|
|
|
揭開七顆蛋的身世之謎(大褐斑枯葉蛾成長記錄)
(這篇文章已經被閱讀了 2351 次) 時間:2008/04/27 08:33am 來源:swing57
[這篇文章最後由swing57在 2008/05/08 09:46am 第 1 次編輯]
在一個不知名的蔓藤植物上發現這七顆,大小大約1.5mm像比較大型的蛾產的卵。 #1-1
此主題相關圖片如下:


按此查看圖片詳細資料
#1-2
此主題相關圖片如下:


按此查看圖片詳細資料
#1-3 會是它嗎?在同種植物上發現的。
此主題相關圖片如下:


按此查看圖片詳細資料
#1-4
此主題相關圖片如下:


按此查看圖片詳細資料
#1-5 它的食草。
此主題相關圖片如下:


按此查看圖片詳細資料
| 福勞爾 |
發表於: 2008/04/27 09:47am
|
| 幼蟲是掌夜蛾的老熟蟲 |
頂部 |
| swing57 |
發表於: 2008/05/07 08:04pm
|
[這篇文章最後由swing57在 2008/05/08 09:11am 第 1 次編輯]
(5/7)幼蟲昨天已全部孵化,想改變它的食性因為食草有些遠20幾公里外,1齡的模樣有誰認得它嗎? #2-1
此主題相關圖片如下:


按此查看圖片詳細資料
#2-2
此主題相關圖片如下:


按此查看圖片詳細資料
#2-3
此主題相關圖片如下:


按此查看圖片詳細資料
|
頂部 |
| erhyang |
發表於: 2008/05/08 08:54am
|
櫟毛蟲 Paralebeda plagifera 養過吃山櫻 |
頂部 |
| swing57 |
發表於: 2008/05/08 09:33am
|
感謝 erhyang 協助鑑定. 第二種食草出現了,要不然得跑一趟原棲地,查了一下櫟毛蟲別名大褐斑枯葉蛾是枯葉蛾科.
|
頂部 |
| swing57 |
發表於: 2008/05/11 10:50pm
|
5/11 換成山櫻葉4天好像不太捧場,咬痕不多. #3-1
此主題相關圖片如下:


按此查看圖片詳細資料
#3-2
此主題相關圖片如下:


按此查看圖片詳細資料
#3-3
此主題相關圖片如下:


按此查看圖片詳細資料
#3-4
此主題相關圖片如下:


按此查看圖片詳細資料
#3-5
此主題相關圖片如下:


按此查看圖片詳細資料
|
頂部 |
| swing57 |
發表於: 2008/05/20 07:47pm
|
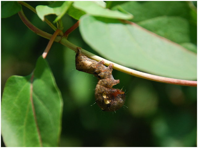
5/20 因適應不良有4隻先後陣亡,剩3隻大小1.3~1.8cm,己經兩週了成長算緩慢. #4-1
此主題相關圖片如下:


按此查看圖片詳細資料
#4-2
此主題相關圖片如下:


按此查看圖片詳細資料
#4-3
此主題相關圖片如下:


按此查看圖片詳細資料
#4-4
此主題相關圖片如下:


按此查看圖片詳細資料
#4-5
此主題相關圖片如下:


按此查看圖片詳細資料
#4-6
此主題相關圖片如下:


按此查看圖片詳細資料
|
頂部 |
| swing57 |
發表於: 2008/05/25 08:58am
|
[這篇文章最後由swing57在 2008/05/25 09:00am 第 1 次編輯]
5/25 相繼夭折只剩1隻,好像沒再長大. #5-1
此主題相關圖片如下:


按此查看圖片詳細資料
#5-2
此主題相關圖片如下:


按此查看圖片詳細資料
|
頂部 |
| swing57 |
發表於: 2008/05/28 07:26am
|
5/28 唯一的希望,有長大些. #6-1
此主題相關圖片如下:


按此查看圖片詳細資料
#6-2
此主題相關圖片如下:


按此查看圖片詳細資料
#6-3
此主題相關圖片如下:


按此查看圖片詳細資料
#6-4
此主題相關圖片如下:


按此查看圖片詳細資料
|
頂部 |
| swing57 |
發表於: 2008/06/05 08:45pm
|
6/5 目前長度是3.5cm,飼養將近快一個月了. #7-1
此主題相關圖片如下:


按此查看圖片詳細資料
#7-2
此主題相關圖片如下:


按此查看圖片詳細資料
#7-3
此主題相關圖片如下:


按此查看圖片詳細資料
#7-4
此主題相關圖片如下:


按此查看圖片詳細資料
#7-5
此主題相關圖片如下:


按此查看圖片詳細資料
|
頂部 |
| swing57 |
發表於: 2008/06/19 07:24am
|
[這篇文章最後由swing57在 2008/06/21 04:43pm 第 1 次編輯]
6/15 體型長到5.5cm了,開始在飆囉. #8-1
此主題相關圖片如下:


按此查看圖片詳細資料
#8-2
此主題相關圖片如下:


按此查看圖片詳細資料
#8-3
此主題相關圖片如下:


按此查看圖片詳細資料
|
頂部 |
| swing57 |
發表於: 2008/06/21 04:49pm
|
6/21 目前是8.5cm,看仔細它是我之前一直不敢養的枯葉蛾,竟然被我從卵悄悄的養起來我都不知道,真的感覺有點癢癢的.呵~ #9-1
此主題相關圖片如下:


按此查看圖片詳細資料
#9-2
此主題相關圖片如下:


按此查看圖片詳細資料
#9-3
此主題相關圖片如下:


按此查看圖片詳細資料
|
頂部 |
| 風中之竹 |
發表於: 2008/06/21 05:48pm
|
| 楼主加油 |
頂部 |
| alderfly |
發表於: 2008/06/21 08:51pm
|
[這篇文章最後由alderfly在 2008/06/21 08:52pm 第 1 次編輯]
下面引用由風中之竹在 2008/06/21 05:48pm 發表的內容: 楼主加油
|
|
這位四川的朋友,我沒機會去你那邊應該蠻多蝶或蛾我們這邊看不到的,拍一些貼上來分享一下.
|
頂部 |
| swing57 |
發表於: 2008/06/21 08:58pm
|
| 謝謝啦,這隻破我養的記錄快一個半月了. |
頂部 |
| 風中之竹 |
發表於: 2008/06/22 00:18am
|
下面引用由alderfly在 2008/06/21 08:51pm 發表的內容: 這位四川的朋友,我沒機會去你那邊應該蠻多蝶或蛾我們這邊看不到的,拍一些貼上來分享一下.
|
|
四川的蝴蝶资源的确很丰富 你们这里氛围真好 塔友们素质都不低 非常愿意和塔友们一起分享快乐 |
頂部 |
| swing57 |
發表於: 2008/07/03 07:31am
|
下面引用由風中之竹在 2008/06/22 00:18am 發表的內容: 四川的蝴蝶资源的确很丰富 你们这里氛围真好 塔友们素质都不低 非常愿意和塔友们一起分享快乐
|
|
謝謝 風中之竹 的分享.
7/3 已經快兩個月了,身長10cm.
此主題相關圖片如下:


按此查看圖片詳細資料
此主題相關圖片如下:


按此查看圖片詳細資料
此主題相關圖片如下:


按此查看圖片詳細資料
此主題相關圖片如下:


按此查看圖片詳細資料
|
頂部 |
| swing57 |
發表於: 2008/07/15 06:32pm
|
[這篇文章最後由swing57在 2008/07/15 06:34pm 第 1 次編輯]
7/15 四天前看它準備化蛹不敢打擾它,今天下班觀察已經化蛹完畢,蛹長只剩4.3cm,真的好漫長的等待,蛹表面還是毛茸茸,我依舊不敢碰它.
此主題相關圖片如下:


按此查看圖片詳細資料
此主題相關圖片如下:


按此查看圖片詳細資料
此主題相關圖片如下:


按此查看圖片詳細資料
此主題相關圖片如下:


按此查看圖片詳細資料
|
頂部 |
| swing57 |
發表於: 2008/07/25 11:29pm
|
[這篇文章最後由swing57在 2008/07/25 11:30pm 第 1 次編輯]
7/25 今晚終於羽化成功了,前後共花了將近3個月的時間,期間感謝erhyang 多次協助,雖然養得戰戰兢兢不過還是順利把它養出來了. 5.3cmx1.3cm(長x寬)
此主題相關圖片如下:


按此查看圖片詳細資料
此主題相關圖片如下:


按此查看圖片詳細資料
此主題相關圖片如下:


按此查看圖片詳細資料
|
頂部 |
| Gina |
發表於: 2008/07/26 09:45am
|
真是精采的紀錄 謝謝您的分享 請問這是常常出現在相思樹上 非常有保護色的大毛毛蟲嗎 小時候爬樹最怕碰到這種 因為看不到 等摸到就........ |
頂部 |
| swing57 |
發表於: 2008/07/26 11:10am
|
[這篇文章最後由swing57在 2008/07/26 05:13pm 第 6 次編輯]
下面引用由Gina在 2008/07/26 09:45am 發表的內容: 真是精采的紀錄 謝謝您的分享 請問這是常常出現在相思樹上 非常有保護色的大毛毛蟲嗎 小時候爬樹最怕碰到這種 ...
|
|
出現在相思樹上的應該是另外一種叫松大毛蟲 / 大灰枯葉蛾 /大枯葉蛾[特有種] Lebeda nobilis Walker,1855 我也有被它刺過的經驗且不只一次,所以對它總是敬而遠之,不太敢去招惹它.
此主題相關圖片如下:


按此查看圖片詳細資料
幾種枯葉蛾的幼蟲.
此主題相關圖片如下:


按此查看圖片詳細資料
此主題相關圖片如下:


按此查看圖片詳細資料
此主題相關圖片如下:


按此查看圖片詳細資料
此主題相關圖片如下:


按此查看圖片詳細資料
|
頂部 |
| swing57 |
發表於: 2008/07/26 05:34pm
|
野放前拿到外戶再記錄一下,它是到目前看起來沒那麼可怕的時候,透過陽光的照射好像也有幾分美意,是隻母蛾下了一些卵,不過是沒有受精的卵,孵不出幼蟲來.
此主題相關圖片如下:


按此查看圖片詳細資料
此主題相關圖片如下:


按此查看圖片詳細資料
此主題相關圖片如下:


按此查看圖片詳細資料
此主題相關圖片如下:


按此查看圖片詳細資料
此主題相關圖片如下:


按此查看圖片詳細資料
此主題相關圖片如下:


按此查看圖片詳細資料
|
頂部 |
| swing57 |
發表於: 2008/07/26 05:46pm
|
一堆卵.
此主題相關圖片如下:


按此查看圖片詳細資料
養幾個月下來,有成功也有失敗的經驗,蛾失敗的機率蠻高的可能是我的方法不對,或是其它原因,暫時要告別養蟲做記錄了,目前手上的蟲該羽化的都羽化了,由於工作的關係不得不停止這項嗜好. |
頂部 |
| Gina |
發表於: 2008/07/26 06:48pm
|
下面引用由swing57在 2008/07/26 11:10am 發表的內容: 出現在相思樹上的應該是另外一種叫松大毛蟲 / 大灰枯葉蛾 /大枯葉蛾Lebeda nobilis Walker,1855 我也有被它刺過的經驗且不只一次,所以對它總是敬而遠之,不太敢去招惹它. 幾種枯葉蛾的幼蟲.
|
|
哇 好多種哦
比較下 我碰到的好像是第三張照片的那種 小時候常常看到卻從來沒去注意到它會變成哪種蛾 真是增長見識了 謝謝您
|
頂部 |
|
|