳細資料
此主題相關圖片如下:


按此查看圖片詳細資料
此主題相關圖片如下:


按此查看圖片詳細資料
此主題相關圖片如下:


按此查看圖片詳細資料
此主題相關圖片如下:


按此查看圖片詳細資料
此主題相關圖片如下:


按此查看圖片詳細資料
|
頂部 |
| swing57 |
發表於: 2009/05/11 09:35pm
|
帶點淡淡清香的野桐花與蟲蟲的對話.
此主題相關圖片如下:


按此查看圖片詳細資料
此主題相關圖片如下:


按此查看圖片詳細資料
此主題相關圖片如下:


按此查看圖片詳細資料
此主題相關圖片如下:


按此查看圖片詳細資料
此主題相關圖片如下:


按此查看圖片詳細資料
|
頂部 |
| swing57 |
發表於: 2009/05/11 09:39pm
|
此主題相關圖片如下:


按此查看圖片詳細資料
此主題相關圖片如下:


按此查看圖片詳細資料
此主題相關圖片如下:


按此查看圖片詳細資料
此主題相關圖片如下:


按此查看圖片詳細資料
此主題相關圖片如下:


按此查看圖片詳細資料
|
頂部 |
| swing57 |
發表於: 2009/05/11 09:41pm
|
[這篇文章最後由swing57在 2009/05/11 09:46pm 第 1 次編輯]
此主題相關圖片如下:


按此查看圖片詳細資料
此主題相關圖片如下:


按此查看圖片詳細資料
此主題相關圖片如下:


按此查看圖片詳細資料
此主題相關圖片如下:


按此查看圖片詳細資料
此主題相關圖片如下:


按此查看圖片詳細資料
|
頂部 |
| swing57 |
發表於: 2009/05/11 09:43pm
|
此主題相關圖片如下:


按此查看圖片詳細資料
此主題相關圖片如下:


按此查看圖片詳細資料
此主題相關圖片如下:


按此查看圖片詳細資料
此主題相關圖片如下:


按此查看圖片詳細資料
此主題相關圖片如下:


按此查看圖片詳細資料
|
頂部 |
| agalope |
發表於: 2009/05/11 10:32pm
|
| 第三張看起來有點像重陽木螢斑蛾Histia flabellicornis ultima |
頂部 |
| swing57 |
發表於: 2009/05/14 00:41am
|
下面引用由agalope在 2009/05/11 10:32pm 發表的內容: 第三張看起來有點像重陽木螢斑蛾Histia flabellicornis ultima
|
|
是它沒錯,喜歡訪花的斑蛾.
此主題相關圖片如下:


按此查看圖片詳細資料
此主題相關圖片如下:


按此查看圖片詳細資料
此主題相關圖片如下:


按此查看圖片詳細資料
此主題相關圖片如下:


按此查看圖片詳細資料
此主題相關圖片如下:


按此查看圖片詳細資料
|
頂部 |
| swing57 |
發表於: 2009/05/14 11:25pm
|
此主題相關圖片如下:


按此查看圖片詳細資料
此主題相關圖片如下:


按此查看圖片詳細資料
此主題相關圖片如下:


按此查看圖片詳細資料
|
頂部 |
| swing57 |
發表於: 2009/05/17 10:37pm
|
[這篇文章最後由swing57在 2009/05/18 03:31am 第 1 次編輯]
不小心被迫提早出土的草蟬.
此主題相關圖片如下:


按此查看圖片詳細資料
此主題相關圖片如下:


按此查看圖片詳細資料
此主題相關圖片如下:


按此查看圖片詳細資料
它好像是螢火蟲的幼蟲(山窗螢).
此主題相關圖片如下:


按此查看圖片詳細資料
此主題相關圖片如下:


按此查看圖片詳細資料
此主題相關圖片如下:


按此查看圖片詳細資料
|
頂部 |
| swing57 |
發表於: 2009/05/19 08:59pm
|
此主題相關圖片如下:


按此查看圖片詳細資料
此主題相關圖片如下:


按此查看圖片詳細資料
此主題相關圖片如下:


按此查看圖片詳細資料
此主題相關圖片如下:


按此查看圖片詳細資料
此主題相關圖片如下:


按此查看圖片詳細資料
此主題相關圖片如下:


按此查看圖片詳細資料
|
頂部 |
| swing57 |
發表於: 2009/05/20 00:22am
|
沒在食草上看到它不然又會有一股衝動想帶回家養看看,爬得真快我都來不及對焦.
此主題相關圖片如下:


按此查看圖片詳細資料
此主題相關圖片如下:


按此查看圖片詳細資料
此主題相關圖片如下:


按此查看圖片詳細資料
|
頂部 |
| swing57 |
發表於: 2009/05/20 00:30am
|
基斑毒蛾 / 柑毒蛾 身上的花紋還蠻美的.
此主題相關圖片如下:


按此查看圖片詳細資料
此主題相關圖片如下:


按此查看圖片詳細資料
此主題相關圖片如下:


按此查看圖片詳細資料
此主題相關圖片如下:


按此查看圖片詳細資料
此主題相關圖片如下:


按此查看圖片詳細資料
|
頂部 |
| robwu |
發表於: 2009/05/20 01:30pm
|
swing57大你越來越不可愛了, 這些看嘞全身都起雞皮疙瘩了.
快跑! 還是看別頁比較舒服. |
頂部 |
| swing57 |
發表於: 2009/05/20 08:49pm
|
下面引用由robwu在 2009/05/20 01:30pm 發表的內容: swing57大你越來越不可愛了, 這些看嘞全身都起雞皮疙瘩了. 快跑! 還是看別頁比較舒服.
|
|
會起雞皮疙瘩喔!那貼些花花草草好了.
此主題相關圖片如下:


按此查看圖片詳細資料
此主題相關圖片如下:


按此查看圖片詳細資料
此主題相關圖片如下:


按此查看圖片詳細資料
此主題相關圖片如下:


按此查看圖片詳細資料
此主題相關圖片如下:


按此查看圖片詳細資料
此主題相關圖片如下:


按此查看圖片詳細資料
|
頂部 |
| swing57 |
發表於: 2009/05/20 09:07pm
|
最近開花的茄子、瓜果、豆子及不變栽種就長得到處都是的小蕃茄.
此主題相關圖片如下:


按此查看圖片詳細資料
此主題相關圖片如下:


按此查看圖片詳細資料
此主題相關圖片如下:


按此查看圖片詳細資料
此主題相關圖片如下:


按此查看圖片詳細資料
此主題相關圖片如下:


按此查看圖片詳細資料
此主題相關圖片如下:


按此查看圖片詳細資料
|
頂部 |
| swing57 |
發表於: 2009/05/20 09:20pm
|
野花也很美不管認識或不認識.
此主題相關圖片如下:


按此查看圖片詳細資料
此主題相關圖片如下:


按此查看圖片詳細資料
此主題相關圖片如下:


按此查看圖片詳細資料
此主題相關圖片如下:


按此查看圖片詳細資料
此主題相關圖片如下:


按此查看圖片詳細資料
此主題相關圖片如下:


按此查看圖片詳細資料
|
頂部 |
| swing57 |
發表於: 2009/05/20 09:39pm
|
此主題相關圖片如下:


按此查看圖片詳細資料
三腳鱉 芸香科
此主題相關圖片如下:


按此查看圖片詳細資料
此主題相關圖片如下:


按此查看圖片詳細資料
此主題相關圖片如下:


按此查看圖片詳細資料
毛蓮菜(地膽草)菊科
此主題相關圖片如下:


按此查看圖片詳細資料
此主題相關圖片如下:


按此查看圖片詳細資料
|
頂部 |
| swing57 |
發表於: 2009/05/20 09:55pm
|
白毛臭牡丹 馬鞭草科
此主題相關圖片如下:


按此查看圖片詳細資料
貓腥草(假臭草) 菊科
此主題相關圖片如下:


按此查看圖片詳細資料
九節木的花
此主題相關圖片如下:


按此查看圖片詳細資料
此主題相關圖片如下:


按此查看圖片詳細資料
此主題相關圖片如下:


按此查看圖片詳細資料
紫花藿香薊 菊科
此主題相關圖片如下:


按此查看圖片詳細資料
|
頂部 |
| swing57 |
發表於: 2009/05/23 00:51am
|
月桃(一)
此主題相關圖片如下:


按此查看圖片詳細資料
此主題相關圖片如下:


按此查看圖片詳細資料
此主題相關圖片如下:


按此查看圖片詳細資料
此主題相關圖片如下:


按此查看圖片詳細資料
此主題相關圖片如下:


按此查看圖片詳細資料
|
頂部 |
| robwu |
發表於: 2009/05/24 10:30pm
|
| 好美的月桃花,下次野外我會更仔細看她一眼. |
頂部 |
| 晨曦青嵐 |
發表於: 2009/05/25 00:03am
|
| 山月桃目前陽明山正花季 大馬路邊就可以賞了 |
頂部 |
| robwu |
發表於: 2009/05/25 11:44am
|
下面引用由晨曦青嵐在 2009/05/25 00:03am 發表的內容: 山月桃目前陽明山正花季 大馬路邊就可以賞了
|
|
謝謝! 我家旁邊小山 小路就可以賞了. |
頂部 |
| swing57 |
發表於: 2009/05/25 09:57pm
|
[這篇文章最後由swing57在 2009/05/25 09:59pm 第 1 次編輯]
月桃(二) 上面的山月桃我認得,底下的我就不清楚了雖然是野花不過還是很美,其實生活周遭稍微留神一下都會有它們的存在只是懂不懂得欣賞而已.
此主題相關圖片如下:


按此查看圖片詳細資料
此主題相關圖片如下:


按此查看圖片詳細資料
此主題相關圖片如下:


按此查看圖片詳細資料
此主題相關圖片如下:


按此查看圖片詳細資料
此主題相關圖片如下:


按此查看圖片詳細資料
這對還真會挑地方.
此主題相關圖片如下:


按此查看圖片詳細資料
|
頂部 |
| swing57 |
發表於: 2009/05/25 10:33pm
|
[這篇文章最後由swing57在 2009/05/26 00:54am 第 1 次編輯]
下班回家正巧遇到5、6隻親鳥在聯合操新兵,呵~又有機會近距離拍它們了. 鳥爸爸鳥媽媽急得要死左顧右盼來回警戒.
此主題相關圖片如下:


按此查看圖片詳細資料
此主題相關圖片如下:


按此查看圖片詳細資料
此主題相關圖片如下:


按此查看圖片詳細資料
此主題相關圖片如下:


按此查看圖片詳細資料
一時學不來的它們只好找地方掩蔽.
此主題相關圖片如下:


按此查看圖片詳細資料
此主題相關圖片如下:


按此查看圖片詳細資料
|
頂部 |
| swing57 |
發表於: 2009/05/26 09:02pm
|
繁殖的季節到處都可以看到這種景象.
此主題相關圖片如下:


按此查看圖片詳細資料
此主題相關圖片如下:


按此查看圖片詳細資料
此主題相關圖片如下:


按此查看圖片詳細資料
此主題相關圖片如下:


按此查看圖片詳細資料
此主題相關圖片如下:


按此查看圖片詳細資料
此主題相關圖片如下:


按此查看圖片詳細資料
|
頂部 |
| swing57 |
發表於: 2009/05/28 00:22am
|
[這篇文章最後由swing57在 2009/08/01 10:15pm 第 1 次編輯]
拍些很小的昆蟲及血腥畫面.
此主題相關圖片如下:


按此查看圖片詳細資料
此主題相關圖片如下:


按此查看圖片詳細資料
此主題相關圖片如下:


按此查看圖片詳細資料
此主題相關圖片如下:


按此查看圖片詳細資料
東方隱脈葉蟬 Sophonia orientalis
此主題相關圖片如下:


按此查看圖片詳細資料
此主題相關圖片如下:


按此查看圖片詳細資料
|
頂部 |
| swing57 |
發表於: 2009/05/28 10:39pm
|
白天觀察到的蛾.
此主題相關圖片如下:


按此查看圖片詳細資料
此主題相關圖片如下:


按此查看圖片詳細資料
此主題相關圖片如下:


按此查看圖片詳細資料
此主題相關圖片如下:


按此查看圖片詳細資料
此主題相關圖片如下:


按此查看圖片詳細資料
此主題相關圖片如下:


按此查看圖片詳細資料
|
頂部 |
| swing57 |
發表於: 2009/05/28 10:42pm
|
此主題相關圖片如下:


按此查看圖片詳細資料
此主題相關圖片如下:


按此查看圖片詳細資料
此主題相關圖片如下:


按此查看圖片詳細資料
此主題相關圖片如下:


按此查看圖片詳細資料
此主題相關圖片如下:


按此查看圖片詳細資料
此主題相關圖片如下:


按此查看圖片詳細資料
|
頂部 |
| swing57 |
發表於: 2009/05/29 09:46pm
|
水生昆蟲上岸前.
此主題相關圖片如下:


按此查看圖片詳細資料
此主題相關圖片如下:


按此查看圖片詳細資料
此主題相關圖片如下:


按此查看圖片詳細資料
此主題相關圖片如下:


按此查看圖片詳細資料
此主題相關圖片如下:


按此查看圖片詳細資料
此主題相關圖片如下:


按此查看圖片詳細資料
|
頂部 |
| swing57 |
發表於: 2009/05/29 10:08pm
|
水生昆蟲上岸後感覺它的生命相當脆弱,有一隻馬上翻白肚,拍完後還是趕緊放回去.
此主題相關圖片如下:


按此查看圖片詳細資料
此主題相關圖片如下:


按此查看圖片詳細資料
此主題相關圖片如下:


按此查看圖片詳細資料
此主題相關圖片如下:


按此查看圖片詳細資料
此主題相關圖片如下:


按此查看圖片詳細資料
此主題相關圖片如下:


按此查看圖片詳細資料
|
頂部 |
| swing57 |
發表於: 2009/05/29 10:13pm
|
此主題相關圖片如下:


按此查看圖片詳細資料
此主題相關圖片如下:


按此查看圖片詳細資料
此主題相關圖片如下:


按此查看圖片詳細資料
此主題相關圖片如下:


按此查看圖片詳細資料
此主題相關圖片如下:


按此查看圖片詳細資料
此主題相關圖片如下:


按此查看圖片詳細資料
若有玻璃鏡面來看很漂亮眼睛大大像條魚,可惜手邊沒這樣的東西. |
頂部 |
| swing57 |
發表於: 2009/05/30 11:11pm
|
幾種不常見天牛及會訪花的花天牛.
此主題相關圖片如下:


按此查看圖片詳細資料
此主題相關圖片如下:


按此查看圖片詳細資料
此主題相關圖片如下:


按此查看圖片詳細資料
此主題相關圖片如下:


按此查看圖片詳細資料
此主題相關圖片如下:


按此查看圖片詳細資料
此主題相關圖片如下:


按此查看圖片詳細資料
|
頂部 |
| agalope |
發表於: 2009/05/31 08:03am
|
[這篇文章最後由agalope在 2009/05/31 08:05am 第 1 次編輯]
水中那些--->橫紋划椿 Sigara substriata ? |
頂部 |
| agalope |
發表於: 2009/05/31 06:14pm
|
天牛: 1--Dicelosternus corallinus紅艷天牛 2--Chlorophorus signaticollis曲紋虎天牛? 3--Acalolepta sublusca maculihumera肩紋絨毛天牛 4-6--Chlorophorus annularis竹虎天牛 |
頂部 |
| swing57 |
發表於: 2009/05/31 11:30pm
|
下面引用由agalope在 2009/05/31 06:14pm 發表的內容: 天牛: 1--Dicelosternus corallinus紅艷天牛 2--Chlorophorus signaticollis曲紋虎天牛? 3--Acalolepta sublusca maculihumera肩紋絨毛天牛 ...
|
|
謝謝讓我對它們又有更深一層的了解.
下面引用由JJ-Merry在 2009/05/31 09:50pm 發表的內容: 有深度的好帖~
|
|
我沒跑遠都是生活周遭的事物,只是放慢腳步去觀察它們. 對了你拍的照片很棒好有質感我很喜歡. |
頂部 |
| swing57 |
發表於: 2009/05/31 11:33pm
|
我們常吃的蔬菜,可能很多人不認識它.
此主題相關圖片如下:


按此查看圖片詳細資料
此主題相關圖片如下:


按此查看圖片詳細資料
此主題相關圖片如下:


按此查看圖片詳細資料
此主題相關圖片如下:


按此查看圖片詳細資料
此主題相關圖片如下:


按此查看圖片詳細資料
此主題相關圖片如下:


按此查看圖片詳細資料
|
頂部 |
| swing57 |
發表於: 2009/05/31 11:37pm
|
此主題相關圖片如下:


按此查看圖片詳細資料
此主題相關圖片如下:


按此查看圖片詳細資料
此主題相關圖片如下:


按此查看圖片詳細資料
此主題相關圖片如下:


按此查看圖片詳細資料
此主題相關圖片如下:


按此查看圖片詳細資料
此主題相關圖片如下:


按此查看圖片詳細資料
將它最美麗的時候給記錄下來. |
頂部 |
| swing57 |
發表於: 2009/06/01 11:30pm
|
築巢
此主題相關圖片如下:


按此查看圖片詳細資料
此主題相關圖片如下:


按此查看圖片詳細資料
此主題相關圖片如下:


按此查看圖片詳細資料
此主題相關圖片如下:


按此查看圖片詳細資料
|
頂部 |
| swing57 |
發表於: 2009/06/01 11:33pm
|
[這篇文章最後由swing57在 2009/06/02 09:50pm 第 2 次編輯]
群聚
此主題相關圖片如下:


按此查看圖片詳細資料
此主題相關圖片如下:


按此查看圖片詳細資料
此主題相關圖片如下:


按此查看圖片詳細資料
此主題相關圖片如下:


按此查看圖片詳細資料
此主題相關圖片如下:


按此查看圖片詳細資料
此主題相關圖片如下:


按此查看圖片詳細資料
|
頂部 |
| swing57 |
發表於: 2009/06/02 10:32pm
|
八隻腳的很會動不好對焦.
此主題相關圖片如下:


按此查看圖片詳細資料
此主題相關圖片如下:


按此查看圖片詳細資料
此主題相關圖片如下:


按此查看圖片詳細資料
此主題相關圖片如下:


按此查看圖片詳細資料
此主題相關圖片如下:


按此查看圖片詳細資料
此主題相關圖片如下:


按此查看圖片詳細資料
|
頂部 |
| swing57 |
發表於: 2009/06/02 10:35pm
|
此主題相關圖片如下:


按此查看圖片詳細資料
此主題相關圖片如下:


按此查看圖片詳細資料
此主題相關圖片如下:


按此查看圖片詳細資料
此主題相關圖片如下:


按此查看圖片詳細資料
此主題相關圖片如下:


按此查看圖片詳細資料
此主題相關圖片如下:


按此查看圖片詳細資料
它的太陽眼鏡是不是很酷. |
頂部 |
| swing57 |
發表於: 2009/06/03 11:37pm
|
此主題相關圖片如下:


按此查看圖片詳細資料
此主題相關圖片如下:


按此查看圖片詳細資料
台灣懸鉤子上發現的怪蟲.
此主題相關圖片如下:


按此查看圖片詳細資料
此主題相關圖片如下:


按此查看圖片詳細資料
飲料我請吸管自備.
此主題相關圖片如下:


按此查看圖片詳細資料
此主題相關圖片如下:


按此查看圖片詳細資料
|
頂部 |
| swing57 |
發表於: 2009/06/07 11:01pm
|
雙宿雙飛
此主題相關圖片如下:


按此查看圖片詳細資料
此主題相關圖片如下:


按此查看圖片詳細資料
此主題相關圖片如下:


按此查看圖片詳細資料
此主題相關圖片如下:


按此查看圖片詳細資料
|
頂部 |
| swing57 |
發表於: 2009/06/09 00:49am
|
[這篇文章最後由swing57在 2009/06/09 00:51am 第 1 次編輯]
看得出胡蜂在吃什麼嗎?
此主題相關圖片如下:


按此查看圖片詳細資料
此主題相關圖片如下:


按此查看圖片詳細資料
此主題相關圖片如下:


按此查看圖片詳細資料
誰又成為螳螂的早餐?
此主題相關圖片如下:


按此查看圖片詳細資料
此主題相關圖片如下:


按此查看圖片詳細資料
此主題相關圖片如下:


按此查看圖片詳細資料
|
頂部 |
| swing57 |
發表於: 2009/06/09 11:08pm
|
最近開花的酸藤.
此主題相關圖片如下:


按此查看圖片詳細資料
此主題相關圖片如下:


按此查看圖片詳細資料
此主題相關圖片如下:


按此查看圖片詳細資料
此主題相關圖片如下:


按此查看圖片詳細資料
|
頂部 |
| swing57 |
發表於: 2009/06/11 00:04am
|
一些小型蝶.
此主題相關圖片如下:


按此查看圖片詳細資料
此主題相關圖片如下:


按此查看圖片詳細資料
此主題相關圖片如下:


按此查看圖片詳細資料
此主題相關圖片如下:


按此查看圖片詳細資料
此主題相關圖片如下:


按此查看圖片詳細資料
此主題相關圖片如下:


按此查看圖片詳細資料
|
頂部 |
| swing57 |
發表於: 2009/06/12 00:48am
|
山羊耳又叫「羊舌樹」為灰木科之常綠小喬木.
此主題相關圖片如下:


按此查看圖片詳細資料
此主題相關圖片如下:


按此查看圖片詳細資料
此主題相關圖片如下:


按此查看圖片詳細資料
此主題相關圖片如下:


按此查看圖片詳細資料
|
頂部 |
| swing57 |
發表於: 2009/06/12 00:53am
|
同時它也是臺灣螢斑蛾/白帶白斑蛾的食草之一.
此主題相關圖片如下:


按此查看圖片詳細資料
此主題相關圖片如下:


按此查看圖片詳細資料
此主題相關圖片如下:


按此查看圖片詳細資料
|
頂部 |
| swing57 |
發表於: 2009/06/13 10:39pm
|
黃邊綠姬鬼蛛脫皮.
此主題相關圖片如下:


按此查看圖片詳細資料
此主題相關圖片如下:


按此查看圖片詳細資料
此主題相關圖片如下:


按此查看圖片詳細資料
此主題相關圖片如下:


按此查看圖片詳細資料
此主題相關圖片如下:


按此查看圖片詳細資料
此主題相關圖片如下:


按此查看圖片詳細資料
|
頂部 |
| swing57 |
發表於: 2009/06/13 10:57pm
|
脫了皮的蜘蛛是最脆弱的.
此主題相關圖片如下:


按此查看圖片詳細資料
螞蟻剛好路過.
此主題相關圖片如下:


按此查看圖片詳細資料
此主題相關圖片如下:


按此查看圖片詳細資料
此主題相關圖片如下:


按此查看圖片詳細資料
此主題相關圖片如下:


按此查看圖片詳細資料
此主題相關圖片如下:


按此查看圖片詳細資料
|
頂部 |
| swing57 |
發表於: 2009/06/13 11:06pm
|
螞蟻越聚越多.
此主題相關圖片如下:


按此查看圖片詳細資料
此主題相關圖片如下:


按此查看圖片詳細資料
此主題相關圖片如下:


按此查看圖片詳細資料
此主題相關圖片如下:


按此查看圖片詳細資料
此主題相關圖片如下:


按此查看圖片詳細資料
這種螞蟻好像不是很合群,搶到獵物就以跑百米速度離開怕被分一杯羹.
此主題相關圖片如下:


按此查看圖片詳細資料
|
頂部 |
| swing57 |
發表於: 2009/06/14 11:30pm
|
不知這棵烏桕有何媚力一堆渡邊長吻白蠟蟬又來報到了,它樣子怪飛行模式也怪好像在玩高空彈跳.
此主題相關圖片如下:


按此查看圖片詳細資料
此主題相關圖片如下:


按此查看圖片詳細資料
此主題相關圖片如下:


按此查看圖片詳細資料
此主題相關圖片如下:


按此查看圖片詳細資料
此主題相關圖片如下:


按此查看圖片詳細資料
|
頂部 |
| swing57 |
發表於: 2009/06/17 00:51am
|
此主題相關圖片如下:


按此查看圖片詳細資料
此主題相關圖片如下:


按此查看圖片詳細資料
此主題相關圖片如下:


按此查看圖片詳細資料
此主題相關圖片如下:


按此查看圖片詳細資料
此主題相關圖片如下:


按此查看圖片詳細資料
|
頂部 |
| swing57 |
發表於: 2009/06/20 01:07am
|
[這篇文章最後由swing57在 2009/06/22 01:17am 第 1 次編輯]
此主題相關圖片如下:


按此查看圖片詳細資料
此主題相關圖片如下:


按此查看圖片詳細資料
此主題相關圖片如下:


按此查看圖片詳細資料
|
頂部 |
| swing57 |
發表於: 2009/06/22 01:21am
|
長角蛉
此主題相關圖片如下:


按此查看圖片詳細資料
此主題相關圖片如下:


按此查看圖片詳細資料
此主題相關圖片如下:


按此查看圖片詳細資料
此主題相關圖片如下:


按此查看圖片詳細資料
此主題相關圖片如下:


按此查看圖片詳細資料
此主題相關圖片如下:


按此查看圖片詳細資料
|
頂部 |
| swing57 |
發表於: 2009/06/22 11:44pm
|
山上的綠繡眼只看到兩週,第三週只剩空巢.
此主題相關圖片如下:


按此查看圖片詳細資料
此主題相關圖片如下:


按此查看圖片詳細資料
此主題相關圖片如下:


按此查看圖片詳細資料
|
頂部 |
| swing57 |
發表於: 2009/06/25 00:19am
|
大砲太貴買不起普通鏡頭勉強拍"斑鳩"
此主題相關圖片如下:


按此查看圖片詳細資料
|
頂部 |
| 晨曦青嵐 |
發表於: 2009/06/25 06:24pm
|
| 哇...超可愛的綠鏽眼寶寶 |
頂部 |
| swing57 |
發表於: 2009/06/26 06:14pm
|
呵呵~我是有看到母烏才知道答案啦.
夏天是蜂築巢的季節到野外得小心不要動作太大或亂搖樹木以免被叮得滿頭庖甚至會有生命危險.
此主題相關圖片如下:


按此查看圖片詳細資料
此主題相關圖片如下:


按此查看圖片詳細資料
此主題相關圖片如下:


按此查看圖片詳細資料
此主題相關圖片如下:


按此查看圖片詳細資料
此主題相關圖片如下:


按此查看圖片詳細資料
此主題相關圖片如下:


按此查看圖片詳細資料
|
頂部 |
| swing57 |
發表於: 2009/06/28 00:39am
|
包在柿葉裡的蜘蛛請它出來亮相.
此主題相關圖片如下:


按此查看圖片詳細資料
此主題相關圖片如下:


按此查看圖片詳細資料
此主題相關圖片如下:


按此查看圖片詳細資料
此主題相關圖片如下:


按此查看圖片詳細資料
此主題相關圖片如下:


按此查看圖片詳細資料
此主題相關圖片如下:


按此查看圖片詳細資料
|
頂部 |
| swing57 |
發表於: 2009/06/28 11:27pm
|
[這篇文章最後由swing57在 2009/06/28 11:31pm 第 1 次編輯]
美麗花朵隱藏危機.
此主題相關圖片如下:


按此查看圖片詳細資料
此主題相關圖片如下:


按此查看圖片詳細資料
此主題相關圖片如下:


按此查看圖片詳細資料
此主題相關圖片如下:


按此查看圖片詳細資料
此主題相關圖片如下:


按此查看圖片詳細資料
此主題相關圖片如下:


按此查看圖片詳細資料
|
頂部 |
| swing57 |
發表於: 2009/06/29 10:20pm
|
睡午覺的蝙蝠.
此主題相關圖片如下:


按此查看圖片詳細資料
此主題相關圖片如下:


按此查看圖片詳細資料
此主題相關圖片如下:


按此查看圖片詳細資料
此主題相關圖片如下:


按此查看圖片詳細資料
此主題相關圖片如下:


按此查看圖片詳細資料
|
頂部 |
| swing57 |
發表於: 2009/06/29 10:23pm
|
一副睡眼惺忪的樣子.
此主題相關圖片如下:


按此查看圖片詳細資料
此主題相關圖片如下:


按此查看圖片詳細資料
此主題相關圖片如下:


按此查看圖片詳細資料
此主題相關圖片如下:


按此查看圖片詳細資料
此主題相關圖片如下:


按此查看圖片詳細資料
|
頂部 |
| swing57 |
發表於: 2009/07/01 00:54am
|
[這篇文章最後由swing57在 2009/07/02 01:48pm 第 1 次編輯]
第一次入鏡的綠底小灰蝶,比一般灰蝶大快跟台灣粉蝶一樣大了,它是吃山黃梔果實的,改天可以留意一下.
此主題相關圖片如下:


按此查看圖片詳細資料
此主題相關圖片如下:


按此查看圖片詳細資料
這種蝶常看到但褐斑面積大了些.
此主題相關圖片如下:


按此查看圖片詳細資料
此主題相關圖片如下:


按此查看圖片詳細資料
|
頂部 |
| swing57 |
發表於: 2009/07/03 07:22pm
|
[這篇文章最後由swing57在 2009/07/03 07:54pm 第 1 次編輯]
沫蟬 Cosmoscarta rubroscutellata Matsumua.
此主題相關圖片如下:


按此查看圖片詳細資料
此主題相關圖片如下:


按此查看圖片詳細資料
此主題相關圖片如下:


按此查看圖片詳細資料
此主題相關圖片如下:


按此查看圖片詳細資料
此主題相關圖片如下:


按此查看圖片詳細資料
此主題相關圖片如下:


按此查看圖片詳細資料
|
頂部 |
| swing57 |
發表於: 2009/07/04 10:53am
|
只有0.6cm左右的小蜘蛛(紅鳥糞蛛).
此主題相關圖片如下:


按此查看圖片詳細資料
此主題相關圖片如下:


按此查看圖片詳細資料
此主題相關圖片如下:


按此查看圖片詳細資料
此主題相關圖片如下:


按此查看圖片詳細資料
|
頂部 |
| swing57 |
發表於: 2009/07/06 00:18am
|
[這篇文章最後由swing57在 2010/07/07 07:30am 第 1 次編輯]
蠟蟬的若蟲看起來像小蝦米.
此主題相關圖片如下:


按此查看圖片詳細資料
此主題相關圖片如下:


按此查看圖片詳細資料
綠瓢蠟蟬 Tonga westwoodi (Signoret ,1862) |
頂部 |
| swing57 |
發表於: 2009/07/06 09:04pm
|
[這篇文章最後由swing57在 2009/07/06 09:07pm 第 1 次編輯]
蛻變~
此主題相關圖片如下:


按此查看圖片詳細資料
此主題相關圖片如下:


按此查看圖片詳細資料
此主題相關圖片如下:


按此查看圖片詳細資料
|
頂部 |
| swing57 |
發表於: 2009/07/07 10:55pm
|
大琉璃食蟲虻Microstylum oberthiiri
此主題相關圖片如下:


按此查看圖片詳細資料
此主題相關圖片如下:


按此查看圖片詳細資料
此主題相關圖片如下:


按此查看圖片詳細資料
此主題相關圖片如下:


按此查看圖片詳細資料
|
頂部 |
| swing57 |
發表於: 2009/07/08 10:47pm
|
它不是鍬形蟲好像是肉食性的步行蟲,被它喀掉的是象鼻蟲.
此主題相關圖片如下:


按此查看圖片詳細資料
此主題相關圖片如下:


按此查看圖片詳細資料
|
頂部 |
| swing57 |
發表於: 2009/07/11 02:45pm
|
不擅飛行的小山紅頭掉到馬路上,雖然這條路人車不多但還是停車把它趕到安全的地方,一旁的母鳥非常焦急.
此主題相關圖片如下:


按此查看圖片詳細資料
此主題相關圖片如下:


按此查看圖片詳細資料
此主題相關圖片如下:


按此查看圖片詳細資料
此主題相關圖片如下:


按此查看圖片詳細資料
此主題相關圖片如下:


按此查看圖片詳細資料
此主題相關圖片如下:


按此查看圖片詳細資料
|
頂部 |
| swing57 |
發表於: 2009/07/12 05:16pm
|
虎頭蜂偶而也吃素.
此主題相關圖片如下:


按此查看圖片詳細資料
此主題相關圖片如下:


按此查看圖片詳細資料
此主題相關圖片如下:


按此查看圖片詳細資料
此主題相關圖片如下:


按此查看圖片詳細資料
此主題相關圖片如下:


按此查看圖片詳細資料
此主題相關圖片如下:


按此查看圖片詳細資料
|
頂部 |
| swing57 |
發表於: 2009/07/13 09:14pm
|
蟻蛛(雄)太會跑鏡頭追不上它.
此主題相關圖片如下:


按此查看圖片詳細資料
此主題相關圖片如下:


按此查看圖片詳細資料
此主題相關圖片如下:


按此查看圖片詳細資料
|
頂部 |
| swing57 |
發表於: 2009/07/18 00:07am
|
我喜歡的蝶種之一.
此主題相關圖片如下:


按此查看圖片詳細資料
|
頂部 |
| swing57 |
發表於: 2009/07/18 11:47pm
|
紅冠水雞覓食.
此主題相關圖片如下:


按此查看圖片詳細資料
被我嚇飛了.
此主題相關圖片如下:


按此查看圖片詳細資料
此主題相關圖片如下:


按此查看圖片詳細資料
|
頂部 |
| swing57 |
發表於: 2009/07/19 10:25pm
|
獵物跟自己一樣大照樣連飛帶拖搬走.
此主題相關圖片如下:


按此查看圖片詳細資料
此主題相關圖片如下:


按此查看圖片詳細資料
此主題相關圖片如下:


按此查看圖片詳細資料
此主題相關圖片如下:


按此查看圖片詳細資料
|
頂部 |
| swing57 |
發表於: 2009/07/21 11:39pm
|
[這篇文章最後由swing57在 2009/07/22 11:37pm 第 1 次編輯]
這種椿象有像藝術品嗎?
此主題相關圖片如下:


按此查看圖片詳細資料
|
頂部 |
| swing57 |
發表於: 2009/07/22 11:34pm
|
薄翅蟬&台灣騷蟬(雄)
此主題相關圖片如下:


按此查看圖片詳細資料
此主題相關圖片如下:


按此查看圖片詳細資料
此主題相關圖片如下:


按此查看圖片詳細資料
|
頂部 |
| swing57 |
發表於: 2009/07/25 10:23pm
|
紅擬豹斑蝶好像在找適當的地方下蛋.
此主題相關圖片如下:


按此查看圖片詳細資料
此主題相關圖片如下:


按此查看圖片詳細資料
此主題相關圖片如下:


按此查看圖片詳細資料
此主題相關圖片如下:


按此查看圖片詳細資料
此主題相關圖片如下:


按此查看圖片詳細資料
|
頂部 |
| swing57 |
發表於: 2009/08/01 09:59pm
|
一直不停的收翅展翅.
此主題相關圖片如下:


按此查看圖片詳細資料
此主題相關圖片如下:


按此查看圖片詳細資料
此主題相關圖片如下:


按此查看圖片詳細資料
此主題相關圖片如下:


按此查看圖片詳細資料
|
頂部 |
| swing57 |
發表於: 2009/08/04 00:04am
|
水上舞者.
此主題相關圖片如下:


按此查看圖片詳細資料
此主題相關圖片如下:


按此查看圖片詳細資料
此主題相關圖片如下:


按此查看圖片詳細資料
此主題相關圖片如下:


按此查看圖片詳細資料
此主題相關圖片如下:


按此查看圖片詳細資料
|
頂部 |
| swing57 |
發表於: 2009/08/16 08:33pm
|
掛網的綠繡眼又慘遭人面蜘蛛下毒,看到時還在掙扎等到被咬後以為它已經一命嗚呼.
此主題相關圖片如下:


按此查看圖片詳細資料
此主題相關圖片如下:


按此查看圖片詳細資料
此主題相關圖片如下:


按此查看圖片詳細資料
此主題相關圖片如下:


按此查看圖片詳細資料
此主題相關圖片如下:


按此查看圖片詳細資料
|
頂部 |
| swing57 |
發表於: 2009/08/16 08:41pm
|
劫後餘生 20分鐘後回頭再看一下發現它還在動於是把它搶救下來,不太會飛應該是剛離巢的幼鳥又沒看到親鳥先帶回家調養一兩天再野放.
此主題相關圖片如下:


按此查看圖片詳細資料
此主題相關圖片如下:


按此查看圖片詳細資料
此主題相關圖片如下:


按此查看圖片詳細資料
|
頂部 |
| swing57 |
發表於: 2009/08/22 10:42pm
|
水池裡的澤蛙及小雨蛙.
此主題相關圖片如下:


按此查看圖片詳細資料
此主題相關圖片如下:


按此查看圖片詳細資料
此主題相關圖片如下:


按此查看圖片詳細資料
此主題相關圖片如下:


按此查看圖片詳細資料
此主題相關圖片如下:


按此查看圖片詳細資料
此主題相關圖片如下:


按此查看圖片詳細資料
|
頂部 |
| swing57 |
發表於: 2009/08/24 11:52pm
|
倒木就是它們的家,別看它模樣怪但很温馴不會主動攻擊人.
此主題相關圖片如下:


按此查看圖片詳細資料
此主題相關圖片如下:


按此查看圖片詳細資料
此主題相關圖片如下:


按此查看圖片詳細資料
此主題相關圖片如下:


按此查看圖片詳細資料
此主題相關圖片如下:


按此查看圖片詳細資料
此主題相關圖片如下:


按此查看圖片詳細資料
|
頂部 |
| swing57 |
發表於: 2009/08/28 03:02pm
|
貪玩的它們可能天氣太熱想泡水或者是追逐獵物紛紛跳進盛水的桶子裡,水一天一天的往下陷也因此被困在水桶裡,游累了就爬到黑眶蟾蜍背上當浮板休息.
此主題相關圖片如下:


按此查看圖片詳細資料
此主題相關圖片如下:


按此查看圖片詳細資料
此主題相關圖片如下:


按此查看圖片詳細資料
此主題相關圖片如下:


按此查看圖片詳細資料
此主題相關圖片如下:


按此查看圖片詳細資料
此主題相關圖片如下:


按此查看圖片詳細資料
|
頂部 |
| swing57 |
發表於: 2009/08/31 11:42pm
|
夏末的虎頭蜂蜂窩雖不見成群虎頭蜂依然還有殺傷力.
此主題相關圖片如下:


按此查看圖片詳細資料
此主題相關圖片如下:


按此查看圖片詳細資料
|
頂部 |
| swing57 |
發表於: 2009/09/01 11:52pm
|
人面蜘蛛的早餐.
此主題相關圖片如下:


按此查看圖片詳細資料
此主題相關圖片如下:


按此查看圖片詳細資料
此主題相關圖片如下:


按此查看圖片詳細資料
|
頂部 |
| robwu |
發表於: 2009/09/03 09:32am
|
下面引用由swing57在 2009/08/31 11:42pm 發表的內容: 夏末的虎頭蜂蜂窩雖不見成群虎頭蜂依然還有殺傷力.
|
|
swing57大 那我收藏在陽台的也是虎頭蜂窩,而不是"甕阿香"的窩歐 "甕阿香"的窩就同一個漂亮的甕一樣曲線好美,而且只留底下一個出口,難怪我始終節覺得怪怪的.
此主題相關圖片如下:


按此查看圖片詳細資料
此主題相關圖片如下:


按此查看圖片詳細資料
|
頂部 |
| swing57 |
發表於: 2009/09/04 09:50pm
|
[這篇文章最後由swing57在 2009/10/19 11:21am 第 1 次編輯]
下面引用由robwu在 2009/09/03 09:32am 發表的內容: swing57大 那我收藏在陽台的也是虎頭蜂窩,而不是"甕阿香"的窩歐 "甕阿香"的窩就同一個漂亮的甕一樣曲線好美,而且只留底下一個出口,難怪我始終節覺得怪怪的.
|
|
住在家裡看了有點怕怕的國中時不小心誤觸到它們被叮十幾針躺了一星期最慘的一次,收藏這個殺傷力沒那麼強頂多眼皮嘴唇腫起來而已.
此主題相關圖片如下:


按此查看圖片詳細資料
|
頂部 |
| css1357 |
發表於: 2009/09/11 01:27pm
|
前輩 : 這樣的分享 非常謝謝!! ( 拍的那麼 ..美 真讓人無法停下腳步 ) |
頂部 |
| swing57 |
發表於: 2009/10/10 09:21pm
|
[這篇文章最後由swing57在 2009/10/11 09:58pm 第 4 次編輯]
到我常去的地點拍生態偶遇捕蜂人,想不到那裡居然是虎頭蜂的大本營短短的距離就有兩窩是不同品種的,大的據他們的描述約有30~40台斤上萬隻蜂,他們說今年可能氣候異常蜂窩特別多5天就收了20幾窩比起往年多了許多. 以前一直被誤導蜂窩會延續幾年,其實只有家蜂才會有這種現象,蜂窩的大小取決於它的族群大小一般在清明之後二稻作成熟時平地的便結束,高一點的地方稍晚,另外他們也提到有一種台灣大虎頭蜂是築巢在地底下的最大有一米多,這個季節最好別隨便走入雜木林中以免發生危險. 捕蜂人裝備:安全帽、望遠鏡、電鋸、塑膠袋、塑膠網、氨水、手套..... 掉下來的蜂窩他們不會馬上帶走,會等到晚上蜂都回巢才來取回,他們多少也會被螫到所以會帶氨水以備不時之需,只塗抹不要揉不然傷口會腐爛. 蜂也有蜂道有一定的行徑路線捕蜂人說出去或回巢的蜂也能分辨飛行姿勢會不一樣,這 窩他們已經追蹤一個多星期了.(沒有長鏡頭勉強拍一下)
此主題相關圖片如下:


按此查看圖片詳細資料
此主題相關圖片如下:


按此查看圖片詳細資料
此主題相關圖片如下:


按此查看圖片詳細資料
此主題相關圖片如下:


按此查看圖片詳細資料
這是虎頭蜂裡最兇悍的品種.
此主題相關圖片如下:


按此查看圖片詳細資料
※虎頭蜂會選擇背風及太陽西下最後一道夕陽照得到的地方築巢.
台灣大虎頭蜂 http://www.tbg.idv.tw/tbgweb/cgi-bin/topic.cgi?forum=2&topic=3330 |
頂部 |
| robwu |
發表於: 2009/10/10 10:39pm
|
swing57大你好像好久好久沒貼圖了?
台灣大虎頭蜂的圖片,我很像今天有看到,在我種的唐棉採蜜還是採花粉,搶食時兩隻還在打架呢.
那一般的虎頭蜂窩會用多久,我還以為我陽台那個虎頭蜂窩是"太熱"蜂才飛走的. |
頂部 |
| swing57 |
發表於: 2009/10/10 11:29pm
|
下面引用由robwu在 2009/10/10 10:39pm 發表的內容: swing57大你好像好久好久沒貼圖了? 台灣大虎頭蜂的圖片,我很像今天有看到,在我種的唐棉採蜜還是採花粉,搶食時兩隻還在打架呢. 那一般的虎頭蜂窩會用多久,我還以為我陽台那個虎頭蜂窩是"太熱"蜂才飛走的.
|
|
有一段時間沒出去拍啦~ 聽他們說到冬天就結束了大都會死亡.
|
頂部 |
| swing57 |
發表於: 2009/10/11 09:51pm
|
紅嘴黑鵯群聚枝頭.
此主題相關圖片如下:


按此查看圖片詳細資料
此主題相關圖片如下:


按此查看圖片詳細資料
此主題相關圖片如下:


按此查看圖片詳細資料
此主題相關圖片如下:


按此查看圖片詳細資料
此主題相關圖片如下:


按此查看圖片詳細資料
|
頂部 |
| swing57 |
發表於: 2009/10/13 11:20pm
|
愛的抱抱~ 聽說之後公的會被母的給喀掉.
此主題相關圖片如下:


按此查看圖片詳細資料
此主題相關圖片如下:


按此查看圖片詳細資料
|
頂部 |
| swing57 |
發表於: 2009/10/17 10:33am
|
整理落葉被我不小心一把抓起的紅斑蛇(無毒),它躲在落葉堆裡可能天氣漸冷找暖一點的地方休息,看到它時我也嚇一跳查了資料知道是隻無毒蛇,但作勢要咬人的樣子也挻嚇人的.
此主題相關圖片如下:


按此查看圖片詳細資料
此主題相關圖片如下:


按此查看圖片詳細資料
此主題相關圖片如下:


按此查看圖片詳細資料
此主題相關圖片如下:


按此查看圖片詳細資料
|
頂部 |
| swing57 |
發表於: 2009/10/17 10:40am
|
對了整理落葉還是要特別小心,最好先撥動一下別像我一樣直接用手去清理. 這隻還算是幼蛇(比幼蛇大一些),大概出生幾個月而已.
此主題相關圖片如下:


按此查看圖片詳細資料
此主題相關圖片如下:


按此查看圖片詳細資料
此主題相關圖片如下:


按此查看圖片詳細資料
此主題相關圖片如下:


按此查看圖片詳細資料
|
頂部 |
| 果林 |
發表於: 2009/11/07 09:08am
|
下面引用由swing57在 2009/10/10 11:29pm 發表的內容: 有一段時間沒出去拍啦~ 聽他們說到冬天就結束了大都會死亡.
|
|
常看到捕蜂相關新聞 捕蜂人的戰利品,千萬隻的蜂屍,滿滿一盆....
在思考,如此抄家滅族的手法把"害蟲"除掉 拿來泡酒治病強身 感覺與蠻族無異
|
頂部 |
| swing57 |
發表於: 2009/11/11 10:47pm
|
中國人喜歡聽信偏方什麼越毒越好越有效才會造就這班捕蜂人,若沒有需求那來的捕蜂人,蜂窩高高掛在樹上你不去惹它,它也不會來侵犯你.
大蚊
此主題相關圖片如下:


按此查看圖片詳細資料
此主題相關圖片如下:


按此查看圖片詳細資料
此主題相關圖片如下:


按此查看圖片詳細資料
|
頂部 |
| swing57 |
發表於: 2010/01/12 00:12am
|
[這篇文章最後由swing57在 2010/01/12 00:19am 第 1 次編輯]
喂~你知道塔內可能即將要吹熄燈號的消息嗎?
此主題相關圖片如下:


按此查看圖片詳細資料
什麼?那麼重大的事情為什麼現在才告訴我.
此主題相關圖片如下:


按此查看圖片詳細資料
拜託!有需要反應如此劇烈嗎?
此主題相關圖片如下:


按此查看圖片詳細資料
我可是忠實會員三不五時都會上來看看,它要關我舉雙手反對.
此主題相關圖片如下:


按此查看圖片詳細資料
不知大家是否已經想出好的解決對策?
此主題相關圖片如下:


按此查看圖片詳細資料
哎~真的不想再尋尋覓覓了,我可愛的小窩.
此主題相關圖片如下:


按此查看圖片詳細資料
|
頂部 |
| 月季 |
發表於: 2010/01/14 09:44pm
|
我舉雙手反對那一張好像! 真有趣~ |
頂部 |
| robwu |
發表於: 2010/01/15 03:27pm
|
下面引用由swing57在 2010/01/12 00:12am 發表的內容: 喂~你知道塔內可能即將要吹熄燈號的消息嗎? 什麼?那麼重大的事情為什麼現在才告訴我. 拜託!有需要反應如此劇烈嗎? 我可是忠實會員三不五時都會上來看看,它要關我舉雙手反對. ...
|
|
好多大大 前輩正在努力,希望塔內可以繼續. swing57大你也偷懶2個月了! 哈哈!
貼一條上週被鄰居整地趕出來躲在曇花下好大隻的龜殼花.
此主題相關圖片如下:


按此查看圖片詳細資料
此主題相關圖片如下:


按此查看圖片詳細資料
|
頂部 |
| swing57 |
發表於: 2010/01/15 10:53pm
|
下面引用由月季在 2010/01/14 09:44pm 發表的內容: 我舉雙手反對那一張好像! 真有趣~
|
|
之前曾拍過鴨子在水中追逐嬉戲覺得蠻有趣,所以只要有機會看到池中的鴨子都會不由自主的拍上幾張,其實是想拍它激起水花的霎那但又怕相機被弄溼了只好站得遠遠的.
下面引用由robwu在 2010/01/15 03:27pm 發表的內容: 好多大大 前輩正在努力,希望塔內可以繼續. swing57大你也偷懶2個月了! 哈哈! 貼一條上週被鄰居整地趕出來躲在曇花下好大隻的龜殼花.
|
|
電腦只懂皮毛使不上力只好"澱澱"的,不過還是希望它延續下去,不然我又少了一個可以閒逛的地方了. 確實偷懶好一段時間,不能怪我啊天氣好冷每當放假日老天就給我臉色,害我都不敢出門. 看到龜殼花我就想到有一回差點慘遭蛇吻,以前新竹的老家時常會有蛇入侵,由於屋後是竹林及油桐樹林,一年當中總會來個3~5條且是毒蛇居多,用餐時雨傘節會從你腳下爬過,龜殼花那次真的很險它盤據在餐桌的橫桿誤以為是塊抹布,正要下手去拿的時候才恍然大悟看清楚原來是條龜殼花,但這幾年想遇到蛇的機會變少了許多. |
頂部 |
| robwu |
發表於: 2010/01/15 11:19pm
|
| 我在竹子山當兵聽說日據時代是毒蛇研究中心之一,那裡的"特產"就是龜殼花想不見到它們都很困難,"很多"只是都不大隻,當兵3年就遇過一次友軍被咬送急診,上週我遇到這隻真的讓我嚇一跳很大隻且差一步就可能被咬! |
頂部 |
| 晨曦青嵐 |
發表於: 2010/01/16 07:33pm
|
下面引用由swing57在 2010/01/15 10:53pm 發表的內容: 電腦只懂皮毛使不上力只好"澱澱"的,不過還是希望它延續下去,不然我又少了一個可以閒逛的地方了. 確實偷懶好一段時間,不能怪我啊天氣好冷每當放假日老天就給我臉色,害我都不敢出門. 看到龜殼花我就想到有一回差點慘遭蛇吻,以前新竹的老家時常會有蛇入侵,由於屋後是竹林及油桐樹林,一年當中總會來個3~5條且是毒蛇居多,用餐時雨傘節會從你腳下爬過,龜殼花那次真的很險它盤據在餐桌的橫桿誤以為是塊抹布,正要下手去拿的時候才恍然大悟看清楚原來是條龜殼花,但這幾年想遇到蛇的機會變少了許多.
|
|
好像住家裡出沒的都是毒蛇耶, 我埔里老家也是蛇窟, 以前睡覺時有時也會有毒蛇從屋頂掉到床上 ,但是從沒聽過家人有被蛇吻過, 後來蛇越來越多 ,到最後實在受不了了, 只好把屋頂釘天花板密封, |
頂部 |
| orchis |
發表於: 2010/01/17 11:08pm
|
下面引用由robwu在 2010/01/15 11:19pm 發表的內容: 上週我遇到這隻真的讓我嚇一跳很大隻且 ...
|
|
往好處想.生態很好.食物鍊很完整!!!!!!................下次外出記得長筒雨靴 |
頂部 |
| swing57 |
發表於: 2010/02/02 11:41am
|
此主題相關圖片如下:


按此查看圖片詳細資料
此主題相關圖片如下:


按此查看圖片詳細資料
此主題相關圖片如下:


按此查看圖片詳細資料
此主題相關圖片如下:


按此查看圖片詳細資料
此主題相關圖片如下:


按此查看圖片詳細資料
此主題相關圖片如下:


按此查看圖片詳細資料
|
頂部 |
| swing57 |
發表於: 2010/02/02 11:43am
|
[這篇文章最後由swing57在 2010/02/06 01:44pm 第 2 次編輯]
|
頂部 |
| swing57 |
發表於: 2010/02/06 02:40pm
|
486樓真怪貼上不久回過頭來看又消失了變空白只好往下跳1樓. 去年11月初拍的羅氏鹽膚木正巧開花.
此主題相關圖片如下:


按此查看圖片詳細資料
此主題相關圖片如下:


按此查看圖片詳細資料
此主題相關圖片如下:


按此查看圖片詳細資料
此主題相關圖片如下:


按此查看圖片詳細資料
此主題相關圖片如下:


按此查看圖片詳細資料
此主題相關圖片如下:


按此查看圖片詳細資料
|
頂部 |
| css1357 |
發表於: 2010/02/06 06:47pm
|
[這篇文章最後由css1357在 2010/02/06 06:48pm 第 1 次編輯]
下面引用由swing57在 2010/02/06 02:40pm 發表的內容: 486樓真怪貼上不? |
|
這果實味道...還有點印象ㄋ....
那是小時後會採來吃的植物之一....
近年來想找尋....卻不容易看見它....em02: . |
頂部 |
| swing57 |
發表於: 2010/02/12 01:48pm
|
[這篇文章最後由swing57在 2010/03/26 04:01pm 第 1 次編輯]
春天到了花花草草都在開花爭奇鬥艷.
此主題相關圖片如下:


按此查看圖片詳細資料
此主題相關圖片如下:


按此查看圖片詳細資料
此主題相關圖片如下:


按此查看圖片詳細資料
此主題相關圖片如下:


按此查看圖片詳細資料
此主題相關圖片如下:


按此查看圖片詳細資料
此主題相關圖片如下:


按此查看圖片詳細資料
搜尋了許久原來它是石竹科的成員,中文名稱是【卷耳】,記錄地點:童話世界
|
頂部 |
| swing57 |
發表於: 2010/02/12 09:21pm
|
此主題相關圖片如下:


按此查看圖片詳細資料
此主題相關圖片如下:


按此查看圖片詳細資料
此主題相關圖片如下:


按此查看圖片詳細資料
此主題相關圖片如下:


按此查看圖片詳細資料
此主題相關圖片如下:


按此查看圖片詳細資料
|
頂部 |
| swing57 |
發表於: 2010/02/14 00:40am
|
此主題相關圖片如下:


按此查看圖片詳細資料
此主題相關圖片如下:


按此查看圖片詳細資料
此主題相關圖片如下:


按此查看圖片詳細資料
此主題相關圖片如下:


按此查看圖片詳細資料
此主題相關圖片如下:


按此查看圖片詳細資料
|
頂部 |
| swing57 |
發表於: 2010/02/14 00:43am
|
此主題相關圖片如下:


按此查看圖片詳細資料
此主題相關圖片如下:


按此查看圖片詳細資料
此主題相關圖片如下:


按此查看圖片詳細資料
此主題相關圖片如下:


按此查看圖片詳細資料
此主題相關圖片如下:


按此查看圖片詳細資料
|
頂部 |
| css1357 |
發表於: 2010/02/20 08:50pm
|
[這篇文章最後由css1357在 2010/02/20 08:53pm 第 2 次編輯]
下面引用由swing57在 2010/02/14 00:43am 發表的內容:
|
|
此主題相關圖片如下:


按此查看圖片詳細資料
此主題相關圖片如下:


按此查看圖片詳細資料
此主題相關圖片如下:


按此查看圖片詳細資料
前輩 您好 !
您的蝴蝶...真美 !
我的真可惜.... 雨....把花蝴蝶帶走ㄋ.... 唉....!
只是想請問她的花瓣.....是4~5片對嗎 ..?
|
頂部 |
| swing57 |
發表於: 2010/02/20 11:07pm
|
下面引用由css1357在 2010/02/20 08:50pm 發表的內容: 前輩 您好 ! 您的蝴蝶...真美 ! 我的真可惜.... 雨....把花蝴蝶帶走ㄋ.... 唉....! ...
|
|
本來懷疑是兩種植物上下樓拍的地點不同經查證是華八仙沒錯,那狹瓣華八仙倒是還沒見過. 花瓣的數目及形狀好像沒一定你仔細看一下就知道(上樓是山頂向陽下樓山麓背光),之前我拍桐花也發現有5~7瓣的情形. 年假除了今天及大年初一都在下雨沒機會出去拍,底下是過年前拍的尾葉灰木.
此主題相關圖片如下:


按此查看圖片詳細資料
此主題相關圖片如下:


按此查看圖片詳細資料
此主題相關圖片如下:


按此查看圖片詳細資料
此主題相關圖片如下:


按此查看圖片詳細資料
|
頂部 |
| lingo68 |
發表於: 2010/02/21 11:42am
|
| 那隻白底紅紋的蛾很漂亮 |
頂部 |
| swing57 |
發表於: 2010/03/28 10:22pm
|
[這篇文章最後由swing57在 2010/04/19 01:45pm 第 3 次編輯]
田梗上的一些小野花.
此主題相關圖片如下:


按此查看圖片詳細資料
此主題相關圖片如下:


按此查看圖片詳細資料
此主題相關圖片如下:


按此查看圖片詳細資料
此主題相關圖片如下:


按此查看圖片詳細資料
此主題相關圖片如下:


按此查看圖片詳細資料
此主題相關圖片如下:


按此查看圖片詳細資料
※名稱誤植應該是野老鸛草 Geranium carolinianum L. 葉子明顯不同單花牻牛兒苗葉尖平整而野老鸛草較尖銳. |
頂部 |
| swing57 |
發表於: 2010/03/29 01:11pm
|
此主題相關圖片如下:


按此查看圖片詳細資料
此主題相關圖片如下:


按此查看圖片詳細資料
此主題相關圖片如下:


按此查看圖片詳細資料
|
頂部 |
| swing57 |
發表於: 2010/03/30 01:18am
|
[這篇文章最後由swing57在 2010/04/01 11:14pm 第 2 次編輯]
風有點大不太好對焦.
此主題相關圖片如下:


按此查看圖片詳細資料
此主題相關圖片如下:


按此查看圖片詳細資料
此主題相關圖片如下:


按此查看圖片詳細資料
此主題相關圖片如下:


按此查看圖片詳細資料
|
頂部 |
| swing57 |
發表於: 2010/03/30 01:20am
|
此主題相關圖片如下:


按此查看圖片詳細資料
此主題相關圖片如下:


按此查看圖片詳細資料
此主題相關圖片如下:


按此查看圖片詳細資料
此主題相關圖片如下:


按此查看圖片詳細資料
|
頂部 |
| swing57 |
發表於: 2010/03/30 11:51am
|
隨風搖曳蓄勢待發的紫背草.
此主題相關圖片如下:


按此查看圖片詳細資料
此主題相關圖片如下:


按此查看圖片詳細資料
此主題相關圖片如下:


按此查看圖片詳細資料
此主題相關圖片如下:


按此查看圖片詳細資料
此主題相關圖片如下:


按此查看圖片詳細資料
此主題相關圖片如下:


按此查看圖片詳細資料
|
頂部 |
| swing57 |
發表於: 2010/03/30 11:56am
|
[這篇文章最後由swing57在 2010/03/30 12:20pm 第 2 次編輯]
逆光~
此主題相關圖片如下:


按此查看圖片詳細資料
此主題相關圖片如下:


按此查看圖片詳細資料
此主題相關圖片如下:


按此查看圖片詳細資料
此主題相關圖片如下:


按此查看圖片詳細資料
此主題相關圖片如下:


按此查看圖片詳細資料
此主題相關圖片如下:


按此查看圖片詳細資料
|
頂部 |
| swing57 |
發表於: 2010/03/30 10:55pm
|
此主題相關圖片如下:


按此查看圖片詳細資料
此主題相關圖片如下:


按此查看圖片詳細資料
此主題相關圖片如下:


按此查看圖片詳細資料
此主題相關圖片如下:


按此查看圖片詳細資料
此主題相關圖片如下:


按此查看圖片詳細資料
|
頂部 |
| swing57 |
發表於: 2010/03/31 09:59pm
|
[這篇文章最後由swing57在 2010/04/01 00:20am 第 1 次編輯]
在辦公室門口迷路的臭青公baby,確定是無毒蛇才敢放心拍.
此主題相關圖片如下:


按此查看圖片詳細資料
此主題相關圖片如下:


按此查看圖片詳細資料
此主題相關圖片如下:


按此查看圖片詳細資料
此主題相關圖片如下:


按此查看圖片詳細資料
此主題相關圖片如下:


按此查看圖片詳細資料
此主題相關圖片如下:


按此查看圖片詳細資料
|
頂部 |
| swing57 |
發表於: 2010/03/31 10:01pm
|
此主題相關圖片如下:


按此查看圖片詳細資料
此主題相關圖片如下:


按此查看圖片詳細資料
此主題相關圖片如下:


按此查看圖片詳細資料
此主題相關圖片如下:


按此查看圖片詳細資料
此主題相關圖片如下:


按此查看圖片詳細資料
此主題相關圖片如下:


按此查看圖片詳細資料
|
頂部 |
| swing57 |
發表於: 2010/04/01 10:59pm
|
原來公司草地上也有這個,那麼多年來第一次發現,之前可能是草皮修剪來不及長大吧.
此主題相關圖片如下:


按此查看圖片詳細資料
此主題相關圖片如下:


按此查看圖片詳細資料
此主題相關圖片如下:


按此查看圖片詳細資料
此主題相關圖片如下:


按此查看圖片詳細資料
此主題相關圖片如下:


按此查看圖片詳細資料
|
頂部 |
| swing57 |
發表於: 2010/04/01 11:01pm
|
此主題相關圖片如下:


按此查看圖片詳細資料
此主題相關圖片如下:


按此查看圖片詳細資料
此主題相關圖片如下:


按此查看圖片詳細資料
此主題相關圖片如下:


按此查看圖片詳細資料
此主題相關圖片如下:


按此查看圖片詳細資料
|
頂部 |
| swing57 |
發表於: 2010/04/01 11:02pm
|
此主題相關圖片如下:


按此查看圖片詳細資料
此主題相關圖片如下:


按此查看圖片詳細資料
此主題相關圖片如下:


按此查看圖片詳細資料
此主題相關圖片如下:


按此查看圖片詳細資料
|
頂部 |
| swing57 |
發表於: 2010/04/03 11:16pm
|
走入菜園的世界.
此主題相關圖片如下:


按此查看圖片詳細資料
此主題相關圖片如下:


按此查看圖片詳細資料
此主題相關圖片如下:


按此查看圖片詳細資料
此主題相關圖片如下:


按此查看圖片詳細資料
此主題相關圖片如下:


按此查看圖片詳細資料
|
頂部 |
| swing57 |
發表於: 2010/04/03 11:20pm
|
此主題相關圖片如下:


按此查看圖片詳細資料
此主題相關圖片如下:


按此查看圖片詳細資料
此主題相關圖片如下:


按此查看圖片詳細資料
此主題相關圖片如下:


按此查看圖片詳細資料
此主題相關圖片如下:


按此查看圖片詳細資料
|
頂部 |
| swing57 |
發表於: 2010/04/06 00:54am
|
禮拜天去趟南台灣(恆春)由於不是為拍照而去匆匆拍了幾張北部沒見過的植物,經查證它是屬於近年來才歸化的植物,好像有兩種花色還是開花之後的變化我就不知道了.
此主題相關圖片如下:


按此查看圖片詳細資料
此主題相關圖片如下:


按此查看圖片詳細資料
此主題相關圖片如下:


按此查看圖片詳細資料
此主題相關圖片如下:


按此查看圖片詳細資料
|
頂部 |
| swing57 |
發表於: 2010/04/06 00:58am
|
此主題相關圖片如下:


按此查看圖片詳細資料
此主題相關圖片如下:


按此查看圖片詳細資料
此主題相關圖片如下:


按此查看圖片詳細資料
此主題相關圖片如下:


按此查看圖片詳細資料
此主題相關圖片如下:


按此查看圖片詳細資料
|
頂部 |
| swing57 |
發表於: 2010/04/06 12:06pm
|
[這篇文章最後由swing57在 2010/05/26 01:52pm 第 1 次編輯]
外型酷似茉莉花的烏面馬北部至今未曾發現過,也許不是花期看到所以未能吸引我的目光.
此主題相關圖片如下:


按此查看圖片詳細資料
此主題相關圖片如下:


按此查看圖片詳細資料
此主題相關圖片如下:


按此查看圖片詳細資料
此主題相關圖片如下:


按此查看圖片詳細資料
此主題相關圖片如下:


按此查看圖片詳細資料
此主題相關圖片如下:


按此查看圖片詳細資料
|
頂部 |
| swing57 |
發表於: 2010/04/08 12:33pm
|
花型跟粗毛小米菊有些神似在恆春這一帶到處都是,有海濱植物的特性.
此主題相關圖片如下:


按此查看圖片詳細資料
此主題相關圖片如下:


按此查看圖片詳細資料
此主題相關圖片如下:


按此查看圖片詳細資料
此主題相關圖片如下:


按此查看圖片詳細資料
此主題相關圖片如下:


按此查看圖片詳細資料
此主題相關圖片如下:


按此查看圖片詳細資料
|
頂部 |
| swing57 |
發表於: 2010/04/11 11:14pm
|
今天一早去了離家最近的海邊,以前到海邊都不曾留意腳下的野花野草,確實跟平時拍的植物有些許的差別,本以為天氣會放晴早還起霧,但拍著拍著雨滴也跟著下來了只好收拾相機打道回府.
來北美的歸化植物.
此主題相關圖片如下:


按此查看圖片詳細資料
此主題相關圖片如下:


按此查看圖片詳細資料
此主題相關圖片如下:


按此查看圖片詳細資料
此主題相關圖片如下:


按此查看圖片詳細資料
此主題相關圖片如下:


按此查看圖片詳細資料
此主題相關圖片如下:


按此查看圖片詳細資料
|
頂部 |
| swing57 |
發表於: 2010/04/12 03:10pm
|
這種小花很特別甦醒的動作蠻大的第一次看到如此景象,一直等始終等不到它綻放只好撿一朵落花充當一下,有機會再來捕捉它美麗的身影.
此主題相關圖片如下:


按此查看圖片詳細資料
此主題相關圖片如下:


按此查看圖片詳細資料
此主題相關圖片如下:


按此查看圖片詳細資料
此主題相關圖片如下:


按此查看圖片詳細資料
此主題相關圖片如下:


按此查看圖片詳細資料
此主題相關圖片如下:


按此查看圖片詳細資料
|
頂部 |
| swing57 |
發表於: 2010/04/13 08:30am
|
雙花蟛蜞菊顧名思義就是開花總是成雙成對的,這種植物在淺山山上也曾見過不知是人為因素關係但似乎海邊才是它適合生長的地方,由它的俗名"雙花海砂菊"便可得知.
此主題相關圖片如下:


按此查看圖片詳細資料
此主題相關圖片如下:


按此查看圖片詳細資料
此主題相關圖片如下:


按此查看圖片詳細資料
此主題相關圖片如下:


按此查看圖片詳細資料
此主題相關圖片如下:


按此查看圖片詳細資料
|
頂部 |
| JJ-Merry |
發表於: 2010/04/14 08:03am
|
105馬哭咯~強! 好精緻的畫面。 |
頂部 |
| swing57 |
發表於: 2010/04/14 02:42pm
|
下面引用由JJ-Merry在 2010/04/14 08:03am 發表的內容: 105馬哭咯~強! 好精緻的畫面。
|
|
是很好用啊,不習慣帶腳架出門稍微呼吸一下就糊了.
由多朵小花組成的天藍苜蓿葉子跟落花生還有幾分神似之處.
此主題相關圖片如下:


按此查看圖片詳細資料
此主題相關圖片如下:


按此查看圖片詳細資料
此主題相關圖片如下:


按此查看圖片詳細資料
此主題相關圖片如下:


按此查看圖片詳細資料
|
頂部 |
| swing57 |
發表於: 2010/04/16 10:04pm
|
[這篇文章最後由swing57在 2010/04/16 10:07pm 第 1 次編輯]
白蟻大軍.
此主題相關圖片如下:


按此查看圖片詳細資料
此主題相關圖片如下:


按此查看圖片詳細資料
此主題相關圖片如下:


按此查看圖片詳細資料
此主題相關圖片如下:


按此查看圖片詳細資料
螫人非常痛的螞蟻.
此主題相關圖片如下:


按此查看圖片詳細資料
|
頂部 |
| swing57 |
發表於: 2010/04/18 10:40pm
|
刺莓果實的誘惑.
此主題相關圖片如下:


按此查看圖片詳細資料
此主題相關圖片如下:


按此查看圖片詳細資料
此主題相關圖片如下:


按此查看圖片詳細資料
此主題相關圖片如下:


按此查看圖片詳細資料
此主題相關圖片如下:


按此查看圖片詳細資料
此主題相關圖片如下:


按此查看圖片詳細資料
|
頂部 |
| swing57 |
發表於: 2010/04/18 10:42pm
|
此主題相關圖片如下:


按此查看圖片詳細資料
此主題相關圖片如下:


按此查看圖片詳細資料
此主題相關圖片如下:


按此查看圖片詳細資料
此主題相關圖片如下:


按此查看圖片詳細資料
此主題相關圖片如下:


按此查看圖片詳細資料
此主題相關圖片如下:


按此查看圖片詳細資料
|
頂部 |
| swing57 |
發表於: 2010/04/20 12:30pm
|
水果花
此主題相關圖片如下:


按此查看圖片詳細資料
此主題相關圖片如下:


按此查看圖片詳細資料
此主題相關圖片如下:


按此查看圖片詳細資料
此主題相關圖片如下:


按此查看圖片詳細資料
此主題相關圖片如下:


按此查看圖片詳細資料
此主題相關圖片如下:


按此查看圖片詳細資料
|
頂部 |
| Tony |
發表於: 2010/04/22 11:12am
|
精緻圖鑑..享受美景! 好用心的日記~ |
頂部 |
| swing57 |
發表於: 2010/04/28 10:44pm
|
下面引用由Tony在 2010/04/22 11:12am 發表的內容: 精緻圖鑑..享受美景! 好用心的日記~
|
|
就是喜歡背著相機趴趴走看到什麼就拍什麼.
最近去趟金門,這是在馬山海邊拍的歸化植物待宵草,海邊如果乾淨些會更好看.
此主題相關圖片如下:


按此查看圖片詳細資料
此主題相關圖片如下:


按此查看圖片詳細資料
此主題相關圖片如下:


按此查看圖片詳細資料
此主題相關圖片如下:


按此查看圖片詳細資料
此主題相關圖片如下:


按此查看圖片詳細資料
|
頂部 |
| Tony |
發表於: 2010/04/29 10:07am
|
下面引用由swing57在 2010/04/28 10:44pm 發表的內容: 就是喜歡背著相機趴趴走看到什麼就拍什麼. 最近去趟金門,這是在馬山海邊拍的歸化植物待宵草,海邊如果乾淨些會更好看.
|
|
是呀!愛拍照的人就是這樣~ 這待宵草正片開得很美,喜歡這類帶有浪漫情懷的花名~ 我家附近的海邊葉有類似的植物~ |
頂部 |
| swing57 |
發表於: 2010/04/30 00:39am
|
[這篇文章最後由swing57在 2010/04/30 00:49am 第 1 次編輯]
前陣子去海邊才知道裂葉月見草是海濱植物長得比內陸還要好也是一大片.
一樣是金門拍到的植物琉球野薔薇正逢花期,爬太武山因拍照走走停停脫隊陰錯陽差走岔了沒到山頂卻意外拍到這片小花海,也讓我領悟到為什麼這個季節飛機老是不能飛霧真大走在樹下像下雨一樣真怕相機給淋濕了.
此主題相關圖片如下:


按此查看圖片詳細資料
此主題相關圖片如下:


按此查看圖片詳細資料
此主題相關圖片如下:


按此查看圖片詳細資料
此主題相關圖片如下:


按此查看圖片詳細資料
此主題相關圖片如下:


按此查看圖片詳細資料
此主題相關圖片如下:


按此查看圖片詳細資料
|
頂部 |
| swing57 |
發表於: 2010/04/30 00:54am
|
此主題相關圖片如下:


按此查看圖片詳細資料
此主題相關圖片如下:


按此查看圖片詳細資料
此主題相關圖片如下:


按此查看圖片詳細資料
此主題相關圖片如下:


按此查看圖片詳細資料
此主題相關圖片如下:


按此查看圖片詳細資料
此主題相關圖片如下:


按此查看圖片詳細資料
|
頂部 |
| JJ-Merry |
發表於: 2010/04/30 10:50am
|
下面引用由swing57在 2010/04/30 00:39am 發表的內容: 前陣子去海邊才知道裂葉月見草是海濱植物長得比內陸還要好也是一大片. 一樣是金門拍到的植物祟蝺茖咧城掠捲瘨仇捫鬤妙t走岔了沒到山頂卻意外拍到這片小花海,也讓我領悟到為什麼這個季節飛機老是不能飛霧真大走在 ...
|
|
超爽的!!居然拍到這世間罕有的薔薇盛開景象。 羨慕死了~ |
頂部 |
| swing57 |
發表於: 2010/04/30 11:20pm
|
下面引用由JJ-Merry在 2010/04/30 10:50am 發表的內容: 超爽的!!居然拍到這世間罕有的薔薇盛開景象。 羨慕死了~
|
|
呵呵~這景象我也是第一次看到算賺到了不枉此行.
同一個點拍的絡石密佈在岩石上面只能遠觀,在北部看到的幾乎都是細梗絡石.
此主題相關圖片如下:


按此查看圖片詳細資料
此主題相關圖片如下:


按此查看圖片詳細資料
此主題相關圖片如下:


按此查看圖片詳細資料
此主題相關圖片如下:


按此查看圖片詳細資料
此主題相關圖片如下:


按此查看圖片詳細資料
|
頂部 |
| swing57 |
發表於: 2010/04/30 11:23pm
|
此主題相關圖片如下:


按此查看圖片詳細資料
此主題相關圖片如下:


按此查看圖片詳細資料
此主題相關圖片如下:


按此查看圖片詳細資料
此主題相關圖片如下:


按此查看圖片詳細資料
此主題相關圖片如下:


按此查看圖片詳細資料
|
頂部 |
| 晨曦青嵐 |
發表於: 2010/05/01 09:23pm
|
| 真是壯觀的花海!!能置身其中很幸福耶!!! |
頂部 |
| swing57 |
發表於: 2010/05/01 10:01pm
|
下面引用由晨曦青嵐在 2010/05/01 09:23pm 發表的內容: 真是壯觀的花海!!能置身其中很幸福耶!!!
|
|
對啊!人煙罕至的地方才會保留如此美景.
三天當中看到的其它植物,最後一種查不到長得有點像馬蘭我想應該不是才對.
此主題相關圖片如下:


按此查看圖片詳細資料
此主題相關圖片如下:


按此查看圖片詳細資料
此主題相關圖片如下:


按此查看圖片詳細資料
此主題相關圖片如下:


按此查看圖片詳細資料
此主題相關圖片如下:


按此查看圖片詳細資料
此主題相關圖片如下:


按此查看圖片詳細資料
|
頂部 |
| swing57 |
發表於: 2010/05/02 03:18pm
|
[這篇文章最後由swing57在 2010/05/02 03:26pm 第 1 次編輯]
2010年桐花又盛開了 五月天桐花處處開染白了北部的大部份淺山,不能免俗的昨天也去跟人家奏熱鬧,桐花美不美我是不知道不過看到好多人會不禁意的停下車來拿起相機拍個不停或許美吧. 在桐花樹下遇到一對夫妻聽到一段有趣的對話,男的說這是公的那是母的,明知是不對的說法還是不要戳破它好了,依他們的講法可能是看花蕊的顏色去區分. 我對桐花的初步的認知:它是大戟科植物可分為三年桐及千年桐兩種,三年桐花開的較早數量也比較少,另一種辨別方式是腺點千年桐突出三年桐平整,當然都是會分泌甜的物質吸引昆蟲,四五月盛開的是千年桐,一朵桐花的醞釀到結束大概60天但真正綻放停留在樹上只有短短2~3天左右花蕊會由黃轉紅,一般看到的都是雄花呈整朵掉落,雌花因要形成子房呈片狀掉落,花瓣常見的是5片偶而也可以看到6~7片的參雜其中.
遠觀~
此主題相關圖片如下:


按此查看圖片詳細資料
此主題相關圖片如下:


按此查看圖片詳細資料
此主題相關圖片如下:


按此查看圖片詳細資料
此主題相關圖片如下:


按此查看圖片詳細資料
此主題相關圖片如下:


按此查看圖片詳細資料
此主題相關圖片如下:


按此查看圖片詳細資料
|
頂部 |
| swing57 |
發表於: 2010/05/03 02:57pm
|
拉近~
此主題相關圖片如下:


按此查看圖片詳細資料
此主題相關圖片如下:


按此查看圖片詳細資料
此主題相關圖片如下:


按此查看圖片詳細資料
此主題相關圖片如下:


按此查看圖片詳細資料
此主題相關圖片如下:


按此查看圖片詳細資料
此主題相關圖片如下:


按此查看圖片詳細資料
|
頂部 |
| swing57 |
發表於: 2010/05/03 10:47pm
|
近觀~
此主題相關圖片如下:


按此查看圖片詳細資料
此主題相關圖片如下:


按此查看圖片詳細資料
此主題相關圖片如下:


按此查看圖片詳細資料
此主題相關圖片如下:


按此查看圖片詳細資料
此主題相關圖片如下:


按此查看圖片詳細資料
此主題相關圖片如下:


按此查看圖片詳細資料
|
頂部 |
| swing57 |
發表於: 2010/05/09 01:21am
|
花的模樣跟半邊蓮神似的普剌特草.
此主題相關圖片如下:


按此查看圖片詳細資料
此主題相關圖片如下:


按此查看圖片詳細資料
此主題相關圖片如下:


按此查看圖片詳細資料
此主題相關圖片如下:


按此查看圖片詳細資料
此主題相關圖片如下:


按此查看圖片詳細資料
此主題相關圖片如下:


按此查看圖片詳細資料
|
頂部 |
| css1357 |
發表於: 2010/05/09 10:13pm
|
下面引用由swing57在 2010/05/02 03:18pm 發表的內容: 2010年桐花又盛開了 五月天桐花處處開染白了北部的大部份淺山,不能免俗的昨天也去跟人家奏熱鬧,桐花美不美我是不知道不過看到好多人會不禁意的停下車來拿起相機拍個不停或許美吧. 在桐花樹下遇到一對夫妻聽到一 ...
|
|
小小…油桐種子
想看到整棵油桐開滿花….. 就覺得很不容易了….. 更無法想像滿山滿谷的油桐….. 盛開時樹上與小徑上的花….誰較美
管它三年桐還是千年桐…. 還是等我…..開滿滿的花再說了 !!
謝謝您的美景….小小桐子…來賞圖
|
頂部 |
| 晨曦青嵐 |
發表於: 2010/05/18 10:17pm
|
swing57大大你好! 我又偷了你很多昆蟲蝴蝶圖片唷! 製作影音給小朋友看 |
頂部 |
| swing57 |
發表於: 2010/05/19 02:59pm
|
下面引用由css1357在 2010/05/09 10:13pm 發表的內容: 小小…油桐種子 想看到整棵油桐開滿花….. 就覺得很不容易了….. 更無法想像滿山滿谷的油桐….. ...
|
|
賞花要趁早已經進入尾聲階段.
下面引用由晨曦青嵐在 2010/05/18 10:17pm 發表的內容: swing57大大你好! 我又偷了你很多昆蟲蝴蝶圖片唷! 製作影音給小朋友看
|
|
沒關係~儘管偷吧. 我的電腦操了8年壽終正寢喚不起來了暫時無法貼圖,改天買個材料回來自己DIY. |
頂部 |
| momoita |
發表於: 2010/05/31 01:37pm
|
這是甚麼裝備阿,拍得真是太棒了。 天機 |
頂部 |
| swing57 |
發表於: 2010/06/01 02:32pm
|
下面引用由momoita在 2010/05/31 01:37pm 發表的內容: 這是甚麼裝備阿,拍得真是太棒了。 天機
|
|
歡迎momoita來賞圖!! 哈哈~是N牌停產入門機.
沒花可拍,蟲季來了到處都看得到順手記錄一下. 食草:相思樹 豆科
此主題相關圖片如下:


按此查看圖片詳細資料
食草::變葉懸鉤子 薔薇科
此主題相關圖片如下:


按此查看圖片詳細資料
食草::山紅柿 柿樹科
此主題相關圖片如下:


按此查看圖片詳細資料
此主題相關圖片如下:


按此查看圖片詳細資料
食草::山紅柿 柿樹科
此主題相關圖片如下:


按此查看圖片詳細資料
食草::江某 五加科
此主題相關圖片如下:


按此查看圖片詳細資料
|
頂部 |
| swing57 |
發表於: 2010/06/01 02:42pm
|
食草:可能是樹幹上的青苔
此主題相關圖片如下:


按此查看圖片詳細資料
食草:燈稱花 冬青科
此主題相關圖片如下:


按此查看圖片詳細資料
食草:台灣山桂花 紫金牛科
此主題相關圖片如下:


按此查看圖片詳細資料
食草:賊仔樹(臭辣樹) 芸香科
此主題相關圖片如下:


按此查看圖片詳細資料
食草:三腳鱉 芸香科
此主題相關圖片如下:


按此查看圖片詳細資料
此主題相關圖片如下:


按此查看圖片詳細資料
|
頂部 |
| swing57 |
發表於: 2010/06/02 02:27pm
|
[這篇文章最後由swing57在 2010/06/02 02:28pm 第 1 次編輯]
食草:野桐 大戟科
此主題相關圖片如下:


按此查看圖片詳細資料
食草:燈稱花 冬青科
此主題相關圖片如下:


按此查看圖片詳細資料
食草:台灣山桂花 紫金牛科
此主題相關圖片如下:


按此查看圖片詳細資料
食草::山紅柿 柿樹科
此主題相關圖片如下:


按此查看圖片詳細資料
食草::苗栗崖爬藤 葡萄科
此主題相關圖片如下:


按此查看圖片詳細資料
此主題相關圖片如下:


按此查看圖片詳細資料
|
頂部 |
| swing57 |
發表於: 2010/06/02 02:47pm
|
[這篇文章最後由swing57在 2010/06/02 02:48pm 第 1 次編輯]
食草::菝契 菝契科
此主題相關圖片如下:


按此查看圖片詳細資料
食草:台灣山桂花 紫金牛科
此主題相關圖片如下:


按此查看圖片詳細資料
食草:燈稱花 冬青科
此主題相關圖片如下:


按此查看圖片詳細資料
食草:綠竹 禾本科
此主題相關圖片如下:


按此查看圖片詳細資料
食草::江某 五加科
此主題相關圖片如下:


按此查看圖片詳細資料
食草::白毛臭牡丹 馬鞭草科
此主題相關圖片如下:


按此查看圖片詳細資料
|
頂部 |
| swing57 |
發表於: 2010/06/03 02:51pm
|
此主題相關圖片如下:


按此查看圖片詳細資料
此主題相關圖片如下:


按此查看圖片詳細資料
此主題相關圖片如下:


按此查看圖片詳細資料
此主題相關圖片如下:


按此查看圖片詳細資料
此主題相關圖片如下:


按此查看圖片詳細資料
此主題相關圖片如下:


按此查看圖片詳細資料
|
頂部 |
| swing57 |
發表於: 2010/06/04 02:07pm
|
懂得找地型掩蔽化蛹的青帶鳳蝶(旁邊有棵大樟樹).
此主題相關圖片如下:


按此查看圖片詳細資料
此主題相關圖片如下:


按此查看圖片詳細資料
此主題相關圖片如下:


按此查看圖片詳細資料
|
頂部 |
| swing57 |
發表於: 2010/06/06 00:50am
|
一起化蛹的台灣黃蝶(食草:頷垂豆)場面很壯觀.
此主題相關圖片如下:


按此查看圖片詳細資料
此主題相關圖片如下:


按此查看圖片詳細資料
此主題相關圖片如下:


按此查看圖片詳細資料
此主題相關圖片如下:


按此查看圖片詳細資料
此主題相關圖片如下:


按此查看圖片詳細資料
此主題相關圖片如下:


按此查看圖片詳細資料
|
頂部 |
| swing57 |
發表於: 2010/06/06 00:52am
|
此主題相關圖片如下:


按此查看圖片詳細資料
此主題相關圖片如下:


按此查看圖片詳細資料
此主題相關圖片如下:


按此查看圖片詳細資料
此主題相關圖片如下:


按此查看圖片詳細資料
此主題相關圖片如下:


按此查看圖片詳細資料
此主題相關圖片如下:


按此查看圖片詳細資料
|
頂部 |
| swing57 |
發表於: 2010/06/07 04:35pm
|
不知是天公不做美還是這群粉蝶不會挑日子竟然在風大又陰天的日子羽化,打亂我原先的計劃這種日子最不想出門一直猶豫不決好在有趕上這場盛會,想用自然光的模式拍不過出來效果都不好像阿飄照一樣只好改用閃光.
此主題相關圖片如下:


按此查看圖片詳細資料
此主題相關圖片如下:


按此查看圖片詳細資料
此主題相關圖片如下:


按此查看圖片詳細資料
此主題相關圖片如下:


按此查看圖片詳細資料
此主題相關圖片如下:


按此查看圖片詳細資料
此主題相關圖片如下:


按此查看圖片詳細資料
|
頂部 |
| swing57 |
發表於: 2010/06/07 04:41pm
|
每隻都被搖的七葷八素,有的還掉到地上幸好都羽化完成.
此主題相關圖片如下:


按此查看圖片詳細資料
此主題相關圖片如下:


按此查看圖片詳細資料
此主題相關圖片如下:


按此查看圖片詳細資料
此主題相關圖片如下:


按此查看圖片詳細資料
此主題相關圖片如下:


按此查看圖片詳細資料
此主題相關圖片如下:


按此查看圖片詳細資料
|
頂部 |
| swing57 |
發表於: 2010/06/07 04:43pm
|
此主題相關圖片如下:


按此查看圖片詳細資料
此主題相關圖片如下:


按此查看圖片詳細資料
此主題相關圖片如下:


按此查看圖片詳細資料
此主題相關圖片如下:


按此查看圖片詳細資料
此主題相關圖片如下:


按此查看圖片詳細資料
此主題相關圖片如下:


按此查看圖片詳細資料
|
頂部 |
| swing57 |
發表於: 2010/06/08 02:38pm
|
臺灣茶斑蛾(琉璃綠三星斑蛾) Eterusia taiwana 斑蛾科 食草:油茶樹 (苦茶樹) 茶科
此主題相關圖片如下:


按此查看圖片詳細資料
此主題相關圖片如下:


按此查看圖片詳細資料
此主題相關圖片如下:


按此查看圖片詳細資料
此主題相關圖片如下:


按此查看圖片詳細資料
此主題相關圖片如下:


按此查看圖片詳細資料
此主題相關圖片如下:


按此查看圖片詳細資料
|
頂部 |
| swing57 |
發表於: 2010/06/12 02:57pm
|
雨天陽台外的一家四口.
此主題相關圖片如下:


按此查看圖片詳細資料
親鳥空中餵食.
此主題相關圖片如下:


按此查看圖片詳細資料
此主題相關圖片如下:


按此查看圖片詳細資料
此主題相關圖片如下:


按此查看圖片詳細資料
此主題相關圖片如下:


按此查看圖片詳細資料
|
頂部 |
| swing57 |
發表於: 2010/06/12 03:00pm
|
此主題相關圖片如下:


按此查看圖片詳細資料
鼓動雙翅大聲說:選我選我.
此主題相關圖片如下:


按此查看圖片詳細資料
此主題相關圖片如下:


按此查看圖片詳細資料
此主題相關圖片如下:


按此查看圖片詳細資料
此主題相關圖片如下:


按此查看圖片詳細資料
|
頂部 |
| swing57 |
發表於: 2010/06/13 09:32pm
|
[這篇文章最後由swing57在 2010/06/13 09:33pm 第 1 次編輯]
食草::台灣懸鉤子 薔薇科
此主題相關圖片如下:


按此查看圖片詳細資料
此主題相關圖片如下:


按此查看圖片詳細資料
此主題相關圖片如下:


按此查看圖片詳細資料
|
頂部 |
| swing57 |
發表於: 2010/06/19 12:46pm
|
[這篇文章最後由swing57在 2010/06/19 12:46pm 第 1 次編輯]
此主題相關圖片如下:


按此查看圖片詳細資料
此主題相關圖片如下:


按此查看圖片詳細資料
此主題相關圖片如下:


按此查看圖片詳細資料
此主題相關圖片如下:


按此查看圖片詳細資料
此主題相關圖片如下:


按此查看圖片詳細資料
此主題相關圖片如下:


按此查看圖片詳細資料
|
頂部 |
| swing57 |
發表於: 2010/06/19 12:48pm
|
此主題相關圖片如下:


按此查看圖片詳細資料
此主題相關圖片如下:


按此查看圖片詳細資料
此主題相關圖片如下:


按此查看圖片詳細資料
此主題相關圖片如下:


按此查看圖片詳細資料
此主題相關圖片如下:


按此查看圖片詳細資料
此主題相關圖片如下:


按此查看圖片詳細資料
|
頂部 |
| swing57 |
發表於: 2010/06/19 12:49pm
|
此主題相關圖片如下:


按此查看圖片詳細資料
此主題相關圖片如下:


按此查看圖片詳細資料
此主題相關圖片如下:


按此查看圖片詳細資料
此主題相關圖片如下:


按此查看圖片詳細資料
此主題相關圖片如下:


按此查看圖片詳細資料
此主題相關圖片如下:


按此查看圖片詳細資料
|
頂部 |
| swing57 |
發表於: 2010/06/22 00:08am
|
此主題相關圖片如下:


按此查看圖片詳細資料
此主題相關圖片如下:


按此查看圖片詳細資料
此主題相關圖片如下:


按此查看圖片詳細資料
此主題相關圖片如下:


按此查看圖片詳細資料
此主題相關圖片如下:


按此查看圖片詳細資料
|
頂部 |
| swing57 |
發表於: 2010/06/24 09:16pm
|
進住我家菜園的另一種蝶(孔雀青蛺蝶). 食草:大車前草 車前科
此主題相關圖片如下:


按此查看圖片詳細資料
此主題相關圖片如下:


按此查看圖片詳細資料
此主題相關圖片如下:


按此查看圖片詳細資料
此主題相關圖片如下:


按此查看圖片詳細資料
此主題相關圖片如下:


按此查看圖片詳細資料
此主題相關圖片如下:


按此查看圖片詳細資料
|
頂部 |
| swing57 |
發表於: 2010/06/29 07:38am
|
黃盾背椿象由終齡若蟲蛻變為成蟲.
此主題相關圖片如下:


按此查看圖片詳細資料
此主題相關圖片如下:


按此查看圖片詳細資料
此主題相關圖片如下:


按此查看圖片詳細資料
此主題相關圖片如下:


按此查看圖片詳細資料
此主題相關圖片如下:


按此查看圖片詳細資料
此主題相關圖片如下:


按此查看圖片詳細資料
|
頂部 |
| swing57 |
發表於: 2010/07/02 01:51pm
|
頂樓的某一個角落.
此主題相關圖片如下:


按此查看圖片詳細資料
此主題相關圖片如下:


按此查看圖片詳細資料
此主題相關圖片如下:


按此查看圖片詳細資料
此主題相關圖片如下:


按此查看圖片詳細資料
此主題相關圖片如下:


按此查看圖片詳細資料
|
頂部 |
| swing57 |
發表於: 2010/07/04 10:28pm
|
此主題相關圖片如下:


按此查看圖片詳細資料
此主題相關圖片如下:


按此查看圖片詳細資料
此主題相關圖片如下:


按此查看圖片詳細資料
此主題相關圖片如下:


按此查看圖片詳細資料
此主題相關圖片如下:


按此查看圖片詳細資料
此主題相關圖片如下:


按此查看圖片詳細資料
|
頂部 |
| swing57 |
發表於: 2010/07/06 10:02am
|
[這篇文章最後由swing57在 2010/07/06 10:04am 第 1 次編輯]
天氣酷熱來點水中的生物吧.
此主題相關圖片如下:


按此查看圖片詳細資料
此主題相關圖片如下:


按此查看圖片詳細資料
此主題相關圖片如下:


按此查看圖片詳細資料
不會分統稱為溪蝦.
此主題相關圖片如下:


按此查看圖片詳細資料
此主題相關圖片如下:


按此查看圖片詳細資料
此主題相關圖片如下:


按此查看圖片詳細資料
|
頂部 |
| swing57 |
發表於: 2010/07/07 12:51pm
|
[這篇文章最後由swing57在 2010/07/07 03:38pm 第 1 次編輯]
此主題相關圖片如下:


按此查看圖片詳細資料
此主題相關圖片如下:


按此查看圖片詳細資料
此主題相關圖片如下:


按此查看圖片詳細資料
此主題相關圖片如下:


按此查看圖片詳細資料
|
頂部 |
| swing57 |
發表於: 2010/07/09 10:54am
|
天氣熱連它們火氣也很大(爭地盤).
此主題相關圖片如下:


按此查看圖片詳細資料
主角1
此主題相關圖片如下:


按此查看圖片詳細資料
主角2
此主題相關圖片如下:


按此查看圖片詳細資料
此主題相關圖片如下:


按此查看圖片詳細資料
此主題相關圖片如下:


按此查看圖片詳細資料
此主題相關圖片如下:


按此查看圖片詳細資料
|
頂部 |
| swing57 |
發表於: 2010/07/09 10:56am
|
此主題相關圖片如下:


按此查看圖片詳細資料
此主題相關圖片如下:


按此查看圖片詳細資料
此主題相關圖片如下:


按此查看圖片詳細資料
此主題相關圖片如下:


按此查看圖片詳細資料
此主題相關圖片如下:


按此查看圖片詳細資料
|
頂部 |
| swing57 |
發表於: 2010/07/09 11:01am
|
此主題相關圖片如下:


按此查看圖片詳細資料
此主題相關圖片如下:


按此查看圖片詳細資料
此主題相關圖片如下:


按此查看圖片詳細資料
此主題相關圖片如下:


按此查看圖片詳細資料
呵呵~我才是這個園子的老大.
此主題相關圖片如下:


按此查看圖片詳細資料
|
頂部 |
| swing57 |
發表於: 2010/07/20 04:56pm
|
菜園裡的常客之一.
此主題相關圖片如下:


按此查看圖片詳細資料
此主題相關圖片如下:


按此查看圖片詳細資料
此主題相關圖片如下:


按此查看圖片詳細資料
|
頂部 |
| css1357 |
發表於: 2010/07/22 01:08pm
|
[這篇文章最後由css1357在 2010/07/22 01:11pm 第 1 次編輯]
下面引用由swing57在 2010/07/20 04:56pm 發表的內容: 菜園裡的常客之一.
|
|
此主題相關圖片如下:


按此查看圖片詳細資料
此主題相關圖片如下:


按此查看圖片詳細資料
前輩 您好 ~ 暈 ~ 
黃蛺蝶、豹斑蝶、紅擬豹斑蝶、黑端豹斑蝶.. 它們如群聚飛舞….那真會讓人眼花呀…!
還缺.....黑端豹斑蝶就很暈了...... 哈哈
|
頂部 |
| swing57 |
發表於: 2010/07/26 10:18pm
|
下面引用由css1357在 2010/07/22 01:08pm 發表的內容: 前輩 您好 em26: 黃蛺蝶、豹斑蝶、紅擬豹斑蝶、黑端豹斑蝶.. ...
|
|
還有1種很讓我驚豔的白裙黃斑蛺蝶只有一面之緣很機警不易接近上回在宇老路上遇到屬中海拔蝶種.
來點草莓口味的.
此主題相關圖片如下:


按此查看圖片詳細資料
此主題相關圖片如下:


按此查看圖片詳細資料
此主題相關圖片如下:


按此查看圖片詳細資料
此主題相關圖片如下:


按此查看圖片詳細資料
|
頂部 |
| swing57 |
發表於: 2010/07/27 03:25pm
|
外型亮眼的金龜子.
此主題相關圖片如下:


按此查看圖片詳細資料
此主題相關圖片如下:


按此查看圖片詳細資料
此主題相關圖片如下:


按此查看圖片詳細資料
|
頂部 |
| swing57 |
發表於: 2010/08/02 04:55pm
|
第一次巧遇剛羽化的姬雙尾蝶.
此主題相關圖片如下:


按此查看圖片詳細資料
此主題相關圖片如下:


按此查看圖片詳細資料
此主題相關圖片如下:


按此查看圖片詳細資料
此主題相關圖片如下:


按此查看圖片詳細資料
這是它的食草(山黃麻),當然它不會在上面化蛹因為樹大招風.
此主題相關圖片如下:


按此查看圖片詳細資料
會在附近的低矮植物上發現到它例如:青苧麻、柃木...
此主題相關圖片如下:


按此查看圖片詳細資料
|
頂部 |
| swing57 |
發表於: 2010/08/21 10:54pm
|
山林間美麗的原生蘭花.
此主題相關圖片如下:


按此查看圖片詳細資料
此主題相關圖片如下:


按此查看圖片詳細資料
此主題相關圖片如下:


按此查看圖片詳細資料
此主題相關圖片如下:


按此查看圖片詳細資料
此主題相關圖片如下:


按此查看圖片詳細資料
此主題相關圖片如下:


按此查看圖片詳細資料
|
頂部 |
| JJ-Merry |
發表於: 2010/08/26 10:54pm
|
下面引用由swing57在 2010/08/02 04:55pm 發表的內容: 第一次巧遇剛羽化的姬雙尾蝶. 這是它的食草(山黃麻),當然它不會在上面化蛹因為樹大招風. 會在附近的低矮植物上發現到它例如:青苧麻、柃木...
|
|
真美啊~ |
頂部 |
| swing57 |
發表於: 2010/09/04 11:55pm
|
下面引用由JJ-Merry在 2010/08/26 10:54pm 發表的內容: 真美啊~
|
|
當它還是幼蟲時不見得有人喜歡,羽化變成蝴蝶喜歡的人自然變多了因為它色彩鮮明.
與環境融為一體的蛹.
此主題相關圖片如下:


按此查看圖片詳細資料
此主題相關圖片如下:


按此查看圖片詳細資料
此主題相關圖片如下:


按此查看圖片詳細資料
此主題相關圖片如下:


按此查看圖片詳細資料
此主題相關圖片如下:


按此查看圖片詳細資料
此主題相關圖片如下:


按此查看圖片詳細資料
|
頂部 |
| swing57 |
發表於: 2010/10/02 01:18pm
|
沒得NG的畫面縮太小會看不清楚,從竹林裡傳來的騷動還以為小狗跑進去嬉戲原來即將上演一場生存遊戲,移動太快相機都來不及捕捉.
此主題相關圖片如下:


按此查看圖片詳細資料
此主題相關圖片如下:


按此查看圖片詳細資料
抬起頭張望可能發現我沒再繼續追那隻野鼠.
此主題相關圖片如下:


按此查看圖片詳細資料
此主題相關圖片如下:


按此查看圖片詳細資料
此主題相關圖片如下:


按此查看圖片詳細資料
被嚇到腳軟跑不動先躲再說.
此主題相關圖片如下:


按此查看圖片詳細資料
|
頂部 |
| Tony |
發表於: 2010/10/10 11:35am
|
下面引用由swing57在 2010/10/02 01:18pm 發表的內容: 沒得NG的畫面縮太小會看不清楚,從竹林裡傳來的騷動還以為小狗跑進去嬉戲原來即將上演一場生存遊戲,移動太快相機都來不及捕捉. 抬起頭張望可能發現我沒再繼續追那隻野鼠. 被嚇到腳軟跑不動先躲再說.
|
|
這個精彩~ |
頂部 |
| maymay |
發表於: 2010/10/25 01:35pm
|
| 好大的蛇,是眼鏡蛇嗎? |
頂部 |
| ks518848 |
發表於: 2010/11/07 06:57pm
|
下面引用由swing57在 2010/09/04 11:55pm 發表的內容: 當它還是幼蟲時不見得有人喜歡,羽化變成蝴蝶喜歡的人自然變多了因為它色彩鮮明. 與環境融為一體的蛹.
|
|
好特美的蛹~ |
頂部 |
| swing57 |
發表於: 2011/02/28 09:52pm
|
下面引用由maymay在 2010/10/25 01:35pm 發表的內容: 好大的蛇,是眼鏡蛇嗎?
|
|
如果是眼鏡蛇我也不敢靠近,是無毒的南蛇.
下面引用由ks518848在 2010/11/07 06:57pm 發表的內容:
下面引用由swing57在 2010/09/04 11:55pm 發表的內容: 當它還是幼蟲時不見得有人喜歡,羽化變成蝴蝶喜歡的人自然變多了因為它色彩鮮明. 與環境融為一體的蛹. 哎~不過它是外來種.
好特美的蛹~
|
|
這時記錄昆蟲稍嫌早了一點,春天來了拍些花花草草.
此主題相關圖片如下:


按此查看圖片詳細資料
此主題相關圖片如下:


按此查看圖片詳細資料
此主題相關圖片如下:


按此查看圖片詳細資料
此主題相關圖片如下:


按此查看圖片詳細資料
此主題相關圖片如下:


按此查看圖片詳細資料
此主題相關圖片如下:


按此查看圖片詳細資料
|
頂部 |
| swing57 |
發表於: 2011/03/01 07:05pm
|
此主題相關圖片如下:


按此查看圖片詳細資料
此主題相關圖片如下:


按此查看圖片詳細資料
此主題相關圖片如下:


按此查看圖片詳細資料
此主題相關圖片如下:


按此查看圖片詳細資料
此主題相關圖片如下:


按此查看圖片詳細資料
此主題相關圖片如下:


按此查看圖片詳細資料
|
頂部 |
| swing57 |
發表於: 2011/03/02 09:34pm
|
十字花科的花都長得很像趁開花的時候記錄起來,唯一可以分辨的是它比較謙卑低著頭.
此主題相關圖片如下:


按此查看圖片詳細資料
此主題相關圖片如下:


按此查看圖片詳細資料
此主題相關圖片如下:


按此查看圖片詳細資料
此主題相關圖片如下:


按此查看圖片詳細資料
此主題相關圖片如下:


按此查看圖片詳細資料
此主題相關圖片如下:


按此查看圖片詳細資料
|
頂部 |
| swing57 |
發表於: 2011/03/03 06:13pm
|
黃花芥藍菜
此主題相關圖片如下:


按此查看圖片詳細資料
此主題相關圖片如下:


按此查看圖片詳細資料
此主題相關圖片如下:


按此查看圖片詳細資料
此主題相關圖片如下:


按此查看圖片詳細資料
此主題相關圖片如下:


按此查看圖片詳細資料
|
頂部 |
| swing57 |
發表於: 2011/03/04 08:19pm
|
此主題相關圖片如下:


按此查看圖片詳細資料
此主題相關圖片如下:


按此查看圖片詳細資料
此主題相關圖片如下:


按此查看圖片詳細資料
此主題相關圖片如下:


按此查看圖片詳細資料
此主題相關圖片如下:


按此查看圖片詳細資料
此主題相關圖片如下:


按此查看圖片詳細資料
|
頂部 |
| swing57 |
發表於: 2011/03/13 11:21pm
|
原來住家後面也有這種植物,沒有仔細看還真的不容易發現它的存在當然花也是超迷你的.
此主題相關圖片如下:


按此查看圖片詳細資料
此主題相關圖片如下:


按此查看圖片詳細資料
此主題相關圖片如下:


按此查看圖片詳細資料
此主題相關圖片如下:


按此查看圖片詳細資料
此主題相關圖片如下:


按此查看圖片詳細資料
|
頂部 |
| swing57 |
發表於: 2011/03/14 07:16pm
|
菫菜科的植物雖然很多種但在住家附近能觀察到的可能只有2~3種,本來以為會錯過花期誤打誤撞找到比我原先發現的點數量還多.
此主題相關圖片如下:


按此查看圖片詳細資料
此主題相關圖片如下:


按此查看圖片詳細資料
此主題相關圖片如下:


按此查看圖片詳細資料
此主題相關圖片如下:


按此查看圖片詳細資料
此主題相關圖片如下:


按此查看圖片詳細資料
此主題相關圖片如下:


按此查看圖片詳細資料
|
頂部 |
| swing57 |
發表於: 2011/03/14 07:18pm
|
此主題相關圖片如下:


按此查看圖片詳細資料
此主題相關圖片如下:


按此查看圖片詳細資料
此主題相關圖片如下:


按此查看圖片詳細資料
此主題相關圖片如下:


按此查看圖片詳細資料
此主題相關圖片如下:


按此查看圖片詳細資料
|
頂部 |
| swing57 |
發表於: 2011/03/15 11:28pm
|
很多人都誤把它當作紫花地丁包括我在內,看了幾個網頁的資料終於弄清楚了,它其實叫小菫菜(俗名:戟葉紫花地丁、箭葉菫菜),分佈廣泛春天一到隨處都可以發現的的蹤影,而紫花地丁則生長在中海拔山區,下方中央的花瓣最長是它的特色.
此主題相關圖片如下:


按此查看圖片詳細資料
此主題相關圖片如下:


按此查看圖片詳細資料
此主題相關圖片如下:


按此查看圖片詳細資料
此主題相關圖片如下:


按此查看圖片詳細資料
此主題相關圖片如下:


按此查看圖片詳細資料
此主題相關圖片如下:


按此查看圖片詳細資料
|
頂部 |
| swing57 |
發表於: 2011/03/16 08:06pm
|
[這篇文章最後由swing57在 2011/04/24 10:10pm 第 1 次編輯]
此主題相關圖片如下:


按此查看圖片詳細資料
此主題相關圖片如下:


按此查看圖片詳細資料
此主題相關圖片如下:


按此查看圖片詳細資料
此主題相關圖片如下:


按此查看圖片詳細資料
此主題相關圖片如下:


按此查看圖片詳細資料
此主題相關圖片如下:


按此查看圖片詳細資料
|
頂部 |
| swing57 |
發表於: 2011/04/10 10:31pm
|
上個月底去馬來西亞隨手拍的,因為天亮得慢沒多餘時間可以自己到處走走,加上不小心將8G記憶卡遺留飯店整整兩天行程的照片全沒了.
此主題相關圖片如下:


按此查看圖片詳細資料
此主題相關圖片如下:


按此查看圖片詳細資料
此主題相關圖片如下:


按此查看圖片詳細資料
此主題相關圖片如下:


按此查看圖片詳細資料
此主題相關圖片如下:


按此查看圖片詳細資料
|
頂部 |
| ks518848 |
發表於: 2011/04/12 00:35am
|
下面引用由swing57在 2011/04/10 10:31pm 發表的內容: 上個月底去馬來西亞隨手拍的,因為天亮得慢沒多餘時間可以自己到處走走,
8G記憶卡遺留飯店整整兩天行程的照片全沒了
|
|
哇-哇~好捨不得.一定很精彩 |
頂部 |
| maymay |
發表於: 2011/04/24 01:54pm
|
下面引用由swing57在 2011/04/10 10:31pm 發表的內容: 上個月底去馬來西亞隨手拍的,因為天亮得慢沒多餘時間可以自己到處走走,加上不小心將8G記憶卡遺留飯店整整兩天行程的照片全沒了.
|
|
那真的好可惜哦! 我們沒有眼福 
swing大~ 591樓是否是"細葉碎米薺"? 和我這本植物圖鑑裡面的圖很像 
|
頂部 |
| swing57 |
發表於: 2011/04/24 10:16pm
|
下面引用由maymay在 2011/04/24 01:54pm 發表的內容: 那真的好可惜哦! 我們沒有眼福  swing大~ 591樓是否是"細葉碎米薺"? ...
|
|
焊菜=細葉碎米薺 去找原圖才發現我遺失不少東西,真是禍不單行回來硬碟也掛了存在C槽的資料全都沒了. |
頂部 |
| swing57 |
發表於: 2011/05/06 01:37pm
|
今年的綬草開的有夠晚清明節都己經過了一個月,公司的草皮很大遍但就只找到零星的幾棵.
此主題相關圖片如下:


按此查看圖片詳細資料
此主題相關圖片如下:


按此查看圖片詳細資料
此主題相關圖片如下:


按此查看圖片詳細資料
此主題相關圖片如下:


按此查看圖片詳細資料
此主題相關圖片如下:


按此查看圖片詳細資料
此主題相關圖片如下:


按此查看圖片詳細資料
|
頂部 |
| css1357 |
發表於: 2011/05/06 10:28pm
|
下面引用由swing57在 2011/05/06 01:37pm 發表的內容: 今年的綬草開的有夠晚清明節都己經過了一個月,公司的草皮很大遍但就只找到零星的幾棵.
|
|
前輩 好
還沒看到的照片就丟了….真的很可惜 ㄋㄟ… 還好相機還在….只有日後多照一些了 (哈哈…這樣才有眼福 )
這綬草好像不好種ㄛ… 雖想買…但在花市所看到的都感覺『快掛點了』…  所以到現在一直沒種過說… 這最小品種的蘭花 真想種呀 !
看到它特地使用那螺旋方式依序展示每一朵漂亮的花朵 就會讓人的眼睛不知覺…..也跟著它轉ㄋ… 
綬草….真的好美 !!
|
頂部 |
| swing57 |
發表於: 2011/05/09 10:11pm
|
下面引用由css1357在 2011/05/06 10:28pm 發表的內容: 前輩 好 還沒看到的照片就丟了….真的很可惜 ㄋㄟ… 還好相機還在….只有日後多照一些了 (哈哈…這樣才有眼福 ) 這綬草好像不好種ㄛ… ...
|
|
綬草真的很美,我也是在前年無意間發現,當然後來也在其它地方發現它的蹤跡,不過對於沒把握的植物還是欣賞就好,公司有綬草目前大概只有我知道,可能它太渺小不會吸引人家注意.
跟油桐花期重疊的猿尾藤.
此主題相關圖片如下:


按此查看圖片詳細資料
此主題相關圖片如下:


按此查看圖片詳細資料
此主題相關圖片如下:


按此查看圖片詳細資料
此主題相關圖片如下:


按此查看圖片詳細資料
此主題相關圖片如下:


按此查看圖片詳細資料
|
頂部 |
| swing57 |
發表於: 2011/05/09 10:15pm
|
很大一叢纏繞在樹上.
此主題相關圖片如下:


按此查看圖片詳細資料
此主題相關圖片如下:


按此查看圖片詳細資料
此主題相關圖片如下:


按此查看圖片詳細資料
此主題相關圖片如下:


按此查看圖片詳細資料
|
頂部 |
| swing57 |
發表於: 2011/05/30 00:36am
|
[這篇文章最後由swing57在 2011/06/12 00:09am 第 1 次編輯]
這次真的親眼看到它吃賊仔樹(芸香科).
此主題相關圖片如下:


按此查看圖片詳細資料
此主題相關圖片如下:


按此查看圖片詳細資料
此主題相關圖片如下:


按此查看圖片詳細資料
這是早齡眉紋天蠶蛾幼蟲正在尋尋覓覓它的食草,這棵柃木應該不合它的味口.
此主題相關圖片如下:


按此查看圖片詳細資料
此主題相關圖片如下:


按此查看圖片詳細資料
此主題相關圖片如下:


按此查看圖片詳細資料
此主題相關圖片如下:


按此查看圖片詳細資料
把它放到山胡椒樹上,它的菜單之一.
此主題相關圖片如下:


按此查看圖片詳細資料
http://www.tbg.idv.tw/tbgweb/cgi-bin/topic.cgi?forum=25&topic=6436
此主題相關圖片如下:


按此查看圖片詳細資料
此主題相關圖片如下:


按此查看圖片詳細資料
|
頂部 |
| swing57 |
發表於: 2011/06/12 00:05am
|
這時候到處都可以看到的小傢伙.
此主題相關圖片如下:


按此查看圖片詳細資料
此主題相關圖片如下:


按此查看圖片詳細資料
此主題相關圖片如下:


按此查看圖片詳細資料
此主題相關圖片如下:


按此查看圖片詳細資料
此主題相關圖片如下:


按此查看圖片詳細資料
此主題相關圖片如下:


按此查看圖片詳細資料
|
頂部 |
| swing57 |
發表於: 2011/06/26 11:33pm
|
此主題相關圖片如下:


按此查看圖片詳細資料
此主題相關圖片如下:


按此查看圖片詳細資料
此主題相關圖片如下:


按此查看圖片詳細資料
此主題相關圖片如下:


按此查看圖片詳細資料
此主題相關圖片如下:


按此查看圖片詳細資料
此主題相關圖片如下:


按此查看圖片詳細資料
此主題相關圖片如下:


按此查看圖片詳細資料
|
頂部 |
| 晨曦青嵐 |
發表於: 2011/06/30 11:01pm
|
| 哇....那一根樹幹有幾隻蟬?? 看到這我才想到今年還沒去賞蟬聽蟬鳴 |
頂部 |
| swing57 |
發表於: 2011/07/01 00:47am
|
下面引用由晨曦青嵐在 2011/06/30 11:01pm 發表的內容: 哇....那一根樹幹有幾隻蟬?? 看到這我才想到今年還沒去賞蟬聽蟬鳴
|
|
邊叫邊把異性給吸引過來大概有5隻吧.
這種飛的樣子有點像蜻蜓,但不易靠近.
此主題相關圖片如下:


按此查看圖片詳細資料
此主題相關圖片如下:


按此查看圖片詳細資料
|
頂部 |
| swing57 |
發表於: 2011/07/06 10:40pm
|
[這篇文章最後由swing57在 2011/07/09 09:38pm 第 1 次編輯]
台灣目前最大隻的蛾.
此主題相關圖片如下:


按此查看圖片詳細資料
此主題相關圖片如下:


按此查看圖片詳細資料
此主題相關圖片如下:


按此查看圖片詳細資料
此主題相關圖片如下:


按此查看圖片詳細資料
此主題相關圖片如下:


按此查看圖片詳細資料
<object style="height: 390px; width: 640px"><param name="movie" value="http://www.youtube.com/v/xCdrZnV6Gt4?version=3"><param name="allowFullScreen" value="true"><param name="allowScriptAccess" value="always"><embed src="http://www.youtube.com/v/xCdrZnV6Gt4?version=3" type="application/x-shockwave-flash" allowfullscreen="true" allowScriptAccess="always" width="640" height="390"></object>
此主題相關圖片如下:


按此查看圖片詳細資料
|
頂部 |
| swing57 |
發表於: 2011/08/14 10:02pm
|
平溪孝子山下不太怕人的松鼠在撿食水冬瓜的果實,怕嚇跑它跟它保持一些距離.
此主題相關圖片如下:


按此查看圖片詳細資料
此主題相關圖片如下:


按此查看圖片詳細資料
此主題相關圖片如下:


按此查看圖片詳細資料
此主題相關圖片如下:


按此查看圖片詳細資料
此主題相關圖片如下:


按此查看圖片詳細資料
此主題相關圖片如下:


按此查看圖片詳細資料
|
頂部 |
| 晨曦青嵐 |
發表於: 2011/08/19 10:51pm
|
swing57大大您好! 皇蛾的食草是不是江某?? |
頂部 |
| swing57 |
發表於: 2011/08/20 10:46am
|
下面引用由晨曦青嵐在 2011/08/19 10:51pm 發表的內容: swing57大大您好! 皇蛾的食草是不是江某??
|
|
是江某沒錯,還會出現在茄冬、細葉饅頭果、江某、樹杞不過我都未曾發現過.
漂亮的原生百合最開了.
此主題相關圖片如下:


按此查看圖片詳細資料
此主題相關圖片如下:


按此查看圖片詳細資料
此主題相關圖片如下:


按此查看圖片詳細資料
|
頂部 |
| swing57 |
發表於: 2011/08/26 07:07pm
|
此主題相關圖片如下:


按此查看圖片詳細資料
此主題相關圖片如下:


按此查看圖片詳細資料
此主題相關圖片如下:


按此查看圖片詳細資料
此主題相關圖片如下:


按此查看圖片詳細資料
此主題相關圖片如下:


按此查看圖片詳細資料
|
頂部 |
| swing57 |
發表於: 2011/08/30 01:24am
|
廣翅蠟蟬剛換妝.
此主題相關圖片如下:


按此查看圖片詳細資料
此主題相關圖片如下:


按此查看圖片詳細資料
|
頂部 |
| swing57 |
發表於: 2011/10/16 08:43pm
|
[這篇文章最後由swing57在 2011/10/20 00:46am 第 1 次編輯]
別以為名子標錯了,平時是美麗的紅底黑斑,到了秋冬繁殖期就會變成這個樣子.
此主題相關圖片如下:


按此查看圖片詳細資料
此主題相關圖片如下:


按此查看圖片詳細資料
此主題相關圖片如下:


按此查看圖片詳細資料
|
頂部 |
| swing57 |
發表於: 2011/12/20 09:58pm
|
瓢蟲的幼蟲.
此主題相關圖片如下:


按此查看圖片詳細資料
此主題相關圖片如下:


按此查看圖片詳細資料
葉峰幼蟲的下場.
此主題相關圖片如下:


按此查看圖片詳細資料
此主題相關圖片如下:


按此查看圖片詳細資料
|
頂部 |
| swing57 |
發表於: 2012/04/16 00:48am
|
群聚在大錦蘭上的小蟲.
此主題相關圖片如下:


按此查看圖片詳細資料
|
頂部 |
| swing57 |
發表於: 2012/04/16 01:26am
|
躲在孤挺花裡睡覺的中國樹蟾.
此主題相關圖片如下:


按此查看圖片詳細資料
此主題相關圖片如下:


按此查看圖片詳細資料
此主題相關圖片如下:


按此查看圖片詳細資料
|
頂部 |
| yuk0102 |
發表於: 2012/04/17 06:05pm
|
| 紅配綠!難道小蛙蛙也想當綠葉,不過已經搶了花孤娘的風采。 |
頂部 |
| swing57 |
發表於: 2012/04/18 03:14pm
|
下面引用由yuk0102在 2012/04/17 06:05pm 發表的內容: 紅配綠!難道小蛙蛙也想當綠葉,不過已經搶了花孤娘的風采。
|
|
花孤娘路上撿來的(被主人遺棄),樹蟾數量越來越多估算約有20隻以上,花朵對它而言可能是不錯的床軟軟的.
兩雄相爭(搶地盤),我的四不像園子裡的一員.
此主題相關圖片如下:


按此查看圖片詳細資料
此主題相關圖片如下:


按此查看圖片詳細資料
此主題相關圖片如下:


按此查看圖片詳細資料
此主題相關圖片如下:


按此查看圖片詳細資料
此主題相關圖片如下:


按此查看圖片詳細資料
此主題相關圖片如下:


按此查看圖片詳細資料
|
頂部 |
| swing57 |
發表於: 2012/05/14 11:30pm
|
雖然有多一層保護還是栽在螳螂手裡(獵物是紅蛺蝶幼蟲).
此主題相關圖片如下:


按此查看圖片詳細資料
此主題相關圖片如下:


按此查看圖片詳細資料
此主題相關圖片如下:


按此查看圖片詳細資料
此主題相關圖片如下:


按此查看圖片詳細資料
此主題相關圖片如下:


按此查看圖片詳細資料
|
頂部 |
| swing57 |
發表於: 2012/07/06 06:50pm
|
此主題相關圖片如下:


按此查看圖片詳細資料
|
頂部 |
| swing57 |
發表於: 2012/08/20 02:04pm
|
種花之餘也要小心這個,花盆是掛在樹上.
此主題相關圖片如下:


按此查看圖片詳細資料
此主題相關圖片如下:


按此查看圖片詳細資料
此主題相關圖片如下:


按此查看圖片詳細資料
|
頂部 |
| 晨曦青嵐 |
發表於: 2019/08/02 01:46pm
|
[這篇文章最後由晨曦青嵐在 2019/08/02 03:24pm 第 1 次編輯]
難過痛失一位同好好友,熱愛山林生態的您生命也終歸山林, 您的鏡頭下美麗的影像我會永存心裡,願佛祖帶領swing57 邱先生一路好走! |
頂部 |
|
|